2018 Chevrolet Camaro 2SS
2018 Chevrolet Camaro 2SS (VIN 1G1FH1R78J0164485). Photos, auction details and vehicle specs. Primary damage: Front End. Odometer: 29,803 mi (Actual). Final bid: If Bid for $6,650.
Vehicle overview
This page shows the available auction record for 2018 Chevrolet Camaro 2SS identified by VIN 1G1FH1R78J0164485. Auction source: IAAI • Sale date: Wed Jan 15, 2025, 09:30AM (CST). Title status reported in the record: SALVAGE (Missouri). Reported damage: primary: Front End, secondary: Right Front. Recorded odometer entry: 29,803 mi (Actual). Recorded final bid in history: If Bid for $6,650. Photo set: 16 images (as provided by the listing source).
This 2018 Chevrolet Camaro 2SS was listed via IAAI on Wed Jan 15, 2025, 09:30AM (CST). Recorded final bid: If Bid for $6,650.
Title status: SALVAGE (Missouri). Primary damage reported: Front End. Secondary damage: Right Front.
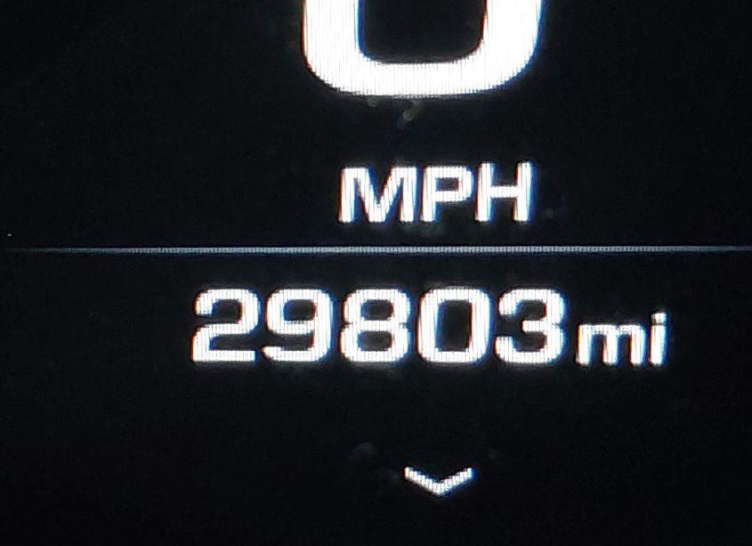
Odometer reading: 29,803 mi (Actual).
Engine: 6.2L V-8 DI, VVT, 455HP. Transmission: Automatic Transmission. Fuel: Gasoline. Drive: Rear Wheel Drive.
How to read this page
How to use this VIN page: review photos first, then compare the auction history and spec tables. Fields like damage, title, mileage, and sale date come from the underlying listing data and may be missing on some records.
If you are researching purchase, export, or rebuild decisions, treat this page as a research snapshot and validate everything with official paperwork, auction documents, and inspections. Wheelwise does not generate these attributes — we display what the source record contains.
Common reasons some values are blank: the original listing did not provide a field, the value was unreadable, or the record was imported without that attribute.

Photos and condition notes
The photo gallery contains 16 listing images for VIN 1G1FH1R78J0164485. Use these photos to visually confirm body style, trim badges, wheels, interior options, and visible damage areas.
Damage fields are reported as categories (“primary” / “secondary”). They help you filter listings quickly, but they do not replace a detailed inspection.
When comparing this vehicle to similar listings, focus on year, drivetrain, mileage entry, title status, and auction date — these attributes most often explain price differences.
Another sales of this vehicle

Auction History
| Auction Name | Date | Final Bid |
|---|---|---|
| IAAI | 2025-01-22 | If Bid for $6,650 |
Vehicle Specs
| Auction | IAAI |
|---|---|
| Auction date | Wed Jan 15, 2025, 09:30AM (CST) |
| Final bid | If Bid for $6,650 |
| Title | SALVAGE (Missouri) |
|---|---|
| Primary damage | Front End |
| Secondary damage | Right Front |
| Key present | Present |
| Start code | Stationary |
| Drive line | Rear Wheel Drive |
|---|---|
| Engine | 6.2L V-8 DI, VVT, 455HP |
| Cylinders | 8 Cylinders |
| Transmission | Automatic Transmission |
| Fuel type | Gasoline |
| VIN | 1G1FH1R78J0164485 |
|---|---|
| Make | Chevrolet |
| Model | Camaro |
| Year | 2018 |
| Trim / Package | 2SS |
Key takeaways
- VIN: 1G1FH1R78J0164485.
- Title status in this record: SALVAGE (Missouri).
- Auction: IAAI • Date: Wed Jan 15, 2025, 09:30AM (CST).
- Recorded final bid: If Bid for $6,650.
- Primary damage: Front End.
- Secondary damage: Right Front.
- Odometer entry: 29,803 mi (Actual).
- Powertrain: engine 6.2L V-8 DI, VVT, 455HP, transmission Automatic Transmission.
- Photos available: 16.
- Always confirm VIN, title, and condition with official documents before purchase or export.
FAQ
What does the final bid mean?
What does a salvage title mean?
Where do the photos come from?
Can I use this page to verify the vehicle identity?
Quick Facts
- AuctionIAAI
- Auction dateWed Jan 15, 2025, 09:30AM (CST)
- TitleSALVAGE (Missouri)
- Primary damageFront End
- Secondary damageRight Front
- Odometer29,803 mi (Actual)
- Final bidIf Bid for $6,650
- TransmissionAutomatic Transmission
- FuelGasoline
- DriveRear Wheel Drive
- Engine6.2L V-8 DI, VVT, 455HP
- Cylinders8 Cylinders
Vehicle Information
| Auction Date | Wed Jan 15, 2025, 09:30AM (CST) |
|---|---|
| Auction Name | IAAI |
| Selling Branch | N/A |
| Stock Number | N/A |
| Vehicle | 2018 Chevrolet Camaro 2SS |
| VIN | 1G1FH1R78J0164485 |
| Title | SALVAGE (Missouri) |
| Primary Damage | Front End |
| Secondary Damage | Right Front |
| Odometer | 29,803 mi (Actual) |
| Key Present | Present |
| Start Code | Stationary |
| Drive Line Type | Rear Wheel Drive |
| Cylinders | 8 Cylinders |
| Engine | 6.2L V-8 DI, VVT, 455HP |
| Transmission | Automatic Transmission |
| Fuel Type | Gasoline |
| Restraint System | Front impact airbag driver;Front side impact airbag driver;Overhead airbags;Front impact airbag passenger;Front side impact airbag passenger;Knee airbag |