2023 Chevrolet Camaro RWD 2SS
2023 Chevrolet Camaro RWD 2SS (VIN 1G1FG1R76P0159524). Photos, auction details and vehicle specs. Primary damage: Flood. Odometer: 1,898 mi (Not Actual). Final bid: Sold for $13,250.
Vehicle overview
This page shows the available auction record for 2023 Chevrolet Camaro RWD 2SS identified by VIN 1G1FG1R76P0159524. Auction source: IAAI • Sale date: Tue Jan 28, 2025, 09:30AM (CST). Title status reported in the record: SALVAGE TITLE (Iowa). Reported damage: primary: Flood, secondary: Mechanical. Recorded odometer entry: 1,898 mi (Not Actual). Recorded final bid in history: Sold for $13,250. Photo set: 16 images (as provided by the listing source).
This 2023 Chevrolet Camaro RWD 2SS was listed via IAAI on Tue Jan 28, 2025, 09:30AM (CST). Recorded final bid: Sold for $13,250.
Title status: SALVAGE TITLE (Iowa). Primary damage reported: Flood. Secondary damage: Mechanical.
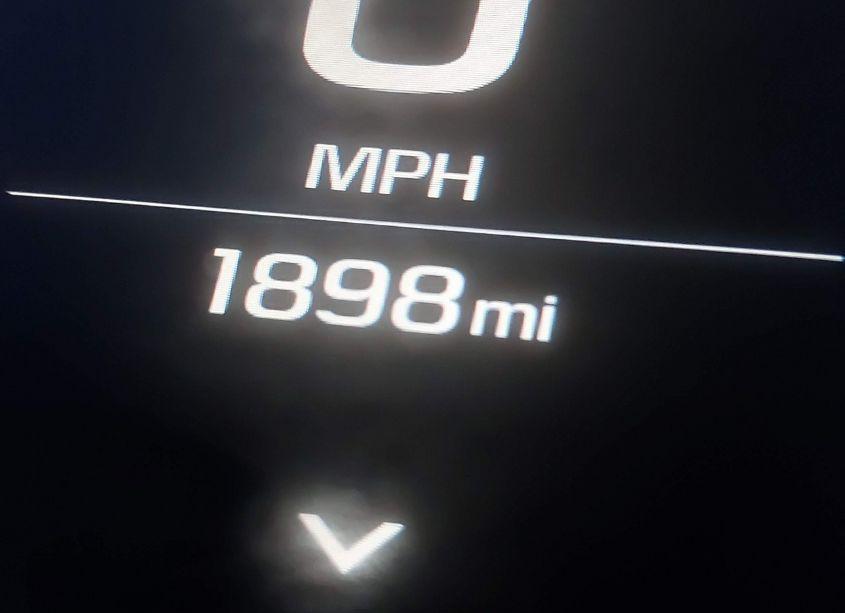
Odometer reading: 1,898 mi (Not Actual).
Engine: 6.2L V-8 DI, VVT, 455HP. Transmission: Manual Transmission. Fuel: Gasoline. Drive: Rear Wheel Drive.
How to read this page
How to use this VIN page: review photos first, then compare the auction history and spec tables. Fields like damage, title, mileage, and sale date come from the underlying listing data and may be missing on some records.
If you are researching purchase, export, or rebuild decisions, treat this page as a research snapshot and validate everything with official paperwork, auction documents, and inspections. Wheelwise does not generate these attributes — we display what the source record contains.
Common reasons some values are blank: the original listing did not provide a field, the value was unreadable, or the record was imported without that attribute.

Photos and condition notes
The photo gallery contains 16 listing images for VIN 1G1FG1R76P0159524. Use these photos to visually confirm body style, trim badges, wheels, interior options, and visible damage areas.
Damage fields are reported as categories (“primary” / “secondary”). They help you filter listings quickly, but they do not replace a detailed inspection.
When comparing this vehicle to similar listings, focus on year, drivetrain, mileage entry, title status, and auction date — these attributes most often explain price differences.
Another sales of this vehicle

Auction History
| Auction Name | Date | Final Bid |
|---|---|---|
| IAAI | 2025-01-28 | Sold for $13,250 |
Vehicle Specs
| Auction | IAAI |
|---|---|
| Auction date | Tue Jan 28, 2025, 09:30AM (CST) |
| Final bid | Sold for $13,250 |
| Title | SALVAGE TITLE (Iowa) |
|---|---|
| Primary damage | Flood |
| Secondary damage | Mechanical |
| Key present | Present |
| Start code | Stationary |
| Drive line | Rear Wheel Drive |
|---|---|
| Engine | 6.2L V-8 DI, VVT, 455HP |
| Cylinders | 8 Cylinders |
| Transmission | Manual Transmission |
| Fuel type | Gasoline |
| VIN | 1G1FG1R76P0159524 |
|---|---|
| Make | Chevrolet |
| Model | Camaro |
| Year | 2023 |
| Trim / Package | RWD 2SS |
Key takeaways
- VIN: 1G1FG1R76P0159524.
- Title status in this record: SALVAGE TITLE (Iowa).
- Auction: IAAI • Date: Tue Jan 28, 2025, 09:30AM (CST).
- Recorded final bid: Sold for $13,250.
- Primary damage: Flood.
- Secondary damage: Mechanical.
- Odometer entry: 1,898 mi (Not Actual).
- Powertrain: engine 6.2L V-8 DI, VVT, 455HP, transmission Manual Transmission.
- Photos available: 16.
- Always confirm VIN, title, and condition with official documents before purchase or export.
FAQ
What does the final bid mean?
What does a salvage title mean?
Why does the odometer say “NOT ACTUAL”?
Where do the photos come from?
Can I use this page to verify the vehicle identity?
Quick Facts
- AuctionIAAI
- Auction dateTue Jan 28, 2025, 09:30AM (CST)
- TitleSALVAGE TITLE (Iowa)
- Primary damageFlood
- Secondary damageMechanical
- Odometer1,898 mi (Not Actual)
- Final bidSold for $13,250
- TransmissionManual Transmission
- FuelGasoline
- DriveRear Wheel Drive
- Engine6.2L V-8 DI, VVT, 455HP
- Cylinders8 Cylinders
Vehicle Information
| Auction Date | Tue Jan 28, 2025, 09:30AM (CST) |
|---|---|
| Auction Name | IAAI |
| Selling Branch | N/A |
| Stock Number | N/A |
| Vehicle | 2023 Chevrolet Camaro RWD 2SS |
| VIN | 1G1FG1R76P0159524 |
| Title | SALVAGE TITLE (Iowa) |
| Primary Damage | Flood |
| Secondary Damage | Mechanical |
| Odometer | 1,898 mi (Not Actual) |
| Key Present | Present |
| Start Code | Stationary |
| Drive Line Type | Rear Wheel Drive |
| Cylinders | 8 Cylinders |
| Engine | 6.2L V-8 DI, VVT, 455HP |
| Transmission | Manual Transmission |
| Fuel Type | Gasoline |
| Restraint System | Front impact airbag driver;Front side impact airbag driver;Overhead airbags;Front impact airbag passenger;Front side impact airbag passenger;Knee airbag |