2021 Ford Mustang GT PREMIUM FASTBACK
2021 Ford Mustang GT PREMIUM FASTBACK (VIN 1FA6P8CF7M5122051). Photos, auction details and vehicle specs. Primary damage: Right Side. Odometer: 45,373 mi (Actual).
Vehicle overview
This page shows the available auction record for 2021 Ford Mustang GT PREMIUM FASTBACK identified by VIN 1FA6P8CF7M5122051. Auction source: IAAI • Sale date: Mon Feb 17, 2025, 11:30AM (CST). Title status reported in the record: SALVAGE CERTIFICATE (California). Reported damage: primary: Right Side, secondary: Front End. Recorded odometer entry: 45,373 mi (Actual). Photo set: 17 images (as provided by the listing source).
This 2021 Ford Mustang GT PREMIUM FASTBACK was listed via IAAI on Mon Feb 17, 2025, 11:30AM (CST).
Title status: SALVAGE CERTIFICATE (California). Primary damage reported: Right Side. Secondary damage: Front End.
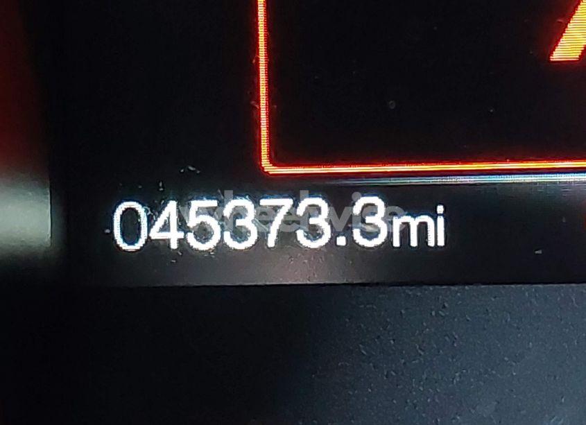
Odometer reading: 45,373 mi (Actual).
Engine: 5.0L V-8 DI, DOHC, VVT, 460HP. Transmission: Manual Transmission. Fuel: Gasoline. Drive: Rear Wheel Drive.
How to read this page
How to use this VIN page: review photos first, then compare the auction history and spec tables. Fields like damage, title, mileage, and sale date come from the underlying listing data and may be missing on some records.
If you are researching purchase, export, or rebuild decisions, treat this page as a research snapshot and validate everything with official paperwork, auction documents, and inspections. Wheelwise does not generate these attributes — we display what the source record contains.
Common reasons some values are blank: the original listing did not provide a field, the value was unreadable, or the record was imported without that attribute.

Photos and condition notes
The photo gallery contains 17 listing images for VIN 1FA6P8CF7M5122051. Use these photos to visually confirm body style, trim badges, wheels, interior options, and visible damage areas.
Damage fields are reported as categories (“primary” / “secondary”). They help you filter listings quickly, but they do not replace a detailed inspection.
When comparing this vehicle to similar listings, focus on year, drivetrain, mileage entry, title status, and auction date — these attributes most often explain price differences.
Auction History
Vehicle Specs
| Auction | IAAI |
|---|---|
| Auction date | Mon Feb 17, 2025, 11:30AM (CST) |
| Title | SALVAGE CERTIFICATE (California) |
|---|---|
| Primary damage | Right Side |
| Secondary damage | Front End |
| Key present | Present |
| Start code | Run & Drive |
| Drive line | Rear Wheel Drive |
|---|---|
| Engine | 5.0L V-8 DI, DOHC, VVT, 460HP |
| Cylinders | 8 Cylinders |
| Transmission | Manual Transmission |
| Fuel type | Gasoline |
| VIN | 1FA6P8CF7M5122051 |
|---|---|
| Make | Ford |
| Model | Mustang |
| Year | 2021 |
| Trim / Package | GT PREMIUM FASTBACK |
Key takeaways
- VIN: 1FA6P8CF7M5122051.
- Title status in this record: SALVAGE CERTIFICATE (California).
- Auction: IAAI • Date: Mon Feb 17, 2025, 11:30AM (CST).
- Primary damage: Right Side.
- Secondary damage: Front End.
- Odometer entry: 45,373 mi (Actual).
- Powertrain: engine 5.0L V-8 DI, DOHC, VVT, 460HP, transmission Manual Transmission.
- Photos available: 17.
- Always confirm VIN, title, and condition with official documents before purchase or export.
FAQ
What does the final bid mean?
What does a salvage title mean?
Where do the photos come from?
Can I use this page to verify the vehicle identity?
Quick Facts
- AuctionIAAI
- Auction dateMon Feb 17, 2025, 11:30AM (CST)
- TitleSALVAGE CERTIFICATE (California)
- Primary damageRight Side
- Secondary damageFront End
- Odometer45,373 mi (Actual)
- TransmissionManual Transmission
- FuelGasoline
- DriveRear Wheel Drive
- Engine5.0L V-8 DI, DOHC, VVT, 460HP
- Cylinders8 Cylinders
Vehicle Information
| Auction Date | Mon Feb 17, 2025, 11:30AM (CST) |
|---|---|
| Auction Name | IAAI |
| Selling Branch | N/A |
| Stock Number | N/A |
| Vehicle | 2021 Ford Mustang GT PREMIUM FASTBACK |
| VIN | 1FA6P8CF7M5122051 |
| Title | SALVAGE CERTIFICATE (California) |
| Primary Damage | Right Side |
| Secondary Damage | Front End |
| Odometer | 45,373 mi (Actual) |
| Key Present | Present |
| Start Code | Run & Drive |
| Drive Line Type | Rear Wheel Drive |
| Cylinders | 8 Cylinders |
| Engine | 5.0L V-8 DI, DOHC, VVT, 460HP |
| Transmission | Manual Transmission |
| Fuel Type | Gasoline |
| Restraint System | Front impact airbag driver;Front side impact airbag driver;Overhead airbags;Front impact airbag passenger;Front side impact airbag passenger;Knee airbag |