2014 Chevrolet Silverado 1500 2LZ
2014 Chevrolet Silverado 1500 2LZ (VIN 3GCUKSEC7EG462309). Photos, auction details and vehicle specs. Primary damage: Right Front. Odometer: 167,144 mi (Actual). Final bid: Buy Now: $5,000.
Vehicle overview
This page shows the available auction record for 2014 Chevrolet Silverado 1500 2LZ identified by VIN 3GCUKSEC7EG462309. Auction source: IAAI • Sale date: Tue Mar 25, 9:30am (CDT). Title status reported in the record: ORIGINAL (Texas). Reported damage: primary: Right Front, secondary: Right Side. Recorded odometer entry: 167,144 mi (Actual). Recorded final bid in history: Buy Now: $5,000. Photo set: 16 images (as provided by the listing source).
This 2014 Chevrolet Silverado 1500 2LZ was listed via IAAI on Tue Mar 25, 9:30am (CDT). Recorded final bid: Buy Now: $5,000.
Title status: ORIGINAL (Texas). Primary damage reported: Right Front. Secondary damage: Right Side.
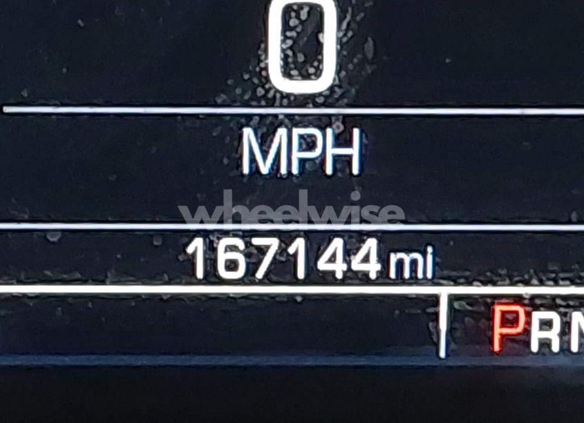
Odometer reading: 167,144 mi (Actual).
Engine: 5.3L V-8 DI, VVT, 355HP. Transmission: Automatic Transmission. Fuel: Gasoline. Drive: 4X4 Drive.
How to read this page
How to use this VIN page: review photos first, then compare the auction history and spec tables. Fields like damage, title, mileage, and sale date come from the underlying listing data and may be missing on some records.
If you are researching purchase, export, or rebuild decisions, treat this page as a research snapshot and validate everything with official paperwork, auction documents, and inspections. Wheelwise does not generate these attributes — we display what the source record contains.
Common reasons some values are blank: the original listing did not provide a field, the value was unreadable, or the record was imported without that attribute.

Photos and condition notes
The photo gallery contains 16 listing images for VIN 3GCUKSEC7EG462309. Use these photos to visually confirm body style, trim badges, wheels, interior options, and visible damage areas.
Damage fields are reported as categories (“primary” / “secondary”). They help you filter listings quickly, but they do not replace a detailed inspection.
When comparing this vehicle to similar listings, focus on year, drivetrain, mileage entry, title status, and auction date — these attributes most often explain price differences.
Another sales of this vehicle

Auction History
| Auction Name | Date | Final Bid |
|---|---|---|
| IAAI | Tue Mar 25, 9:30am (CDT) | Buy Now: $5,000 |
Vehicle Specs
| Auction | IAAI |
|---|---|
| Auction date | Tue Mar 25, 9:30am (CDT) |
| Final bid | Buy Now: $5,000 |
| Title | ORIGINAL (Texas) |
|---|---|
| Primary damage | Right Front |
| Secondary damage | Right Side |
| Key present | Present |
| Start code | Stationary |
| Drive line | 4X4 Drive |
|---|---|
| Engine | 5.3L V-8 DI, VVT, 355HP |
| Cylinders | 8 Cylinders |
| Transmission | Automatic Transmission |
| Fuel type | Gasoline |
| VIN | 3GCUKSEC7EG462309 |
|---|---|
| Make | Chevrolet |
| Model | Silverado |
| Year | 2014 |
| Trim / Package | 1500 2LZ |
Key takeaways
- VIN: 3GCUKSEC7EG462309.
- Title status in this record: ORIGINAL (Texas).
- Auction: IAAI • Date: Tue Mar 25, 9:30am (CDT).
- Recorded final bid: Buy Now: $5,000.
- Primary damage: Right Front.
- Secondary damage: Right Side.
- Odometer entry: 167,144 mi (Actual).
- Powertrain: engine 5.3L V-8 DI, VVT, 355HP, transmission Automatic Transmission.
- Photos available: 16.
- Always confirm VIN, title, and condition with official documents before purchase or export.
FAQ
What does the final bid mean?
Where do the photos come from?
Can I use this page to verify the vehicle identity?
Quick Facts
- AuctionIAAI
- Auction dateTue Mar 25, 9:30am (CDT)
- TitleORIGINAL (Texas)
- Primary damageRight Front
- Secondary damageRight Side
- Odometer167,144 mi (Actual)
- Final bidBuy Now: $5,000
- TransmissionAutomatic Transmission
- FuelGasoline
- Drive4X4 Drive
- Engine5.3L V-8 DI, VVT, 355HP
- Cylinders8 Cylinders
Vehicle Information
| Auction Date | Tue Mar 25, 9:30am (CDT) |
|---|---|
| Auction Name | IAAI |
| Selling Branch | N/A |
| Stock Number | N/A |
| Vehicle | 2014 Chevrolet Silverado 1500 2LZ |
| VIN | 3GCUKSEC7EG462309 |
| Title | ORIGINAL (Texas) |
| Primary Damage | Right Front |
| Secondary Damage | Right Side |
| Odometer | 167,144 mi (Actual) |
| Key Present | Present |
| Start Code | Stationary |
| Drive Line Type | 4X4 Drive |
| Cylinders | 8 Cylinders |
| Engine | 5.3L V-8 DI, VVT, 355HP |
| Transmission | Automatic Transmission |
| Fuel Type | Gasoline |
| Restraint System | Front impact airbag driver;Front side impact airbag driver;Overhead airbags;Front impact airbag passenger;Front side impact airbag passenger |