2018 Chevrolet Camaro 1LT
2018 Chevrolet Camaro 1LT (VIN 1G1FB1RS3J0149110). Photos, auction details and vehicle specs. Primary damage: Rear. Odometer: 58,795 mi (Actual). Final bid: Buy Now: $5,125.
Vehicle overview
This page shows the available auction record for 2018 Chevrolet Camaro 1LT identified by VIN 1G1FB1RS3J0149110. Auction source: IAAI • Sale date: Thu May 29, 8:30am (CDT). Title status reported in the record: SALVAGE (Ohio). Reported damage: primary: Rear, secondary: Left Side. Recorded odometer entry: 58,795 mi (Actual). Recorded final bid in history: Buy Now: $5,125. Photo set: 22 images (as provided by the listing source).
This 2018 Chevrolet Camaro 1LT was listed via IAAI on Thu May 29, 8:30am (CDT). Recorded final bid: Buy Now: $5,125.
Title status: SALVAGE (Ohio). Primary damage reported: Rear. Secondary damage: Left Side.
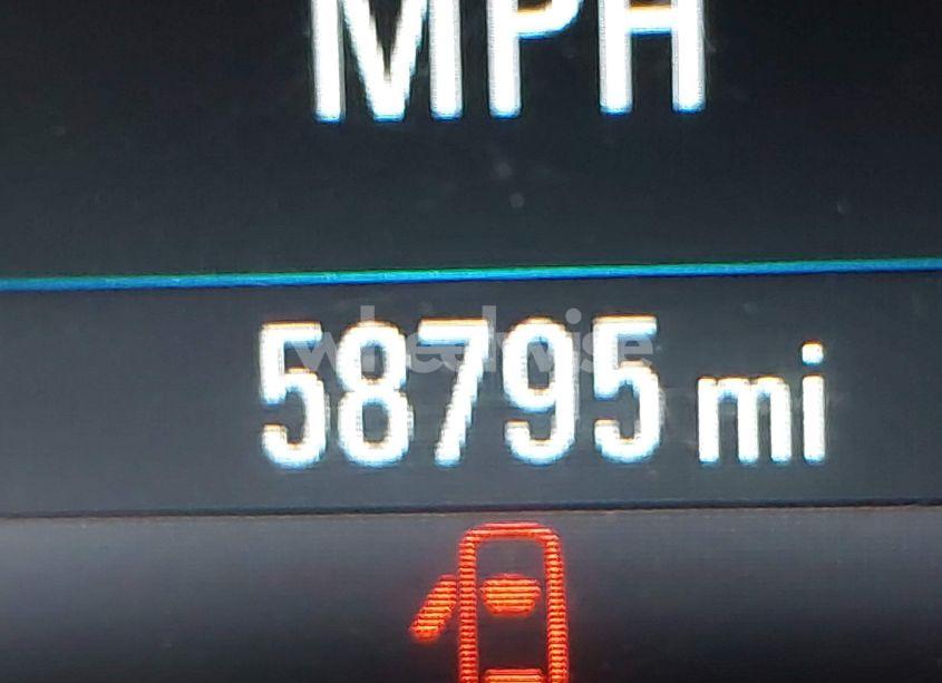
Odometer reading: 58,795 mi (Actual).
Engine: 3.6L V-6 DI, DOHC, VVT, 335HP. Transmission: Automatic Transmission. Fuel: Gasoline. Drive: Rear Wheel Drive.
How to read this page
How to use this VIN page: review photos first, then compare the auction history and spec tables. Fields like damage, title, mileage, and sale date come from the underlying listing data and may be missing on some records.
If you are researching purchase, export, or rebuild decisions, treat this page as a research snapshot and validate everything with official paperwork, auction documents, and inspections. Wheelwise does not generate these attributes — we display what the source record contains.
Common reasons some values are blank: the original listing did not provide a field, the value was unreadable, or the record was imported without that attribute.

Photos and condition notes
The photo gallery contains 22 listing images for VIN 1G1FB1RS3J0149110. Use these photos to visually confirm body style, trim badges, wheels, interior options, and visible damage areas.
Damage fields are reported as categories (“primary” / “secondary”). They help you filter listings quickly, but they do not replace a detailed inspection.
When comparing this vehicle to similar listings, focus on year, drivetrain, mileage entry, title status, and auction date — these attributes most often explain price differences.
Another sales of this vehicle

Auction History
| Auction Name | Date | Final Bid |
|---|---|---|
| IAAI | Thu May 29, 8:30am (CDT) | Buy Now: $5,125 |
Vehicle Specs
| Auction | IAAI |
|---|---|
| Auction date | Thu May 29, 8:30am (CDT) |
| Final bid | Buy Now: $5,125 |
| Title | SALVAGE (Ohio) |
|---|---|
| Primary damage | Rear |
| Secondary damage | Left Side |
| Key present | Present |
| Start code | Run & Drive |
| Drive line | Rear Wheel Drive |
|---|---|
| Engine | 3.6L V-6 DI, DOHC, VVT, 335HP |
| Cylinders | 6 Cylinders |
| Transmission | Automatic Transmission |
| Fuel type | Gasoline |
| VIN | 1G1FB1RS3J0149110 |
|---|---|
| Make | Chevrolet |
| Model | Camaro |
| Year | 2018 |
| Trim / Package | 1LT |
Key takeaways
- VIN: 1G1FB1RS3J0149110.
- Title status in this record: SALVAGE (Ohio).
- Auction: IAAI • Date: Thu May 29, 8:30am (CDT).
- Recorded final bid: Buy Now: $5,125.
- Primary damage: Rear.
- Secondary damage: Left Side.
- Odometer entry: 58,795 mi (Actual).
- Powertrain: engine 3.6L V-6 DI, DOHC, VVT, 335HP, transmission Automatic Transmission.
- Photos available: 22.
- Always confirm VIN, title, and condition with official documents before purchase or export.
FAQ
What does the final bid mean?
What does a salvage title mean?
Where do the photos come from?
Can I use this page to verify the vehicle identity?
Quick Facts
- AuctionIAAI
- Auction dateThu May 29, 8:30am (CDT)
- TitleSALVAGE (Ohio)
- Primary damageRear
- Secondary damageLeft Side
- Odometer58,795 mi (Actual)
- Final bidBuy Now: $5,125
- TransmissionAutomatic Transmission
- FuelGasoline
- DriveRear Wheel Drive
- Engine3.6L V-6 DI, DOHC, VVT, 335HP
- Cylinders6 Cylinders
Vehicle Information
| Auction Date | Thu May 29, 8:30am (CDT) |
|---|---|
| Auction Name | IAAI |
| Selling Branch | N/A |
| Stock Number | N/A |
| Vehicle | 2018 Chevrolet Camaro 1LT |
| VIN | 1G1FB1RS3J0149110 |
| Title | SALVAGE (Ohio) |
| Primary Damage | Rear |
| Secondary Damage | Left Side |
| Odometer | 58,795 mi (Actual) |
| Key Present | Present |
| Start Code | Run & Drive |
| Drive Line Type | Rear Wheel Drive |
| Cylinders | 6 Cylinders |
| Engine | 3.6L V-6 DI, DOHC, VVT, 335HP |
| Transmission | Automatic Transmission |
| Fuel Type | Gasoline |
| Restraint System | Front impact airbag driver;Front side impact airbag driver;Overhead airbags;Front impact airbag passenger;Front side impact airbag passenger;Knee airbag |