2014 Gmc Sierra 1500 SLE
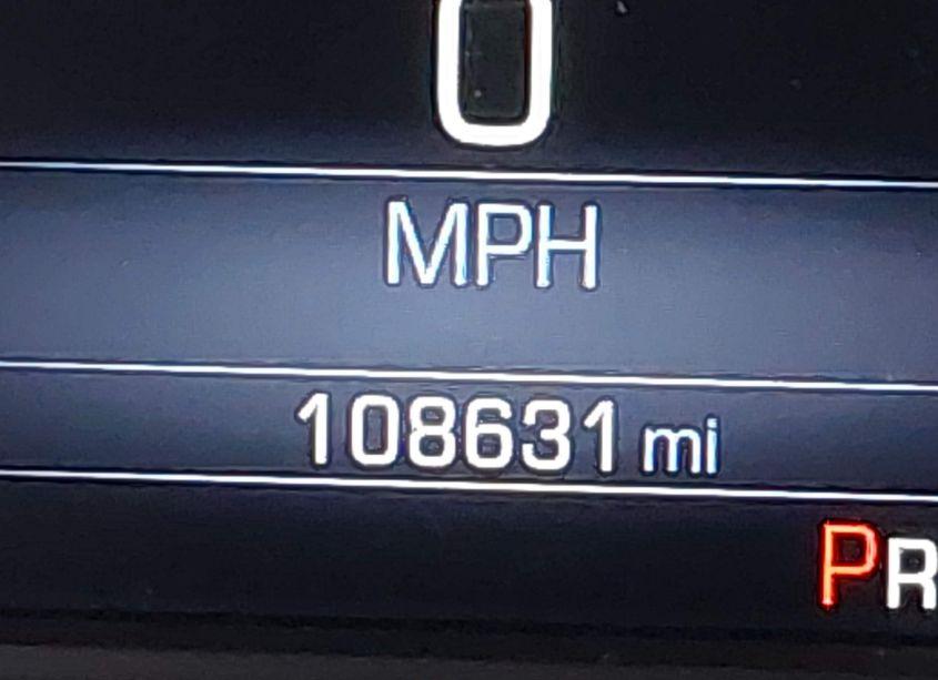
2014 Gmc Sierra 1500 SLE (VIN 3GTU2UEC9EG290201). Photos, auction details and vehicle specs. Primary damage: Right Side. Odometer: 108,631 mi (Actual).
Vehicle overview
This page shows the available auction record for 2014 Gmc Sierra 1500 SLE identified by VIN 3GTU2UEC9EG290201. Auction source: IAAI • Sale date: Tue Jan 14, 2025, 11:30AM (CST). Title status reported in the record: BILL OF SALE (Washington). Reported damage: primary: Right Side. Recorded odometer entry: 108,631 mi (Actual). Photo set: 16 images (as provided by the listing source).
This 2014 Gmc Sierra 1500 SLE was listed via IAAI on Tue Jan 14, 2025, 11:30AM (CST).
Title status: BILL OF SALE (Washington). Primary damage reported: Right Side.
Odometer reading: 108,631 mi (Actual).
Engine: 5.3L V-8 DI, VVT, 355HP. Transmission: Automatic Transmission. Fuel: Gasoline. Drive: 4X4 Drive.
How to read this page
How to use this VIN page: review photos first, then compare the auction history and spec tables. Fields like damage, title, mileage, and sale date come from the underlying listing data and may be missing on some records.
If you are researching purchase, export, or rebuild decisions, treat this page as a research snapshot and validate everything with official paperwork, auction documents, and inspections. Wheelwise does not generate these attributes — we display what the source record contains.
Common reasons some values are blank: the original listing did not provide a field, the value was unreadable, or the record was imported without that attribute.

Photos and condition notes
The photo gallery contains 16 listing images for VIN 3GTU2UEC9EG290201. Use these photos to visually confirm body style, trim badges, wheels, interior options, and visible damage areas.
Damage fields are reported as categories (“primary” / “secondary”). They help you filter listings quickly, but they do not replace a detailed inspection.
When comparing this vehicle to similar listings, focus on year, drivetrain, mileage entry, title status, and auction date — these attributes most often explain price differences.
Auction History
Vehicle Specs
| Auction | IAAI |
|---|---|
| Auction date | Tue Jan 14, 2025, 11:30AM (CST) |
| Title | BILL OF SALE (Washington) |
|---|---|
| Primary damage | Right Side |
| Key present | Present |
| Start code | Run & Drive |
| Drive line | 4X4 Drive |
|---|---|
| Engine | 5.3L V-8 DI, VVT, 355HP |
| Cylinders | 8 Cylinders |
| Transmission | Automatic Transmission |
| Fuel type | Gasoline |
| VIN | 3GTU2UEC9EG290201 |
|---|---|
| Make | Gmc |
| Model | Sierra |
| Year | 2014 |
| Trim / Package | 1500 SLE |
Key takeaways
- VIN: 3GTU2UEC9EG290201.
- Title status in this record: BILL OF SALE (Washington).
- Auction: IAAI • Date: Tue Jan 14, 2025, 11:30AM (CST).
- Primary damage: Right Side.
- Odometer entry: 108,631 mi (Actual).
- Powertrain: engine 5.3L V-8 DI, VVT, 355HP, transmission Automatic Transmission.
- Photos available: 16.
- Always confirm VIN, title, and condition with official documents before purchase or export.
FAQ
What does the final bid mean?
Where do the photos come from?
Can I use this page to verify the vehicle identity?
Quick Facts
- AuctionIAAI
- Auction dateTue Jan 14, 2025, 11:30AM (CST)
- TitleBILL OF SALE (Washington)
- Primary damageRight Side
- Odometer108,631 mi (Actual)
- TransmissionAutomatic Transmission
- FuelGasoline
- Drive4X4 Drive
- Engine5.3L V-8 DI, VVT, 355HP
- Cylinders8 Cylinders
Vehicle Information
| Auction Date | Tue Jan 14, 2025, 11:30AM (CST) |
|---|---|
| Auction Name | IAAI |
| Selling Branch | N/A |
| Stock Number | N/A |
| Vehicle | 2014 Gmc Sierra 1500 SLE |
| VIN | 3GTU2UEC9EG290201 |
| Title | BILL OF SALE (Washington) |
| Primary Damage | Right Side |
| Secondary Damage | N/A |
| Odometer | 108,631 mi (Actual) |
| Key Present | Present |
| Start Code | Run & Drive |
| Drive Line Type | 4X4 Drive |
| Cylinders | 8 Cylinders |
| Engine | 5.3L V-8 DI, VVT, 355HP |
| Transmission | Automatic Transmission |
| Fuel Type | Gasoline |
| Restraint System | Front impact airbag driver;Front side impact airbag driver;Overhead airbags;Front impact airbag passenger;Front side impact airbag passenger |