2016 Ford F-150 LARIAT
2016 Ford F-150 LARIAT (VIN 1FTEW1EG4GFA42503). Photos, auction details and vehicle specs. Primary damage: Front End. Odometer: 136,803 mi (Actual).
Vehicle overview
This page shows the available auction record for 2016 Ford F-150 LARIAT identified by VIN 1FTEW1EG4GFA42503. Auction source: IAAI • Sale date: Thu Jan 09, 2025, 09:30AM (CST). Title status reported in the record: SALVAGE (Mississippi). Reported damage: primary: Front End, secondary: Left & Right Side. Recorded odometer entry: 136,803 mi (Actual). Photo set: 18 images (as provided by the listing source).
This 2016 Ford F-150 LARIAT was listed via IAAI on Thu Jan 09, 2025, 09:30AM (CST).
Title status: SALVAGE (Mississippi). Primary damage reported: Front End. Secondary damage: Left & Right Side.
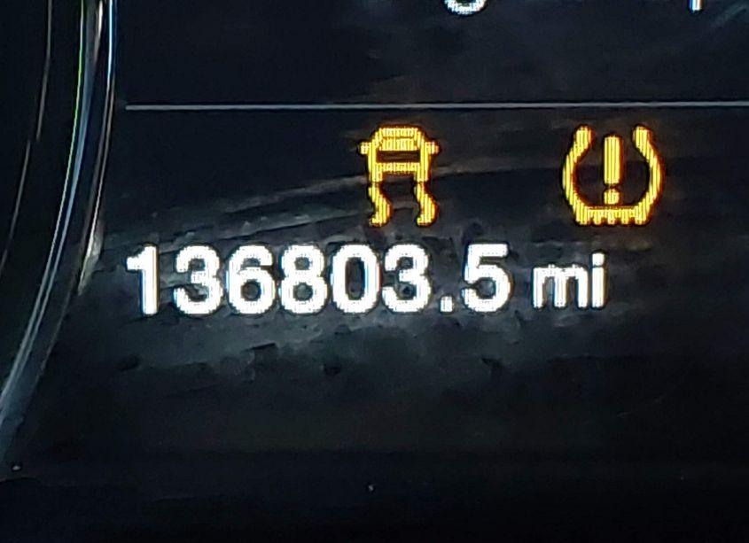
Odometer reading: 136,803 mi (Actual).
Engine: 3.5L V-6 DI, DOHC, VVT, TURBO, 365HP. Transmission: Automatic Transmission. Fuel: Gasoline. Drive: 4X4 Drive.
How to read this page
How to use this VIN page: review photos first, then compare the auction history and spec tables. Fields like damage, title, mileage, and sale date come from the underlying listing data and may be missing on some records.
If you are researching purchase, export, or rebuild decisions, treat this page as a research snapshot and validate everything with official paperwork, auction documents, and inspections. Wheelwise does not generate these attributes — we display what the source record contains.
Common reasons some values are blank: the original listing did not provide a field, the value was unreadable, or the record was imported without that attribute.

Photos and condition notes
The photo gallery contains 18 listing images for VIN 1FTEW1EG4GFA42503. Use these photos to visually confirm body style, trim badges, wheels, interior options, and visible damage areas.
Damage fields are reported as categories (“primary” / “secondary”). They help you filter listings quickly, but they do not replace a detailed inspection.
When comparing this vehicle to similar listings, focus on year, drivetrain, mileage entry, title status, and auction date — these attributes most often explain price differences.
Auction History
Vehicle Specs
| Auction | IAAI |
|---|---|
| Auction date | Thu Jan 09, 2025, 09:30AM (CST) |
| Title | SALVAGE (Mississippi) |
|---|---|
| Primary damage | Front End |
| Secondary damage | Left & Right Side |
| Key present | Present |
| Start code | Run & Drive |
| Drive line | 4X4 Drive |
|---|---|
| Engine | 3.5L V-6 DI, DOHC, VVT, TURBO, 365HP |
| Cylinders | 6 Cylinders |
| Transmission | Automatic Transmission |
| Fuel type | Gasoline |
| VIN | 1FTEW1EG4GFA42503 |
|---|---|
| Make | Ford |
| Model | F-150 |
| Year | 2016 |
| Trim / Package | LARIAT |
Key takeaways
- VIN: 1FTEW1EG4GFA42503.
- Title status in this record: SALVAGE (Mississippi).
- Auction: IAAI • Date: Thu Jan 09, 2025, 09:30AM (CST).
- Primary damage: Front End.
- Secondary damage: Left & Right Side.
- Odometer entry: 136,803 mi (Actual).
- Powertrain: engine 3.5L V-6 DI, DOHC, VVT, TURBO, 365HP, transmission Automatic Transmission.
- Photos available: 18.
- Always confirm VIN, title, and condition with official documents before purchase or export.
FAQ
What does the final bid mean?
What does a salvage title mean?
Where do the photos come from?
Can I use this page to verify the vehicle identity?
Quick Facts
- AuctionIAAI
- Auction dateThu Jan 09, 2025, 09:30AM (CST)
- TitleSALVAGE (Mississippi)
- Primary damageFront End
- Secondary damageLeft & Right Side
- Odometer136,803 mi (Actual)
- TransmissionAutomatic Transmission
- FuelGasoline
- Drive4X4 Drive
- Engine3.5L V-6 DI, DOHC, VVT, TURBO, 365HP
- Cylinders6 Cylinders
Vehicle Information
| Auction Date | Thu Jan 09, 2025, 09:30AM (CST) |
|---|---|
| Auction Name | IAAI |
| Selling Branch | N/A |
| Stock Number | N/A |
| Vehicle | 2016 Ford F-150 LARIAT |
| VIN | 1FTEW1EG4GFA42503 |
| Title | SALVAGE (Mississippi) |
| Primary Damage | Front End |
| Secondary Damage | Left & Right Side |
| Odometer | 136,803 mi (Actual) |
| Key Present | Present |
| Start Code | Run & Drive |
| Drive Line Type | 4X4 Drive |
| Cylinders | 6 Cylinders |
| Engine | 3.5L V-6 DI, DOHC, VVT, TURBO, 365HP |
| Transmission | Automatic Transmission |
| Fuel Type | Gasoline |
| Restraint System | Front impact airbag driver;Front side impact airbag driver;Overhead airbags;Front impact airbag passenger;Front side impact airbag passenger |