2020 Chevrolet Equinox AWD LT 1.5L TURBO
2020 Chevrolet Equinox AWD LT 1.5L TURBO (VIN 2GNAXUEV5L6141399). Photos, auction details and vehicle specs. Primary damage: Left Rear. Odometer: 103,085 mi (Actual). Final bid: If Bid for $2,850.
Vehicle overview
This page shows the available auction record for 2020 Chevrolet Equinox AWD LT 1.5L TURBO identified by VIN 2GNAXUEV5L6141399. Auction source: IAAI • Sale date: Tue May 27, 8:30am (CDT). Title status reported in the record: SALVAGE (Michigan). Reported damage: primary: Left Rear. Recorded odometer entry: 103,085 mi (Actual). Recorded final bid in history: If Bid for $2,850. Photo set: 16 images (as provided by the listing source).
This 2020 Chevrolet Equinox AWD LT 1.5L TURBO was listed via IAAI on Tue May 27, 8:30am (CDT). Recorded final bid: If Bid for $2,850.
Title status: SALVAGE (Michigan). Primary damage reported: Left Rear.
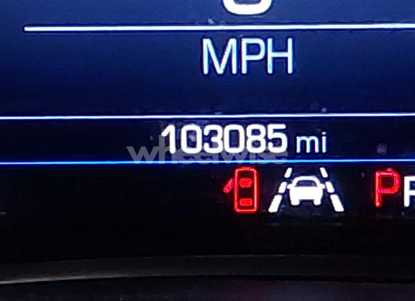
Odometer reading: 103,085 mi (Actual).
Engine: 1.5L I-4 DI, DOHC, VVT, TURBO, 170HP. Transmission: Automatic Transmission. Fuel: Gasoline. Drive: All Wheel Drive.
How to read this page
How to use this VIN page: review photos first, then compare the auction history and spec tables. Fields like damage, title, mileage, and sale date come from the underlying listing data and may be missing on some records.
If you are researching purchase, export, or rebuild decisions, treat this page as a research snapshot and validate everything with official paperwork, auction documents, and inspections. Wheelwise does not generate these attributes — we display what the source record contains.
Common reasons some values are blank: the original listing did not provide a field, the value was unreadable, or the record was imported without that attribute.

Photos and condition notes
The photo gallery contains 16 listing images for VIN 2GNAXUEV5L6141399. Use these photos to visually confirm body style, trim badges, wheels, interior options, and visible damage areas.
Damage fields are reported as categories (“primary” / “secondary”). They help you filter listings quickly, but they do not replace a detailed inspection.
When comparing this vehicle to similar listings, focus on year, drivetrain, mileage entry, title status, and auction date — these attributes most often explain price differences.
Another sales of this vehicle

Auction History
| Auction Name | Date | Final Bid |
|---|---|---|
| IAAI | 2025-05-27 | If Bid for $2,850 |
Vehicle Specs
| Auction | IAAI |
|---|---|
| Auction date | Tue May 27, 8:30am (CDT) |
| Final bid | If Bid for $2,850 |
| Title | SALVAGE (Michigan) |
|---|---|
| Primary damage | Left Rear |
| Key present | Present |
| Start code | Run & Drive |
| Drive line | All Wheel Drive |
|---|---|
| Engine | 1.5L I-4 DI, DOHC, VVT, TURBO, 170HP |
| Cylinders | 4 Cylinders |
| Transmission | Automatic Transmission |
| Fuel type | Gasoline |
| VIN | 2GNAXUEV5L6141399 |
|---|---|
| Make | Chevrolet |
| Model | Equinox |
| Year | 2020 |
| Trim / Package | AWD LT 1.5L TURBO |
Key takeaways
- VIN: 2GNAXUEV5L6141399.
- Title status in this record: SALVAGE (Michigan).
- Auction: IAAI • Date: Tue May 27, 8:30am (CDT).
- Recorded final bid: If Bid for $2,850.
- Primary damage: Left Rear.
- Odometer entry: 103,085 mi (Actual).
- Powertrain: engine 1.5L I-4 DI, DOHC, VVT, TURBO, 170HP, transmission Automatic Transmission.
- Photos available: 16.
- Always confirm VIN, title, and condition with official documents before purchase or export.
FAQ
What does the final bid mean?
What does a salvage title mean?
Where do the photos come from?
Can I use this page to verify the vehicle identity?
Quick Facts
- AuctionIAAI
- Auction dateTue May 27, 8:30am (CDT)
- TitleSALVAGE (Michigan)
- Primary damageLeft Rear
- Odometer103,085 mi (Actual)
- Final bidIf Bid for $2,850
- TransmissionAutomatic Transmission
- FuelGasoline
- DriveAll Wheel Drive
- Engine1.5L I-4 DI, DOHC, VVT, TURBO, 170HP
- Cylinders4 Cylinders
Vehicle Information
| Auction Date | Tue May 27, 8:30am (CDT) |
|---|---|
| Auction Name | IAAI |
| Selling Branch | N/A |
| Stock Number | N/A |
| Vehicle | 2020 Chevrolet Equinox AWD LT 1.5L TURBO |
| VIN | 2GNAXUEV5L6141399 |
| Title | SALVAGE (Michigan) |
| Primary Damage | Left Rear |
| Secondary Damage | N/A |
| Odometer | 103,085 mi (Actual) |
| Key Present | Present |
| Start Code | Run & Drive |
| Drive Line Type | All Wheel Drive |
| Cylinders | 4 Cylinders |
| Engine | 1.5L I-4 DI, DOHC, VVT, TURBO, 170HP |
| Transmission | Automatic Transmission |
| Fuel Type | Gasoline |
| Restraint System | Front impact airbag driver;Front side impact airbag driver;Overhead airbags;Front impact airbag passenger;Front side impact airbag passenger |