2018 Chevrolet Malibu 1LS
2018 Chevrolet Malibu 1LS (VIN 1G1ZB5ST0JF278099). Photos, auction details and vehicle specs. Primary damage: Right Front. Odometer: 83,836 mi (Actual). Final bid: If Bid for $1,200.
Vehicle overview
This page shows the available auction record for 2018 Chevrolet Malibu 1LS identified by VIN 1G1ZB5ST0JF278099. Auction source: IAAI • Sale date: Mon Mar 03, 2025, 08:30AM (CST). Title status reported in the record: BILL OF SALE (Georgia). Reported damage: primary: Right Front, secondary: Left & Right Side. Recorded odometer entry: 83,836 mi (Actual). Recorded final bid in history: If Bid for $1,200. Photo set: 15 images (as provided by the listing source).
This 2018 Chevrolet Malibu 1LS was listed via IAAI on Mon Mar 03, 2025, 08:30AM (CST). Recorded final bid: If Bid for $1,200.
Title status: BILL OF SALE (Georgia). Primary damage reported: Right Front. Secondary damage: Left & Right Side.
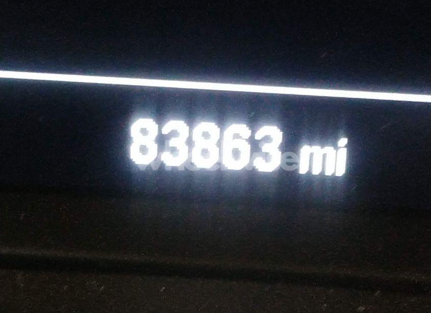
Odometer reading: 83,836 mi (Actual).
Engine: 1.5L I-4 DI, DOHC, VVT, TURBO, 160HP. Transmission: Automatic Transmission. Fuel: Gasoline. Drive: Front Wheel Drive.
How to read this page
How to use this VIN page: review photos first, then compare the auction history and spec tables. Fields like damage, title, mileage, and sale date come from the underlying listing data and may be missing on some records.
If you are researching purchase, export, or rebuild decisions, treat this page as a research snapshot and validate everything with official paperwork, auction documents, and inspections. Wheelwise does not generate these attributes — we display what the source record contains.
Common reasons some values are blank: the original listing did not provide a field, the value was unreadable, or the record was imported without that attribute.

Photos and condition notes
The photo gallery contains 15 listing images for VIN 1G1ZB5ST0JF278099. Use these photos to visually confirm body style, trim badges, wheels, interior options, and visible damage areas.
Damage fields are reported as categories (“primary” / “secondary”). They help you filter listings quickly, but they do not replace a detailed inspection.
When comparing this vehicle to similar listings, focus on year, drivetrain, mileage entry, title status, and auction date — these attributes most often explain price differences.
Another sales of this vehicle

Auction History
| Auction Name | Date | Final Bid |
|---|---|---|
| IAAI | 2025-03-03 | If Bid for $1,200 |
Vehicle Specs
| Auction | IAAI |
|---|---|
| Auction date | Mon Mar 03, 2025, 08:30AM (CST) |
| Final bid | If Bid for $1,200 |
| Title | BILL OF SALE (Georgia) |
|---|---|
| Primary damage | Right Front |
| Secondary damage | Left & Right Side |
| Key present | Missing |
| Start code | Stationary |
| Drive line | Front Wheel Drive |
|---|---|
| Engine | 1.5L I-4 DI, DOHC, VVT, TURBO, 160HP |
| Cylinders | 4 Cylinders |
| Transmission | Automatic Transmission |
| Fuel type | Gasoline |
| VIN | 1G1ZB5ST0JF278099 |
|---|---|
| Make | Chevrolet |
| Model | Malibu |
| Year | 2018 |
| Trim / Package | 1LS |
Key takeaways
- VIN: 1G1ZB5ST0JF278099.
- Title status in this record: BILL OF SALE (Georgia).
- Auction: IAAI • Date: Mon Mar 03, 2025, 08:30AM (CST).
- Recorded final bid: If Bid for $1,200.
- Primary damage: Right Front.
- Secondary damage: Left & Right Side.
- Odometer entry: 83,836 mi (Actual).
- Powertrain: engine 1.5L I-4 DI, DOHC, VVT, TURBO, 160HP, transmission Automatic Transmission.
- Photos available: 15.
- Always confirm VIN, title, and condition with official documents before purchase or export.
FAQ
What does the final bid mean?
Where do the photos come from?
Can I use this page to verify the vehicle identity?
Quick Facts
- AuctionIAAI
- Auction dateMon Mar 03, 2025, 08:30AM (CST)
- TitleBILL OF SALE (Georgia)
- Primary damageRight Front
- Secondary damageLeft & Right Side
- Odometer83,836 mi (Actual)
- Final bidIf Bid for $1,200
- TransmissionAutomatic Transmission
- FuelGasoline
- DriveFront Wheel Drive
- Engine1.5L I-4 DI, DOHC, VVT, TURBO, 160HP
- Cylinders4 Cylinders
Vehicle Information
| Auction Date | Mon Mar 03, 2025, 08:30AM (CST) |
|---|---|
| Auction Name | IAAI |
| Selling Branch | N/A |
| Stock Number | N/A |
| Vehicle | 2018 Chevrolet Malibu 1LS |
| VIN | 1G1ZB5ST0JF278099 |
| Title | BILL OF SALE (Georgia) |
| Primary Damage | Right Front |
| Secondary Damage | Left & Right Side |
| Odometer | 83,836 mi (Actual) |
| Key Present | Missing |
| Start Code | Stationary |
| Drive Line Type | Front Wheel Drive |
| Cylinders | 4 Cylinders |
| Engine | 1.5L I-4 DI, DOHC, VVT, TURBO, 160HP |
| Transmission | Automatic Transmission |
| Fuel Type | Gasoline |
| Restraint System | Front impact airbag driver;Front side impact airbag driver;Overhead airbags;Front impact airbag passenger;Front side impact airbag passenger;Knee airbag;Rear side impact airbag |