2016 Ford Escape S
2016 Ford Escape S (VIN 1FMCU0F79GUB79594). Photos, auction details and vehicle specs. Primary damage: Right Side. Odometer: 134,728 mi (Actual).
Vehicle overview
This page shows the available auction record for 2016 Ford Escape S identified by VIN 1FMCU0F79GUB79594. Auction source: IAAI • Sale date: Tue Feb 11, 2025, 08:30AM (CST). Title status reported in the record: CLEAR (Michigan). Reported damage: primary: Right Side. Recorded odometer entry: 134,728 mi (Actual). Photo set: 16 images (as provided by the listing source).
This 2016 Ford Escape S was listed via IAAI on Tue Feb 11, 2025, 08:30AM (CST).
Title status: CLEAR (Michigan). Primary damage reported: Right Side.
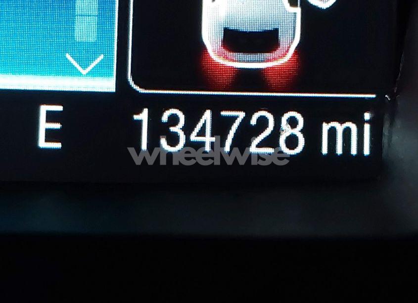
Odometer reading: 134,728 mi (Actual).
Engine: 2.5L I-4 DOHC, VVT, 168HP. Transmission: Automatic Transmission. Fuel: Gasoline. Drive: Front Wheel Drive.
How to read this page
How to use this VIN page: review photos first, then compare the auction history and spec tables. Fields like damage, title, mileage, and sale date come from the underlying listing data and may be missing on some records.
If you are researching purchase, export, or rebuild decisions, treat this page as a research snapshot and validate everything with official paperwork, auction documents, and inspections. Wheelwise does not generate these attributes — we display what the source record contains.
Common reasons some values are blank: the original listing did not provide a field, the value was unreadable, or the record was imported without that attribute.

Photos and condition notes
The photo gallery contains 16 listing images for VIN 1FMCU0F79GUB79594. Use these photos to visually confirm body style, trim badges, wheels, interior options, and visible damage areas.
Damage fields are reported as categories (“primary” / “secondary”). They help you filter listings quickly, but they do not replace a detailed inspection.
When comparing this vehicle to similar listings, focus on year, drivetrain, mileage entry, title status, and auction date — these attributes most often explain price differences.
Auction History
Vehicle Specs
| Auction | IAAI |
|---|---|
| Auction date | Tue Feb 11, 2025, 08:30AM (CST) |
| Title | CLEAR (Michigan) |
|---|---|
| Primary damage | Right Side |
| Key present | Present |
| Start code | Run & Drive |
| Drive line | Front Wheel Drive |
|---|---|
| Engine | 2.5L I-4 DOHC, VVT, 168HP |
| Cylinders | 4 Cylinders |
| Transmission | Automatic Transmission |
| Fuel type | Gasoline |
| VIN | 1FMCU0F79GUB79594 |
|---|---|
| Make | Ford |
| Model | Escape |
| Year | 2016 |
| Trim / Package | S |
Key takeaways
- VIN: 1FMCU0F79GUB79594.
- Title status in this record: CLEAR (Michigan).
- Auction: IAAI • Date: Tue Feb 11, 2025, 08:30AM (CST).
- Primary damage: Right Side.
- Odometer entry: 134,728 mi (Actual).
- Powertrain: engine 2.5L I-4 DOHC, VVT, 168HP, transmission Automatic Transmission.
- Photos available: 16.
- Always confirm VIN, title, and condition with official documents before purchase or export.
FAQ
What does the final bid mean?
Where do the photos come from?
Can I use this page to verify the vehicle identity?
Quick Facts
- AuctionIAAI
- Auction dateTue Feb 11, 2025, 08:30AM (CST)
- TitleCLEAR (Michigan)
- Primary damageRight Side
- Odometer134,728 mi (Actual)
- TransmissionAutomatic Transmission
- FuelGasoline
- DriveFront Wheel Drive
- Engine2.5L I-4 DOHC, VVT, 168HP
- Cylinders4 Cylinders
Vehicle Information
| Auction Date | Tue Feb 11, 2025, 08:30AM (CST) |
|---|---|
| Auction Name | IAAI |
| Selling Branch | N/A |
| Stock Number | N/A |
| Vehicle | 2016 Ford Escape S |
| VIN | 1FMCU0F79GUB79594 |
| Title | CLEAR (Michigan) |
| Primary Damage | Right Side |
| Secondary Damage | N/A |
| Odometer | 134,728 mi (Actual) |
| Key Present | Present |
| Start Code | Run & Drive |
| Drive Line Type | Front Wheel Drive |
| Cylinders | 4 Cylinders |
| Engine | 2.5L I-4 DOHC, VVT, 168HP |
| Transmission | Automatic Transmission |
| Fuel Type | Gasoline |
| Restraint System | Front impact airbag driver;Front side impact airbag driver;Overhead airbags;Front impact airbag passenger;Front side impact airbag passenger;Knee airbag |