2014 Chevrolet Impala 2LT
2014 Chevrolet Impala 2LT (VIN 2G1125S39E9313542). Photos, auction details and vehicle specs. Primary damage: Front End. Odometer: 227,093 mi (Actual). Final bid: Buy Now: $1,500.
Vehicle overview
This page shows the available auction record for 2014 Chevrolet Impala 2LT identified by VIN 2G1125S39E9313542. Auction source: IAAI • Sale date: Tue May 27, 9:30am (CDT). Title status reported in the record: SALVAGE (Illinois). Reported damage: primary: Front End. Recorded odometer entry: 227,093 mi (Actual). Recorded final bid in history: Buy Now: $1,500. Photo set: 16 images (as provided by the listing source).
This 2014 Chevrolet Impala 2LT was listed via IAAI on Tue May 27, 9:30am (CDT). Recorded final bid: Buy Now: $1,500.
Title status: SALVAGE (Illinois). Primary damage reported: Front End.
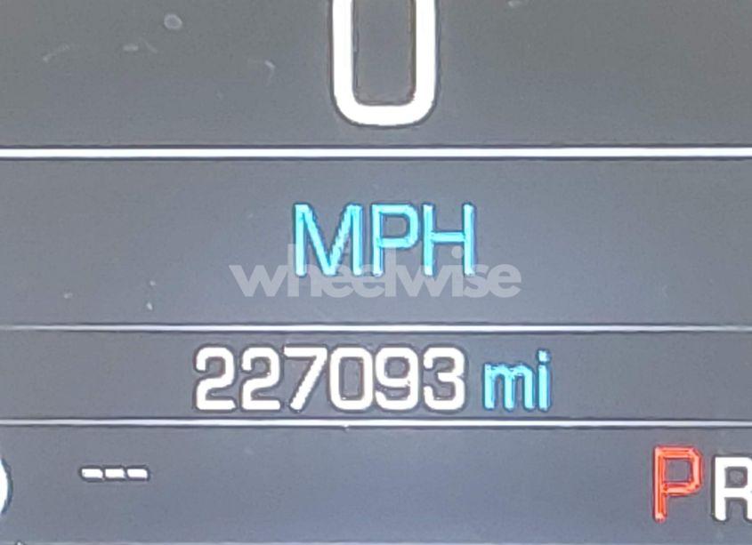
Odometer reading: 227,093 mi (Actual).
Engine: 3.6L V-6 DI, DOHC, VVT, 305HP. Transmission: Automatic Transmission. Fuel: Gasoline. Drive: Front Wheel Drive.
How to read this page
How to use this VIN page: review photos first, then compare the auction history and spec tables. Fields like damage, title, mileage, and sale date come from the underlying listing data and may be missing on some records.
If you are researching purchase, export, or rebuild decisions, treat this page as a research snapshot and validate everything with official paperwork, auction documents, and inspections. Wheelwise does not generate these attributes — we display what the source record contains.
Common reasons some values are blank: the original listing did not provide a field, the value was unreadable, or the record was imported without that attribute.

Photos and condition notes
The photo gallery contains 16 listing images for VIN 2G1125S39E9313542. Use these photos to visually confirm body style, trim badges, wheels, interior options, and visible damage areas.
Damage fields are reported as categories (“primary” / “secondary”). They help you filter listings quickly, but they do not replace a detailed inspection.
When comparing this vehicle to similar listings, focus on year, drivetrain, mileage entry, title status, and auction date — these attributes most often explain price differences.
Another sales of this vehicle

Auction History
| Auction Name | Date | Final Bid |
|---|---|---|
| IAAI | Tue May 27, 9:30am (CDT) | Buy Now: $1,500 |
Vehicle Specs
| Auction | IAAI |
|---|---|
| Auction date | Tue May 27, 9:30am (CDT) |
| Final bid | Buy Now: $1,500 |
| Title | SALVAGE (Illinois) |
|---|---|
| Primary damage | Front End |
| Key present | Present |
| Start code | Run & Drive |
| Drive line | Front Wheel Drive |
|---|---|
| Engine | 3.6L V-6 DI, DOHC, VVT, 305HP |
| Cylinders | 6 Cylinders |
| Transmission | Automatic Transmission |
| Fuel type | Gasoline |
| VIN | 2G1125S39E9313542 |
|---|---|
| Make | Chevrolet |
| Model | Impala |
| Year | 2014 |
| Trim / Package | 2LT |
Key takeaways
- VIN: 2G1125S39E9313542.
- Title status in this record: SALVAGE (Illinois).
- Auction: IAAI • Date: Tue May 27, 9:30am (CDT).
- Recorded final bid: Buy Now: $1,500.
- Primary damage: Front End.
- Odometer entry: 227,093 mi (Actual).
- Powertrain: engine 3.6L V-6 DI, DOHC, VVT, 305HP, transmission Automatic Transmission.
- Photos available: 16.
- Always confirm VIN, title, and condition with official documents before purchase or export.
FAQ
What does the final bid mean?
What does a salvage title mean?
Where do the photos come from?
Can I use this page to verify the vehicle identity?
Quick Facts
- AuctionIAAI
- Auction dateTue May 27, 9:30am (CDT)
- TitleSALVAGE (Illinois)
- Primary damageFront End
- Odometer227,093 mi (Actual)
- Final bidBuy Now: $1,500
- TransmissionAutomatic Transmission
- FuelGasoline
- DriveFront Wheel Drive
- Engine3.6L V-6 DI, DOHC, VVT, 305HP
- Cylinders6 Cylinders
Vehicle Information
| Auction Date | Tue May 27, 9:30am (CDT) |
|---|---|
| Auction Name | IAAI |
| Selling Branch | N/A |
| Stock Number | N/A |
| Vehicle | 2014 Chevrolet Impala 2LT |
| VIN | 2G1125S39E9313542 |
| Title | SALVAGE (Illinois) |
| Primary Damage | Front End |
| Secondary Damage | N/A |
| Odometer | 227,093 mi (Actual) |
| Key Present | Present |
| Start Code | Run & Drive |
| Drive Line Type | Front Wheel Drive |
| Cylinders | 6 Cylinders |
| Engine | 3.6L V-6 DI, DOHC, VVT, 305HP |
| Transmission | Automatic Transmission |
| Fuel Type | Gasoline |
| Restraint System | Front impact airbag driver;Front side impact airbag driver;Overhead airbags;Front impact airbag passenger;Front side impact airbag passenger;Knee airbag;Rear side impact airbag |