2019 Chevrolet Silverado 1500 CUSTOM TRAIL BOSS
2019 Chevrolet Silverado 1500 CUSTOM TRAIL BOSS (VIN 1GCRYCEF3KZ216938). Photos, auction details and vehicle specs. Primary damage: All Over. Odometer: 179,862 mi (Actual).
Vehicle overview
This page shows the available auction record for 2019 Chevrolet Silverado 1500 CUSTOM TRAIL BOSS identified by VIN 1GCRYCEF3KZ216938. Auction source: IAAI • Sale date: Fri Jan 10, 2025, 08:30AM (CST). Title status reported in the record: SALVAGE (Massachusetts). Reported damage: primary: All Over, secondary: Front End. Recorded odometer entry: 179,862 mi (Actual). Photo set: 15 images (as provided by the listing source).
This 2019 Chevrolet Silverado 1500 CUSTOM TRAIL BOSS was listed via IAAI on Fri Jan 10, 2025, 08:30AM (CST).
Title status: SALVAGE (Massachusetts). Primary damage reported: All Over. Secondary damage: Front End.
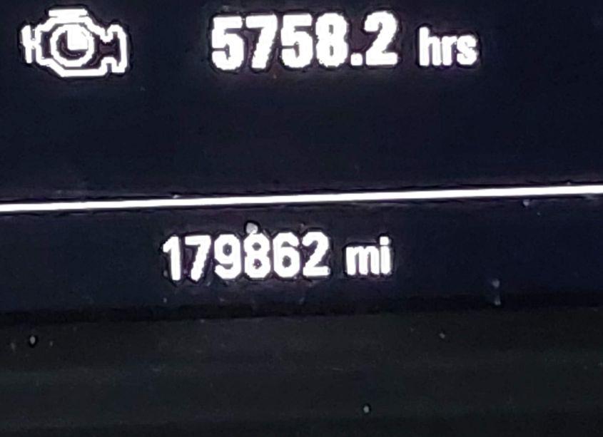
Odometer reading: 179,862 mi (Actual).
Engine: 5.3L V-8 DI, VVT, 355HP. Transmission: Automatic Transmission. Fuel: Gasoline. Drive: 4X4 Drive.
How to read this page
How to use this VIN page: review photos first, then compare the auction history and spec tables. Fields like damage, title, mileage, and sale date come from the underlying listing data and may be missing on some records.
If you are researching purchase, export, or rebuild decisions, treat this page as a research snapshot and validate everything with official paperwork, auction documents, and inspections. Wheelwise does not generate these attributes — we display what the source record contains.
Common reasons some values are blank: the original listing did not provide a field, the value was unreadable, or the record was imported without that attribute.

Photos and condition notes
The photo gallery contains 15 listing images for VIN 1GCRYCEF3KZ216938. Use these photos to visually confirm body style, trim badges, wheels, interior options, and visible damage areas.
Damage fields are reported as categories (“primary” / “secondary”). They help you filter listings quickly, but they do not replace a detailed inspection.
When comparing this vehicle to similar listings, focus on year, drivetrain, mileage entry, title status, and auction date — these attributes most often explain price differences.
Auction History
Vehicle Specs
| Auction | IAAI |
|---|---|
| Auction date | Fri Jan 10, 2025, 08:30AM (CST) |
| Title | SALVAGE (Massachusetts) |
|---|---|
| Primary damage | All Over |
| Secondary damage | Front End |
| Key present | Missing |
| Start code | Stationary |
| Drive line | 4X4 Drive |
|---|---|
| Engine | 5.3L V-8 DI, VVT, 355HP |
| Cylinders | 8 Cylinders |
| Transmission | Automatic Transmission |
| Fuel type | Gasoline |
| VIN | 1GCRYCEF3KZ216938 |
|---|---|
| Make | Chevrolet |
| Model | Silverado |
| Year | 2019 |
| Trim / Package | 1500 CUSTOM TRAIL BOSS |
Key takeaways
- VIN: 1GCRYCEF3KZ216938.
- Title status in this record: SALVAGE (Massachusetts).
- Auction: IAAI • Date: Fri Jan 10, 2025, 08:30AM (CST).
- Primary damage: All Over.
- Secondary damage: Front End.
- Odometer entry: 179,862 mi (Actual).
- Powertrain: engine 5.3L V-8 DI, VVT, 355HP, transmission Automatic Transmission.
- Photos available: 15.
- Always confirm VIN, title, and condition with official documents before purchase or export.
FAQ
What does the final bid mean?
What does a salvage title mean?
Where do the photos come from?
Can I use this page to verify the vehicle identity?
Quick Facts
- AuctionIAAI
- Auction dateFri Jan 10, 2025, 08:30AM (CST)
- TitleSALVAGE (Massachusetts)
- Primary damageAll Over
- Secondary damageFront End
- Odometer179,862 mi (Actual)
- TransmissionAutomatic Transmission
- FuelGasoline
- Drive4X4 Drive
- Engine5.3L V-8 DI, VVT, 355HP
- Cylinders8 Cylinders
Vehicle Information
| Auction Date | Fri Jan 10, 2025, 08:30AM (CST) |
|---|---|
| Auction Name | IAAI |
| Selling Branch | N/A |
| Stock Number | N/A |
| Vehicle | 2019 Chevrolet Silverado 1500 CUSTOM TRAIL BOSS |
| VIN | 1GCRYCEF3KZ216938 |
| Title | SALVAGE (Massachusetts) |
| Primary Damage | All Over |
| Secondary Damage | Front End |
| Odometer | 179,862 mi (Actual) |
| Key Present | Missing |
| Start Code | Stationary |
| Drive Line Type | 4X4 Drive |
| Cylinders | 8 Cylinders |
| Engine | 5.3L V-8 DI, VVT, 355HP |
| Transmission | Automatic Transmission |
| Fuel Type | Gasoline |
| Restraint System | Front impact airbag driver;Front side impact airbag driver;Overhead airbags;Front impact airbag passenger;Front side impact airbag passenger |