2017 Chevrolet Silverado 2500HD LTZ
2017 Chevrolet Silverado 2500HD LTZ (VIN 1GC1KWEY2HF118141). Photos, auction details and vehicle specs. Primary damage: Engine Damage. Odometer: 150,139 mi (Actual). Final bid: If Bid for $5,200.
Vehicle overview
This page shows the available auction record for 2017 Chevrolet Silverado 2500HD LTZ identified by VIN 1GC1KWEY2HF118141. Auction source: IAAI • Sale date: Thu Jan 16, 2025, 08:30AM (CST). Title status reported in the record: SALVAGE (North Carolina). Reported damage: primary: Engine Damage. Recorded odometer entry: 150,139 mi (Actual). Recorded final bid in history: If Bid for $5,200. Photo set: 11 images (as provided by the listing source).
This 2017 Chevrolet Silverado 2500HD LTZ was listed via IAAI on Thu Jan 16, 2025, 08:30AM (CST). Recorded final bid: If Bid for $5,200.
Title status: SALVAGE (North Carolina). Primary damage reported: Engine Damage.
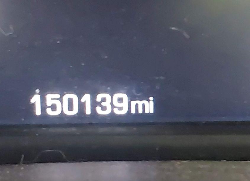
Odometer reading: 150,139 mi (Actual).
Engine: 6.6L V-8 DI, TURBO, 445HP. Transmission: Automatic Transmission. Fuel: Diesel. Drive: 4X4 Drive.
How to read this page
How to use this VIN page: review photos first, then compare the auction history and spec tables. Fields like damage, title, mileage, and sale date come from the underlying listing data and may be missing on some records.
If you are researching purchase, export, or rebuild decisions, treat this page as a research snapshot and validate everything with official paperwork, auction documents, and inspections. Wheelwise does not generate these attributes — we display what the source record contains.
Common reasons some values are blank: the original listing did not provide a field, the value was unreadable, or the record was imported without that attribute.

Photos and condition notes
The photo gallery contains 11 listing images for VIN 1GC1KWEY2HF118141. Use these photos to visually confirm body style, trim badges, wheels, interior options, and visible damage areas.
Damage fields are reported as categories (“primary” / “secondary”). They help you filter listings quickly, but they do not replace a detailed inspection.
When comparing this vehicle to similar listings, focus on year, drivetrain, mileage entry, title status, and auction date — these attributes most often explain price differences.
Another sales of this vehicle

Auction History
| Auction Name | Date | Final Bid |
|---|---|---|
| IAAI | 2025-01-16 | If Bid for $5,200 |
Vehicle Specs
| Auction | IAAI |
|---|---|
| Auction date | Thu Jan 16, 2025, 08:30AM (CST) |
| Final bid | If Bid for $5,200 |
| Title | SALVAGE (North Carolina) |
|---|---|
| Primary damage | Engine Damage |
| Key present | Present |
| Start code | Stationary |
| Drive line | 4X4 Drive |
|---|---|
| Engine | 6.6L V-8 DI, TURBO, 445HP |
| Cylinders | 8 Cylinders |
| Transmission | Automatic Transmission |
| Fuel type | Diesel |
| VIN | 1GC1KWEY2HF118141 |
|---|---|
| Make | Chevrolet |
| Model | Silverado |
| Year | 2017 |
| Trim / Package | 2500HD LTZ |
Key takeaways
- VIN: 1GC1KWEY2HF118141.
- Title status in this record: SALVAGE (North Carolina).
- Auction: IAAI • Date: Thu Jan 16, 2025, 08:30AM (CST).
- Recorded final bid: If Bid for $5,200.
- Primary damage: Engine Damage.
- Odometer entry: 150,139 mi (Actual).
- Powertrain: engine 6.6L V-8 DI, TURBO, 445HP, transmission Automatic Transmission.
- Photos available: 11.
- Always confirm VIN, title, and condition with official documents before purchase or export.
FAQ
What does the final bid mean?
What does a salvage title mean?
Where do the photos come from?
Can I use this page to verify the vehicle identity?
Quick Facts
- AuctionIAAI
- Auction dateThu Jan 16, 2025, 08:30AM (CST)
- TitleSALVAGE (North Carolina)
- Primary damageEngine Damage
- Odometer150,139 mi (Actual)
- Final bidIf Bid for $5,200
- TransmissionAutomatic Transmission
- FuelDiesel
- Drive4X4 Drive
- Engine6.6L V-8 DI, TURBO, 445HP
- Cylinders8 Cylinders
Vehicle Information
| Auction Date | Thu Jan 16, 2025, 08:30AM (CST) |
|---|---|
| Auction Name | IAAI |
| Selling Branch | N/A |
| Stock Number | N/A |
| Vehicle | 2017 Chevrolet Silverado 2500HD LTZ |
| VIN | 1GC1KWEY2HF118141 |
| Title | SALVAGE (North Carolina) |
| Primary Damage | Engine Damage |
| Secondary Damage | N/A |
| Odometer | 150,139 mi (Actual) |
| Key Present | Present |
| Start Code | Stationary |
| Drive Line Type | 4X4 Drive |
| Cylinders | 8 Cylinders |
| Engine | 6.6L V-8 DI, TURBO, 445HP |
| Transmission | Automatic Transmission |
| Fuel Type | Diesel |
| Restraint System | Front impact airbag driver;Front side impact airbag driver;Overhead airbags;Front impact airbag passenger;Front side impact airbag passenger |