2015 Chrysler 200 C
2015 Chrysler 200 C (VIN 1C3CCCCB4FN714345). Photos, auction details and vehicle specs. Primary damage: Front & Rear. Odometer: 173,099 mi (Actual). Final bid: If Bid for $525.
Vehicle overview
This page shows the available auction record for 2015 Chrysler 200 C identified by VIN 1C3CCCCB4FN714345. Auction source: IAAI • Sale date: Mon Feb 17, 2025, 09:30AM (CST). Title status reported in the record: PRIOR SALVAGE (Minnesota). Reported damage: primary: Front & Rear, secondary: Right Side. Recorded odometer entry: 173,099 mi (Actual). Recorded final bid in history: If Bid for $525. Photo set: 16 images (as provided by the listing source).
This 2015 Chrysler 200 C was listed via IAAI on Mon Feb 17, 2025, 09:30AM (CST). Recorded final bid: If Bid for $525.
Title status: PRIOR SALVAGE (Minnesota). Primary damage reported: Front & Rear. Secondary damage: Right Side.
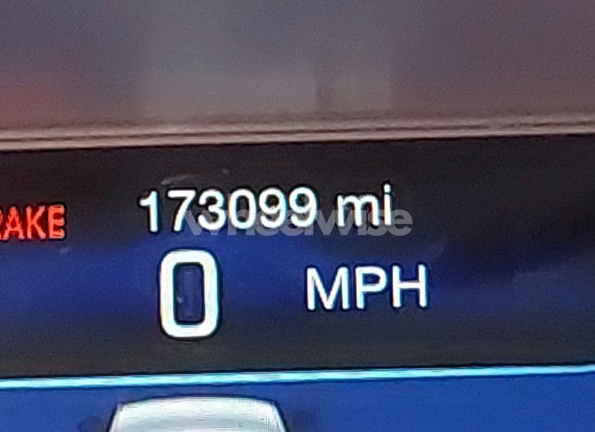
Odometer reading: 173,099 mi (Actual).
Engine: 2.4L I-4 VVT, 184HP. Transmission: Automatic Transmission. Fuel: Gasoline. Drive: Front Wheel Drive.
How to read this page
How to use this VIN page: review photos first, then compare the auction history and spec tables. Fields like damage, title, mileage, and sale date come from the underlying listing data and may be missing on some records.
If you are researching purchase, export, or rebuild decisions, treat this page as a research snapshot and validate everything with official paperwork, auction documents, and inspections. Wheelwise does not generate these attributes — we display what the source record contains.
Common reasons some values are blank: the original listing did not provide a field, the value was unreadable, or the record was imported without that attribute.

Photos and condition notes
The photo gallery contains 16 listing images for VIN 1C3CCCCB4FN714345. Use these photos to visually confirm body style, trim badges, wheels, interior options, and visible damage areas.
Damage fields are reported as categories (“primary” / “secondary”). They help you filter listings quickly, but they do not replace a detailed inspection.
When comparing this vehicle to similar listings, focus on year, drivetrain, mileage entry, title status, and auction date — these attributes most often explain price differences.
Another sales of this vehicle

Auction History
| Auction Name | Date | Final Bid |
|---|---|---|
| IAAI | 2025-02-03 | If Bid for $525 |
Vehicle Specs
| Auction | IAAI |
|---|---|
| Auction date | Mon Feb 17, 2025, 09:30AM (CST) |
| Final bid | If Bid for $525 |
| Title | PRIOR SALVAGE (Minnesota) |
|---|---|
| Primary damage | Front & Rear |
| Secondary damage | Right Side |
| Key present | Present |
| Start code | Run & Drive |
| Drive line | Front Wheel Drive |
|---|---|
| Engine | 2.4L I-4 VVT, 184HP |
| Cylinders | 4 Cylinders |
| Transmission | Automatic Transmission |
| Fuel type | Gasoline |
| VIN | 1C3CCCCB4FN714345 |
|---|---|
| Make | Chrysler |
| Model | 200 |
| Year | 2015 |
| Trim / Package | C |
Key takeaways
- VIN: 1C3CCCCB4FN714345.
- Title status in this record: PRIOR SALVAGE (Minnesota).
- Auction: IAAI • Date: Mon Feb 17, 2025, 09:30AM (CST).
- Recorded final bid: If Bid for $525.
- Primary damage: Front & Rear.
- Secondary damage: Right Side.
- Odometer entry: 173,099 mi (Actual).
- Powertrain: engine 2.4L I-4 VVT, 184HP, transmission Automatic Transmission.
- Photos available: 16.
- Always confirm VIN, title, and condition with official documents before purchase or export.
FAQ
What does the final bid mean?
What does a salvage title mean?
Where do the photos come from?
Can I use this page to verify the vehicle identity?
Quick Facts
- AuctionIAAI
- Auction dateMon Feb 17, 2025, 09:30AM (CST)
- TitlePRIOR SALVAGE (Minnesota)
- Primary damageFront & Rear
- Secondary damageRight Side
- Odometer173,099 mi (Actual)
- Final bidIf Bid for $525
- TransmissionAutomatic Transmission
- FuelGasoline
- DriveFront Wheel Drive
- Engine2.4L I-4 VVT, 184HP
- Cylinders4 Cylinders
Vehicle Information
| Auction Date | Mon Feb 17, 2025, 09:30AM (CST) |
|---|---|
| Auction Name | IAAI |
| Selling Branch | N/A |
| Stock Number | N/A |
| Vehicle | 2015 Chrysler 200 C |
| VIN | 1C3CCCCB4FN714345 |
| Title | PRIOR SALVAGE (Minnesota) |
| Primary Damage | Front & Rear |
| Secondary Damage | Right Side |
| Odometer | 173,099 mi (Actual) |
| Key Present | Present |
| Start Code | Run & Drive |
| Drive Line Type | Front Wheel Drive |
| Cylinders | 4 Cylinders |
| Engine | 2.4L I-4 VVT, 184HP |
| Transmission | Automatic Transmission |
| Fuel Type | Gasoline |
| Restraint System | Front impact airbag driver;Front side impact airbag driver;Overhead airbags;Front impact airbag passenger;Front side impact airbag passenger;Knee airbag |