2017 Chevrolet Camaro 2LT
2017 Chevrolet Camaro 2LT (VIN 1G1FD1RSXH0168452). Photos, auction details and vehicle specs. Primary damage: Left Side. Odometer: 164,149 mi (Actual).
Vehicle overview
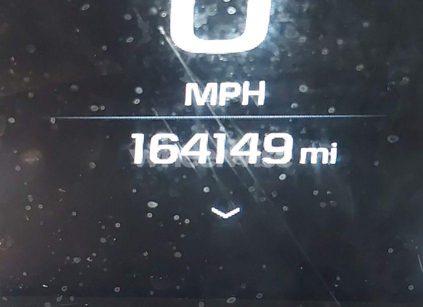
This page shows the available auction record for 2017 Chevrolet Camaro 2LT identified by VIN 1G1FD1RSXH0168452. Auction source: IAAI • Sale date: Thu Jul 3, 9:30am (CDT). Title status reported in the record: SALVAGE TITLE (Texas). Reported damage: primary: Left Side, secondary: Rear. Recorded odometer entry: 164,149 mi (Actual). Photo set: 16 images (as provided by the listing source).
This 2017 Chevrolet Camaro 2LT was listed via IAAI on Thu Jul 3, 9:30am (CDT).
Title status: SALVAGE TITLE (Texas). Primary damage reported: Left Side. Secondary damage: Rear.
Odometer reading: 164,149 mi (Actual).
Engine: 3.6L V-6 DI, DOHC, VVT, 335HP. Transmission: Automatic Transmission. Fuel: Gasoline. Drive: Rear Wheel Drive.
How to read this page
How to use this VIN page: review photos first, then compare the auction history and spec tables. Fields like damage, title, mileage, and sale date come from the underlying listing data and may be missing on some records.
If you are researching purchase, export, or rebuild decisions, treat this page as a research snapshot and validate everything with official paperwork, auction documents, and inspections. Wheelwise does not generate these attributes — we display what the source record contains.
Common reasons some values are blank: the original listing did not provide a field, the value was unreadable, or the record was imported without that attribute.

Photos and condition notes
The photo gallery contains 16 listing images for VIN 1G1FD1RSXH0168452. Use these photos to visually confirm body style, trim badges, wheels, interior options, and visible damage areas.
Damage fields are reported as categories (“primary” / “secondary”). They help you filter listings quickly, but they do not replace a detailed inspection.
When comparing this vehicle to similar listings, focus on year, drivetrain, mileage entry, title status, and auction date — these attributes most often explain price differences.
Auction History
Vehicle Specs
| Auction | IAAI |
|---|---|
| Auction date | Thu Jul 3, 9:30am (CDT) |
| Title | SALVAGE TITLE (Texas) |
|---|---|
| Primary damage | Left Side |
| Secondary damage | Rear |
| Key present | Present |
| Start code | Run & Drive |
| Drive line | Rear Wheel Drive |
|---|---|
| Engine | 3.6L V-6 DI, DOHC, VVT, 335HP |
| Cylinders | 6 Cylinders |
| Transmission | Automatic Transmission |
| Fuel type | Gasoline |
| VIN | 1G1FD1RSXH0168452 |
|---|---|
| Make | Chevrolet |
| Model | Camaro |
| Year | 2017 |
| Trim / Package | 2LT |
Key takeaways
- VIN: 1G1FD1RSXH0168452.
- Title status in this record: SALVAGE TITLE (Texas).
- Auction: IAAI • Date: Thu Jul 3, 9:30am (CDT).
- Primary damage: Left Side.
- Secondary damage: Rear.
- Odometer entry: 164,149 mi (Actual).
- Powertrain: engine 3.6L V-6 DI, DOHC, VVT, 335HP, transmission Automatic Transmission.
- Photos available: 16.
- Always confirm VIN, title, and condition with official documents before purchase or export.
FAQ
What does the final bid mean?
What does a salvage title mean?
Where do the photos come from?
Can I use this page to verify the vehicle identity?
Quick Facts
- AuctionIAAI
- Auction dateThu Jul 3, 9:30am (CDT)
- TitleSALVAGE TITLE (Texas)
- Primary damageLeft Side
- Secondary damageRear
- Odometer164,149 mi (Actual)
- TransmissionAutomatic Transmission
- FuelGasoline
- DriveRear Wheel Drive
- Engine3.6L V-6 DI, DOHC, VVT, 335HP
- Cylinders6 Cylinders
Vehicle Information
| Auction Date | Thu Jul 3, 9:30am (CDT) |
|---|---|
| Auction Name | IAAI |
| Selling Branch | N/A |
| Stock Number | N/A |
| Vehicle | 2017 Chevrolet Camaro 2LT |
| VIN | 1G1FD1RSXH0168452 |
| Title | SALVAGE TITLE (Texas) |
| Primary Damage | Left Side |
| Secondary Damage | Rear |
| Odometer | 164,149 mi (Actual) |
| Key Present | Present |
| Start Code | Run & Drive |
| Drive Line Type | Rear Wheel Drive |
| Cylinders | 6 Cylinders |
| Engine | 3.6L V-6 DI, DOHC, VVT, 335HP |
| Transmission | Automatic Transmission |
| Fuel Type | Gasoline |
| Restraint System | Front impact airbag driver;Front side impact airbag driver;Overhead airbags;Front impact airbag passenger;Front side impact airbag passenger;Knee airbag |