2014 Chevrolet Silverado 1500 2LT
2014 Chevrolet Silverado 1500 2LT (VIN 3GCUKREC5EG469431). Photos, auction details and vehicle specs. Primary damage: Front End. Odometer: 69,416 mi (Actual). Final bid: If Bid for $5,200.
Vehicle overview
This page shows the available auction record for 2014 Chevrolet Silverado 1500 2LT identified by VIN 3GCUKREC5EG469431. Auction source: IAAI • Sale date: Mon Jan 20, 2025, 09:30AM (CST). Title status reported in the record: SALVAGE TITLE (Iowa). Reported damage: primary: Front End, secondary: Left Front. Recorded odometer entry: 69,416 mi (Actual). Recorded final bid in history: If Bid for $5,200. Photo set: 19 images (as provided by the listing source).
This 2014 Chevrolet Silverado 1500 2LT was listed via IAAI on Mon Jan 20, 2025, 09:30AM (CST). Recorded final bid: If Bid for $5,200.
Title status: SALVAGE TITLE (Iowa). Primary damage reported: Front End. Secondary damage: Left Front.
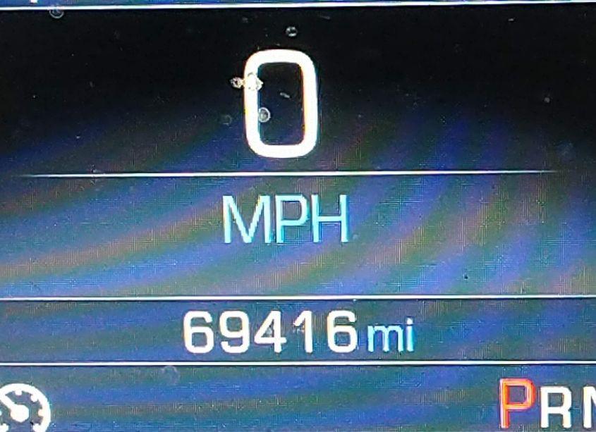
Odometer reading: 69,416 mi (Actual).
Engine: 5.3L V-8 DI, VVT, 355HP. Transmission: Automatic Transmission. Fuel: Gasoline. Drive: 4X4 Drive.
How to read this page
How to use this VIN page: review photos first, then compare the auction history and spec tables. Fields like damage, title, mileage, and sale date come from the underlying listing data and may be missing on some records.
If you are researching purchase, export, or rebuild decisions, treat this page as a research snapshot and validate everything with official paperwork, auction documents, and inspections. Wheelwise does not generate these attributes — we display what the source record contains.
Common reasons some values are blank: the original listing did not provide a field, the value was unreadable, or the record was imported without that attribute.

Photos and condition notes
The photo gallery contains 19 listing images for VIN 3GCUKREC5EG469431. Use these photos to visually confirm body style, trim badges, wheels, interior options, and visible damage areas.
Damage fields are reported as categories (“primary” / “secondary”). They help you filter listings quickly, but they do not replace a detailed inspection.
When comparing this vehicle to similar listings, focus on year, drivetrain, mileage entry, title status, and auction date — these attributes most often explain price differences.
Another sales of this vehicle

Auction History
| Auction Name | Date | Final Bid |
|---|---|---|
| IAAI | 2025-01-20 | If Bid for $5,200 |
Vehicle Specs
| Auction | IAAI |
|---|---|
| Auction date | Mon Jan 20, 2025, 09:30AM (CST) |
| Final bid | If Bid for $5,200 |
| Title | SALVAGE TITLE (Iowa) |
|---|---|
| Primary damage | Front End |
| Secondary damage | Left Front |
| Key present | Present |
| Start code | Run & Drive |
| Drive line | 4X4 Drive |
|---|---|
| Engine | 5.3L V-8 DI, VVT, 355HP |
| Cylinders | 8 Cylinders |
| Transmission | Automatic Transmission |
| Fuel type | Gasoline |
| VIN | 3GCUKREC5EG469431 |
|---|---|
| Make | Chevrolet |
| Model | Silverado |
| Year | 2014 |
| Trim / Package | 1500 2LT |
Key takeaways
- VIN: 3GCUKREC5EG469431.
- Title status in this record: SALVAGE TITLE (Iowa).
- Auction: IAAI • Date: Mon Jan 20, 2025, 09:30AM (CST).
- Recorded final bid: If Bid for $5,200.
- Primary damage: Front End.
- Secondary damage: Left Front.
- Odometer entry: 69,416 mi (Actual).
- Powertrain: engine 5.3L V-8 DI, VVT, 355HP, transmission Automatic Transmission.
- Photos available: 19.
- Always confirm VIN, title, and condition with official documents before purchase or export.
FAQ
What does the final bid mean?
What does a salvage title mean?
Where do the photos come from?
Can I use this page to verify the vehicle identity?
Quick Facts
- AuctionIAAI
- Auction dateMon Jan 20, 2025, 09:30AM (CST)
- TitleSALVAGE TITLE (Iowa)
- Primary damageFront End
- Secondary damageLeft Front
- Odometer69,416 mi (Actual)
- Final bidIf Bid for $5,200
- TransmissionAutomatic Transmission
- FuelGasoline
- Drive4X4 Drive
- Engine5.3L V-8 DI, VVT, 355HP
- Cylinders8 Cylinders
Vehicle Information
| Auction Date | Mon Jan 20, 2025, 09:30AM (CST) |
|---|---|
| Auction Name | IAAI |
| Selling Branch | N/A |
| Stock Number | N/A |
| Vehicle | 2014 Chevrolet Silverado 1500 2LT |
| VIN | 3GCUKREC5EG469431 |
| Title | SALVAGE TITLE (Iowa) |
| Primary Damage | Front End |
| Secondary Damage | Left Front |
| Odometer | 69,416 mi (Actual) |
| Key Present | Present |
| Start Code | Run & Drive |
| Drive Line Type | 4X4 Drive |
| Cylinders | 8 Cylinders |
| Engine | 5.3L V-8 DI, VVT, 355HP |
| Transmission | Automatic Transmission |
| Fuel Type | Gasoline |
| Restraint System | Front impact airbag driver;Front side impact airbag driver;Overhead airbags;Front impact airbag passenger;Front side impact airbag passenger |