2014 Gmc Sierra 1500 SLE
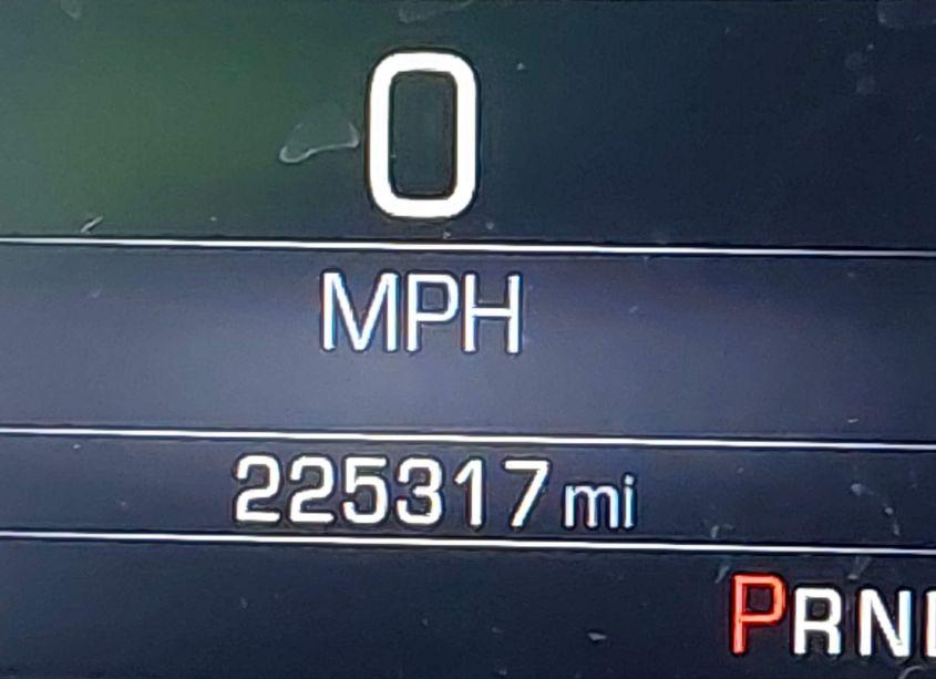
2014 Gmc Sierra 1500 SLE (VIN 1GTN1UEC7EZ232238). Photos, auction details and vehicle specs. Primary damage: Rear. Odometer: 225,317 mi (Actual).
Vehicle overview
This page shows the available auction record for 2014 Gmc Sierra 1500 SLE identified by VIN 1GTN1UEC7EZ232238. Auction source: IAAI • Sale date: Wed Jan 08, 2025, 09:30AM (CST). Title status reported in the record: SALVAGE TITLE (Texas). Reported damage: primary: Rear, secondary: Right Side. Recorded odometer entry: 225,317 mi (Actual). Photo set: 19 images (as provided by the listing source).
This 2014 Gmc Sierra 1500 SLE was listed via IAAI on Wed Jan 08, 2025, 09:30AM (CST).
Title status: SALVAGE TITLE (Texas). Primary damage reported: Rear. Secondary damage: Right Side.
Odometer reading: 225,317 mi (Actual).
Engine: 5.3L V-8 DI, VVT, 355HP. Transmission: Automatic Transmission. Fuel: Gasoline.
How to read this page
How to use this VIN page: review photos first, then compare the auction history and spec tables. Fields like damage, title, mileage, and sale date come from the underlying listing data and may be missing on some records.
If you are researching purchase, export, or rebuild decisions, treat this page as a research snapshot and validate everything with official paperwork, auction documents, and inspections. Wheelwise does not generate these attributes — we display what the source record contains.
Common reasons some values are blank: the original listing did not provide a field, the value was unreadable, or the record was imported without that attribute.

Photos and condition notes
The photo gallery contains 19 listing images for VIN 1GTN1UEC7EZ232238. Use these photos to visually confirm body style, trim badges, wheels, interior options, and visible damage areas.
Damage fields are reported as categories (“primary” / “secondary”). They help you filter listings quickly, but they do not replace a detailed inspection.
When comparing this vehicle to similar listings, focus on year, drivetrain, mileage entry, title status, and auction date — these attributes most often explain price differences.
Auction History
Vehicle Specs
| Auction | IAAI |
|---|---|
| Auction date | Wed Jan 08, 2025, 09:30AM (CST) |
| Title | SALVAGE TITLE (Texas) |
|---|---|
| Primary damage | Rear |
| Secondary damage | Right Side |
| Key present | Present |
| Start code | Run & Drive |
| Engine | 5.3L V-8 DI, VVT, 355HP |
|---|---|
| Cylinders | 8 Cylinders |
| Transmission | Automatic Transmission |
| Fuel type | Gasoline |
| VIN | 1GTN1UEC7EZ232238 |
|---|---|
| Make | Gmc |
| Model | Sierra |
| Year | 2014 |
| Trim / Package | 1500 SLE |
Key takeaways
- VIN: 1GTN1UEC7EZ232238.
- Title status in this record: SALVAGE TITLE (Texas).
- Auction: IAAI • Date: Wed Jan 08, 2025, 09:30AM (CST).
- Primary damage: Rear.
- Secondary damage: Right Side.
- Odometer entry: 225,317 mi (Actual).
- Powertrain: engine 5.3L V-8 DI, VVT, 355HP, transmission Automatic Transmission.
- Photos available: 19.
- Always confirm VIN, title, and condition with official documents before purchase or export.
FAQ
What does the final bid mean?
What does a salvage title mean?
Where do the photos come from?
Can I use this page to verify the vehicle identity?
Quick Facts
- AuctionIAAI
- Auction dateWed Jan 08, 2025, 09:30AM (CST)
- TitleSALVAGE TITLE (Texas)
- Primary damageRear
- Secondary damageRight Side
- Odometer225,317 mi (Actual)
- TransmissionAutomatic Transmission
- FuelGasoline
- Engine5.3L V-8 DI, VVT, 355HP
- Cylinders8 Cylinders
Vehicle Information
| Auction Date | Wed Jan 08, 2025, 09:30AM (CST) |
|---|---|
| Auction Name | IAAI |
| Selling Branch | N/A |
| Stock Number | N/A |
| Vehicle | 2014 Gmc Sierra 1500 SLE |
| VIN | 1GTN1UEC7EZ232238 |
| Title | SALVAGE TITLE (Texas) |
| Primary Damage | Rear |
| Secondary Damage | Right Side |
| Odometer | 225,317 mi (Actual) |
| Key Present | Present |
| Start Code | Run & Drive |
| Drive Line Type | N/A |
| Cylinders | 8 Cylinders |
| Engine | 5.3L V-8 DI, VVT, 355HP |
| Transmission | Automatic Transmission |
| Fuel Type | Gasoline |
| Restraint System | Front impact airbag driver;Front side impact airbag driver;Overhead airbags;Front impact airbag passenger;Front side impact airbag passenger |