2016 Chevrolet Silverado 2500HD LT
2016 Chevrolet Silverado 2500HD LT (VIN 1GC1KVE85GF250173). Photos, auction details and vehicle specs. Primary damage: Right Side. Odometer: 155,688 mi (Actual). Final bid: Buy Now: $7,700.
Vehicle overview
This page shows the available auction record for 2016 Chevrolet Silverado 2500HD LT identified by VIN 1GC1KVE85GF250173. Auction source: IAAI • Sale date: Mon Apr 7, 8:30am (CDT). Title status reported in the record: SALVAGE (North Carolina). Reported damage: primary: Right Side. Recorded odometer entry: 155,688 mi (Actual). Recorded final bid in history: Buy Now: $7,700. Photo set: 16 images (as provided by the listing source).
This 2016 Chevrolet Silverado 2500HD LT was listed via IAAI on Mon Apr 7, 8:30am (CDT). Recorded final bid: Buy Now: $7,700.
Title status: SALVAGE (North Carolina). Primary damage reported: Right Side.
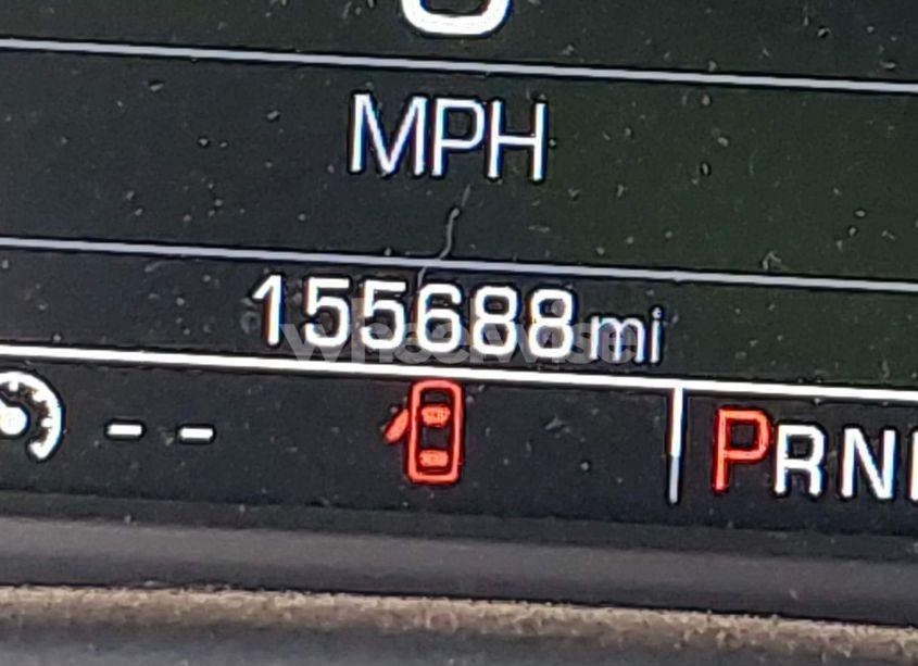
Odometer reading: 155,688 mi (Actual).
Engine: 6.6L V-8 DI, TURBO, 397HP. Transmission: Automatic Transmission. Fuel: Diesel. Drive: 4X4 Drive.
How to read this page
How to use this VIN page: review photos first, then compare the auction history and spec tables. Fields like damage, title, mileage, and sale date come from the underlying listing data and may be missing on some records.
If you are researching purchase, export, or rebuild decisions, treat this page as a research snapshot and validate everything with official paperwork, auction documents, and inspections. Wheelwise does not generate these attributes — we display what the source record contains.
Common reasons some values are blank: the original listing did not provide a field, the value was unreadable, or the record was imported without that attribute.

Photos and condition notes
The photo gallery contains 16 listing images for VIN 1GC1KVE85GF250173. Use these photos to visually confirm body style, trim badges, wheels, interior options, and visible damage areas.
Damage fields are reported as categories (“primary” / “secondary”). They help you filter listings quickly, but they do not replace a detailed inspection.
When comparing this vehicle to similar listings, focus on year, drivetrain, mileage entry, title status, and auction date — these attributes most often explain price differences.
Another sales of this vehicle

Auction History
| Auction Name | Date | Final Bid |
|---|---|---|
| IAAI | Mon Apr 7, 8:30am (CDT) | Buy Now: $7,700 |
Vehicle Specs
| Auction | IAAI |
|---|---|
| Auction date | Mon Apr 7, 8:30am (CDT) |
| Final bid | Buy Now: $7,700 |
| Title | SALVAGE (North Carolina) |
|---|---|
| Primary damage | Right Side |
| Key present | Present |
| Start code | Run & Drive |
| Drive line | 4X4 Drive |
|---|---|
| Engine | 6.6L V-8 DI, TURBO, 397HP |
| Cylinders | 8 Cylinders |
| Transmission | Automatic Transmission |
| Fuel type | Diesel |
| VIN | 1GC1KVE85GF250173 |
|---|---|
| Make | Chevrolet |
| Model | Silverado |
| Year | 2016 |
| Trim / Package | 2500HD LT |
Key takeaways
- VIN: 1GC1KVE85GF250173.
- Title status in this record: SALVAGE (North Carolina).
- Auction: IAAI • Date: Mon Apr 7, 8:30am (CDT).
- Recorded final bid: Buy Now: $7,700.
- Primary damage: Right Side.
- Odometer entry: 155,688 mi (Actual).
- Powertrain: engine 6.6L V-8 DI, TURBO, 397HP, transmission Automatic Transmission.
- Photos available: 16.
- Always confirm VIN, title, and condition with official documents before purchase or export.
FAQ
What does the final bid mean?
What does a salvage title mean?
Where do the photos come from?
Can I use this page to verify the vehicle identity?
Quick Facts
- AuctionIAAI
- Auction dateMon Apr 7, 8:30am (CDT)
- TitleSALVAGE (North Carolina)
- Primary damageRight Side
- Odometer155,688 mi (Actual)
- Final bidBuy Now: $7,700
- TransmissionAutomatic Transmission
- FuelDiesel
- Drive4X4 Drive
- Engine6.6L V-8 DI, TURBO, 397HP
- Cylinders8 Cylinders
Vehicle Information
| Auction Date | Mon Apr 7, 8:30am (CDT) |
|---|---|
| Auction Name | IAAI |
| Selling Branch | N/A |
| Stock Number | N/A |
| Vehicle | 2016 Chevrolet Silverado 2500HD LT |
| VIN | 1GC1KVE85GF250173 |
| Title | SALVAGE (North Carolina) |
| Primary Damage | Right Side |
| Secondary Damage | N/A |
| Odometer | 155,688 mi (Actual) |
| Key Present | Present |
| Start Code | Run & Drive |
| Drive Line Type | 4X4 Drive |
| Cylinders | 8 Cylinders |
| Engine | 6.6L V-8 DI, TURBO, 397HP |
| Transmission | Automatic Transmission |
| Fuel Type | Diesel |
| Restraint System | Front impact airbag driver;Front side impact airbag driver;Overhead airbags;Front impact airbag passenger;Front side impact airbag passenger |