2016 Chevrolet Camaro 2SS
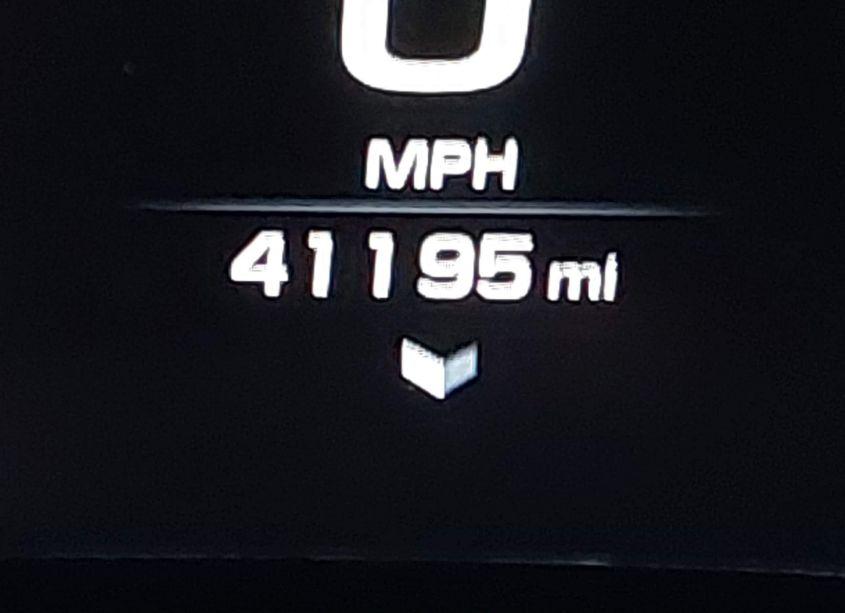
2016 Chevrolet Camaro 2SS (VIN 1G1FG1R71G0131744). Photos, auction details and vehicle specs. Primary damage: Front End. Odometer: 41,195 mi (Actual).
Vehicle overview
This page shows the available auction record for 2016 Chevrolet Camaro 2SS identified by VIN 1G1FG1R71G0131744. Auction source: IAAI • Sale date: Tue Jan 21, 2025, 08:30AM (CST). Title status reported in the record: MV-907A (New York). Reported damage: primary: Front End. Recorded odometer entry: 41,195 mi (Actual). Photo set: 17 images (as provided by the listing source).
This 2016 Chevrolet Camaro 2SS was listed via IAAI on Tue Jan 21, 2025, 08:30AM (CST).
Title status: MV-907A (New York). Primary damage reported: Front End.
Odometer reading: 41,195 mi (Actual).
Engine: 6.2L V-8 DI, VVT, 455HP. Transmission: Manual Transmission. Fuel: Gasoline. Drive: Rear Wheel Drive.
How to read this page
How to use this VIN page: review photos first, then compare the auction history and spec tables. Fields like damage, title, mileage, and sale date come from the underlying listing data and may be missing on some records.
If you are researching purchase, export, or rebuild decisions, treat this page as a research snapshot and validate everything with official paperwork, auction documents, and inspections. Wheelwise does not generate these attributes — we display what the source record contains.
Common reasons some values are blank: the original listing did not provide a field, the value was unreadable, or the record was imported without that attribute.

Photos and condition notes
The photo gallery contains 17 listing images for VIN 1G1FG1R71G0131744. Use these photos to visually confirm body style, trim badges, wheels, interior options, and visible damage areas.
Damage fields are reported as categories (“primary” / “secondary”). They help you filter listings quickly, but they do not replace a detailed inspection.
When comparing this vehicle to similar listings, focus on year, drivetrain, mileage entry, title status, and auction date — these attributes most often explain price differences.
Auction History
Vehicle Specs
| Auction | IAAI |
|---|---|
| Auction date | Tue Jan 21, 2025, 08:30AM (CST) |
| Title | MV-907A (New York) |
|---|---|
| Primary damage | Front End |
| Key present | Present |
| Start code | Stationary |
| Drive line | Rear Wheel Drive |
|---|---|
| Engine | 6.2L V-8 DI, VVT, 455HP |
| Cylinders | 8 Cylinders |
| Transmission | Manual Transmission |
| Fuel type | Gasoline |
| VIN | 1G1FG1R71G0131744 |
|---|---|
| Make | Chevrolet |
| Model | Camaro |
| Year | 2016 |
| Trim / Package | 2SS |
Key takeaways
- VIN: 1G1FG1R71G0131744.
- Title status in this record: MV-907A (New York).
- Auction: IAAI • Date: Tue Jan 21, 2025, 08:30AM (CST).
- Primary damage: Front End.
- Odometer entry: 41,195 mi (Actual).
- Powertrain: engine 6.2L V-8 DI, VVT, 455HP, transmission Manual Transmission.
- Photos available: 17.
- Always confirm VIN, title, and condition with official documents before purchase or export.
FAQ
What does the final bid mean?
Where do the photos come from?
Can I use this page to verify the vehicle identity?
Quick Facts
- AuctionIAAI
- Auction dateTue Jan 21, 2025, 08:30AM (CST)
- TitleMV-907A (New York)
- Primary damageFront End
- Odometer41,195 mi (Actual)
- TransmissionManual Transmission
- FuelGasoline
- DriveRear Wheel Drive
- Engine6.2L V-8 DI, VVT, 455HP
- Cylinders8 Cylinders
Vehicle Information
| Auction Date | Tue Jan 21, 2025, 08:30AM (CST) |
|---|---|
| Auction Name | IAAI |
| Selling Branch | N/A |
| Stock Number | N/A |
| Vehicle | 2016 Chevrolet Camaro 2SS |
| VIN | 1G1FG1R71G0131744 |
| Title | MV-907A (New York) |
| Primary Damage | Front End |
| Secondary Damage | N/A |
| Odometer | 41,195 mi (Actual) |
| Key Present | Present |
| Start Code | Stationary |
| Drive Line Type | Rear Wheel Drive |
| Cylinders | 8 Cylinders |
| Engine | 6.2L V-8 DI, VVT, 455HP |
| Transmission | Manual Transmission |
| Fuel Type | Gasoline |
| Restraint System | Front impact airbag driver;Front side impact airbag driver;Overhead airbags;Front impact airbag passenger;Front side impact airbag passenger;Knee airbag |