2016 Ford Fusion TITANIUM
2016 Ford Fusion TITANIUM (VIN 3FA6P0K91GR104692). Photos, auction details and vehicle specs. Primary damage: Normal Wear & Tear. Odometer: 304,391 mi (Actual).
Vehicle overview
This page shows the available auction record for 2016 Ford Fusion TITANIUM identified by VIN 3FA6P0K91GR104692. Auction source: IAAI • Sale date: Mon Feb 24, 2025, 08:30AM (CST). Title status reported in the record: CLEAR (Michigan). Reported damage: primary: Normal Wear & Tear. Recorded odometer entry: 304,391 mi (Actual). Photo set: 16 images (as provided by the listing source).
This 2016 Ford Fusion TITANIUM was listed via IAAI on Mon Feb 24, 2025, 08:30AM (CST).
Title status: CLEAR (Michigan). Primary damage reported: Normal Wear & Tear.
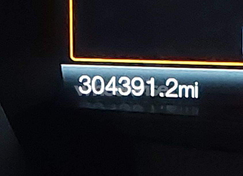
Odometer reading: 304,391 mi (Actual).
Engine: 2.0L I-4 DI, DOHC, VVT, TURBO, 231HP. Transmission: Automatic Transmission. Fuel: Gasoline. Drive: Front Wheel Drive.
How to read this page
How to use this VIN page: review photos first, then compare the auction history and spec tables. Fields like damage, title, mileage, and sale date come from the underlying listing data and may be missing on some records.
If you are researching purchase, export, or rebuild decisions, treat this page as a research snapshot and validate everything with official paperwork, auction documents, and inspections. Wheelwise does not generate these attributes — we display what the source record contains.
Common reasons some values are blank: the original listing did not provide a field, the value was unreadable, or the record was imported without that attribute.

Photos and condition notes
The photo gallery contains 16 listing images for VIN 3FA6P0K91GR104692. Use these photos to visually confirm body style, trim badges, wheels, interior options, and visible damage areas.
Damage fields are reported as categories (“primary” / “secondary”). They help you filter listings quickly, but they do not replace a detailed inspection.
When comparing this vehicle to similar listings, focus on year, drivetrain, mileage entry, title status, and auction date — these attributes most often explain price differences.
Auction History
Vehicle Specs
| Auction | IAAI |
|---|---|
| Auction date | Mon Feb 24, 2025, 08:30AM (CST) |
| Title | CLEAR (Michigan) |
|---|---|
| Primary damage | Normal Wear & Tear |
| Key present | Present |
| Start code | Run & Drive |
| Drive line | Front Wheel Drive |
|---|---|
| Engine | 2.0L I-4 DI, DOHC, VVT, TURBO, 231HP |
| Cylinders | 4 Cylinders |
| Transmission | Automatic Transmission |
| Fuel type | Gasoline |
| VIN | 3FA6P0K91GR104692 |
|---|---|
| Make | Ford |
| Model | Fusion |
| Year | 2016 |
| Trim / Package | TITANIUM |
Key takeaways
- VIN: 3FA6P0K91GR104692.
- Title status in this record: CLEAR (Michigan).
- Auction: IAAI • Date: Mon Feb 24, 2025, 08:30AM (CST).
- Primary damage: Normal Wear & Tear.
- Odometer entry: 304,391 mi (Actual).
- Powertrain: engine 2.0L I-4 DI, DOHC, VVT, TURBO, 231HP, transmission Automatic Transmission.
- Photos available: 16.
- Always confirm VIN, title, and condition with official documents before purchase or export.
FAQ
What does the final bid mean?
Where do the photos come from?
Can I use this page to verify the vehicle identity?
Quick Facts
- AuctionIAAI
- Auction dateMon Feb 24, 2025, 08:30AM (CST)
- TitleCLEAR (Michigan)
- Primary damageNormal Wear & Tear
- Odometer304,391 mi (Actual)
- TransmissionAutomatic Transmission
- FuelGasoline
- DriveFront Wheel Drive
- Engine2.0L I-4 DI, DOHC, VVT, TURBO, 231HP
- Cylinders4 Cylinders
Vehicle Information
| Auction Date | Mon Feb 24, 2025, 08:30AM (CST) |
|---|---|
| Auction Name | IAAI |
| Selling Branch | N/A |
| Stock Number | N/A |
| Vehicle | 2016 Ford Fusion TITANIUM |
| VIN | 3FA6P0K91GR104692 |
| Title | CLEAR (Michigan) |
| Primary Damage | Normal Wear & Tear |
| Secondary Damage | N/A |
| Odometer | 304,391 mi (Actual) |
| Key Present | Present |
| Start Code | Run & Drive |
| Drive Line Type | Front Wheel Drive |
| Cylinders | 4 Cylinders |
| Engine | 2.0L I-4 DI, DOHC, VVT, TURBO, 231HP |
| Transmission | Automatic Transmission |
| Fuel Type | Gasoline |
| Restraint System | Front impact airbag driver;Front side impact airbag driver;Overhead airbags;Front impact airbag passenger;Front side impact airbag passenger;Knee airbag |