2014 Chevrolet Silverado C1500 LT
2014 Chevrolet Silverado C1500 LT (VIN 3GCPCREC6EG398055). Photos, auction details and vehicle specs. Primary damage: Engine Damage. Odometer: 189,943 mi (Actual).
Vehicle overview
This page shows the available auction record for 2014 Chevrolet Silverado C1500 LT identified by VIN 3GCPCREC6EG398055. Auction source: IAAI • Sale date: Mon Jan 27, 2025, 09:30AM (CST). Title status reported in the record: ORIGINAL (Texas). Reported damage: primary: Engine Damage, secondary: Hail. Recorded odometer entry: 189,943 mi (Actual). Photo set: 19 images (as provided by the listing source).
This 2014 Chevrolet Silverado C1500 LT was listed via IAAI on Mon Jan 27, 2025, 09:30AM (CST).
Title status: ORIGINAL (Texas). Primary damage reported: Engine Damage. Secondary damage: Hail.
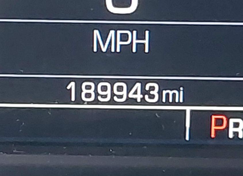
Odometer reading: 189,943 mi (Actual).
Engine: 5.3L V8 FI OHV 16V NF2. Transmission: Automatic Transmission. Fuel: Gasoline. Drive: Rear Wheel Drive.
How to read this page
How to use this VIN page: review photos first, then compare the auction history and spec tables. Fields like damage, title, mileage, and sale date come from the underlying listing data and may be missing on some records.
If you are researching purchase, export, or rebuild decisions, treat this page as a research snapshot and validate everything with official paperwork, auction documents, and inspections. Wheelwise does not generate these attributes — we display what the source record contains.
Common reasons some values are blank: the original listing did not provide a field, the value was unreadable, or the record was imported without that attribute.

Photos and condition notes
The photo gallery contains 19 listing images for VIN 3GCPCREC6EG398055. Use these photos to visually confirm body style, trim badges, wheels, interior options, and visible damage areas.
Damage fields are reported as categories (“primary” / “secondary”). They help you filter listings quickly, but they do not replace a detailed inspection.
When comparing this vehicle to similar listings, focus on year, drivetrain, mileage entry, title status, and auction date — these attributes most often explain price differences.
Auction History
Vehicle Specs
| Auction | IAAI |
|---|---|
| Auction date | Mon Jan 27, 2025, 09:30AM (CST) |
| Title | ORIGINAL (Texas) |
|---|---|
| Primary damage | Engine Damage |
| Secondary damage | Hail |
| Key present | Present |
| Start code | Run & Drive |
| Drive line | Rear Wheel Drive |
|---|---|
| Engine | 5.3L V8 FI OHV 16V NF2 |
| Cylinders | 8 Cylinders |
| Transmission | Automatic Transmission |
| Fuel type | Gasoline |
| VIN | 3GCPCREC6EG398055 |
|---|---|
| Make | Chevrolet |
| Model | Silverado |
| Year | 2014 |
| Trim / Package | C1500 LT |
Key takeaways
- VIN: 3GCPCREC6EG398055.
- Title status in this record: ORIGINAL (Texas).
- Auction: IAAI • Date: Mon Jan 27, 2025, 09:30AM (CST).
- Primary damage: Engine Damage.
- Secondary damage: Hail.
- Odometer entry: 189,943 mi (Actual).
- Powertrain: engine 5.3L V8 FI OHV 16V NF2, transmission Automatic Transmission.
- Photos available: 19.
- Always confirm VIN, title, and condition with official documents before purchase or export.
FAQ
What does the final bid mean?
Where do the photos come from?
Can I use this page to verify the vehicle identity?
Quick Facts
- AuctionIAAI
- Auction dateMon Jan 27, 2025, 09:30AM (CST)
- TitleORIGINAL (Texas)
- Primary damageEngine Damage
- Secondary damageHail
- Odometer189,943 mi (Actual)
- TransmissionAutomatic Transmission
- FuelGasoline
- DriveRear Wheel Drive
- Engine5.3L V8 FI OHV 16V NF2
- Cylinders8 Cylinders
Vehicle Information
| Auction Date | Mon Jan 27, 2025, 09:30AM (CST) |
|---|---|
| Auction Name | IAAI |
| Selling Branch | N/A |
| Stock Number | N/A |
| Vehicle | 2014 Chevrolet Silverado C1500 LT |
| VIN | 3GCPCREC6EG398055 |
| Title | ORIGINAL (Texas) |
| Primary Damage | Engine Damage |
| Secondary Damage | Hail |
| Odometer | 189,943 mi (Actual) |
| Key Present | Present |
| Start Code | Run & Drive |
| Drive Line Type | Rear Wheel Drive |
| Cylinders | 8 Cylinders |
| Engine | 5.3L V8 FI OHV 16V NF2 |
| Transmission | Automatic Transmission |
| Fuel Type | Gasoline |
| Restraint System | Du Ar Bgs Frnt Hd and Sd/Act Blts/ w/Ato Pss Snsr |