2012 Ford F-150 PLATINUM
2012 Ford F-150 PLATINUM (VIN 1FTFW1ET7CFA11788). Photos, auction details and vehicle specs. Primary damage: Right Side. Odometer: 135,363 mi (Actual). Final bid: If Bid for $3,700.
Vehicle overview
This page shows the available auction record for 2012 Ford F-150 PLATINUM identified by VIN 1FTFW1ET7CFA11788. Auction source: IAAI • Sale date: Thu Jan 16, 2025, 08:30AM (CST). Title status reported in the record: CLEAR (Oklahoma). Reported damage: primary: Right Side, secondary: Front End. Recorded odometer entry: 135,363 mi (Actual). Recorded final bid in history: If Bid for $3,700. Photo set: 20 images (as provided by the listing source).
This 2012 Ford F-150 PLATINUM was listed via IAAI on Thu Jan 16, 2025, 08:30AM (CST). Recorded final bid: If Bid for $3,700.
Title status: CLEAR (Oklahoma). Primary damage reported: Right Side. Secondary damage: Front End.
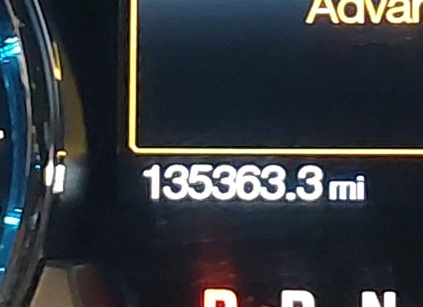
Odometer reading: 135,363 mi (Actual).
Engine: 3.5L V-6 DI, DOHC, VVT, TURBO, 365HP. Transmission: Automatic Transmission. Fuel: Gasoline. Drive: 4X4 Drive.
How to read this page
How to use this VIN page: review photos first, then compare the auction history and spec tables. Fields like damage, title, mileage, and sale date come from the underlying listing data and may be missing on some records.
If you are researching purchase, export, or rebuild decisions, treat this page as a research snapshot and validate everything with official paperwork, auction documents, and inspections. Wheelwise does not generate these attributes — we display what the source record contains.
Common reasons some values are blank: the original listing did not provide a field, the value was unreadable, or the record was imported without that attribute.

Photos and condition notes
The photo gallery contains 20 listing images for VIN 1FTFW1ET7CFA11788. Use these photos to visually confirm body style, trim badges, wheels, interior options, and visible damage areas.
Damage fields are reported as categories (“primary” / “secondary”). They help you filter listings quickly, but they do not replace a detailed inspection.
When comparing this vehicle to similar listings, focus on year, drivetrain, mileage entry, title status, and auction date — these attributes most often explain price differences.
Another sales of this vehicle

Auction History
| Auction Name | Date | Final Bid |
|---|---|---|
| IAAI | 2025-01-02 | If Bid for $3,700 |
Vehicle Specs
| Auction | IAAI |
|---|---|
| Auction date | Thu Jan 16, 2025, 08:30AM (CST) |
| Final bid | If Bid for $3,700 |
| Title | CLEAR (Oklahoma) |
|---|---|
| Primary damage | Right Side |
| Secondary damage | Front End |
| Key present | Present |
| Start code | Run & Drive |
| Drive line | 4X4 Drive |
|---|---|
| Engine | 3.5L V-6 DI, DOHC, VVT, TURBO, 365HP |
| Cylinders | 6 Cylinders |
| Transmission | Automatic Transmission |
| Fuel type | Gasoline |
| VIN | 1FTFW1ET7CFA11788 |
|---|---|
| Make | Ford |
| Model | F-150 |
| Year | 2012 |
| Trim / Package | PLATINUM |
Key takeaways
- VIN: 1FTFW1ET7CFA11788.
- Title status in this record: CLEAR (Oklahoma).
- Auction: IAAI • Date: Thu Jan 16, 2025, 08:30AM (CST).
- Recorded final bid: If Bid for $3,700.
- Primary damage: Right Side.
- Secondary damage: Front End.
- Odometer entry: 135,363 mi (Actual).
- Powertrain: engine 3.5L V-6 DI, DOHC, VVT, TURBO, 365HP, transmission Automatic Transmission.
- Photos available: 20.
- Always confirm VIN, title, and condition with official documents before purchase or export.
FAQ
What does the final bid mean?
Where do the photos come from?
Can I use this page to verify the vehicle identity?
Quick Facts
- AuctionIAAI
- Auction dateThu Jan 16, 2025, 08:30AM (CST)
- TitleCLEAR (Oklahoma)
- Primary damageRight Side
- Secondary damageFront End
- Odometer135,363 mi (Actual)
- Final bidIf Bid for $3,700
- TransmissionAutomatic Transmission
- FuelGasoline
- Drive4X4 Drive
- Engine3.5L V-6 DI, DOHC, VVT, TURBO, 365HP
- Cylinders6 Cylinders
Vehicle Information
| Auction Date | Thu Jan 16, 2025, 08:30AM (CST) |
|---|---|
| Auction Name | IAAI |
| Selling Branch | N/A |
| Stock Number | N/A |
| Vehicle | 2012 Ford F-150 PLATINUM |
| VIN | 1FTFW1ET7CFA11788 |
| Title | CLEAR (Oklahoma) |
| Primary Damage | Right Side |
| Secondary Damage | Front End |
| Odometer | 135,363 mi (Actual) |
| Key Present | Present |
| Start Code | Run & Drive |
| Drive Line Type | 4X4 Drive |
| Cylinders | 6 Cylinders |
| Engine | 3.5L V-6 DI, DOHC, VVT, TURBO, 365HP |
| Transmission | Automatic Transmission |
| Fuel Type | Gasoline |
| Restraint System | Front impact airbag driver;Front side impact airbag driver;Overhead airbags;Front impact airbag passenger;Front side impact airbag passenger |