2015 Gmc Sierra 1500 SLT
2015 Gmc Sierra 1500 SLT (VIN 3GTU2VEC6FG335960). Photos, auction details and vehicle specs. Primary damage: Left & Right Side. Odometer: 156,984 mi (Actual).
Vehicle overview
This page shows the available auction record for 2015 Gmc Sierra 1500 SLT identified by VIN 3GTU2VEC6FG335960. Auction source: IAAI • Sale date: Wed Feb 05, 2025, 09:30AM (CST). Title status reported in the record: SALVAGE (Mississippi). Reported damage: primary: Left & Right Side. Recorded odometer entry: 156,984 mi (Actual). Photo set: 17 images (as provided by the listing source).
This 2015 Gmc Sierra 1500 SLT was listed via IAAI on Wed Feb 05, 2025, 09:30AM (CST).
Title status: SALVAGE (Mississippi). Primary damage reported: Left & Right Side.
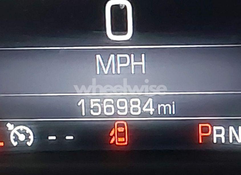
Odometer reading: 156,984 mi (Actual).
Engine: 5.3L V-8 DI, VVT, 355HP. Transmission: Automatic Transmission. Fuel: Gasoline. Drive: 4X4 Drive.
How to read this page
How to use this VIN page: review photos first, then compare the auction history and spec tables. Fields like damage, title, mileage, and sale date come from the underlying listing data and may be missing on some records.
If you are researching purchase, export, or rebuild decisions, treat this page as a research snapshot and validate everything with official paperwork, auction documents, and inspections. Wheelwise does not generate these attributes — we display what the source record contains.
Common reasons some values are blank: the original listing did not provide a field, the value was unreadable, or the record was imported without that attribute.

Photos and condition notes
The photo gallery contains 17 listing images for VIN 3GTU2VEC6FG335960. Use these photos to visually confirm body style, trim badges, wheels, interior options, and visible damage areas.
Damage fields are reported as categories (“primary” / “secondary”). They help you filter listings quickly, but they do not replace a detailed inspection.
When comparing this vehicle to similar listings, focus on year, drivetrain, mileage entry, title status, and auction date — these attributes most often explain price differences.
Auction History
Vehicle Specs
| Auction | IAAI |
|---|---|
| Auction date | Wed Feb 05, 2025, 09:30AM (CST) |
| Title | SALVAGE (Mississippi) |
|---|---|
| Primary damage | Left & Right Side |
| Key present | Present |
| Start code | Run & Drive |
| Drive line | 4X4 Drive |
|---|---|
| Engine | 5.3L V-8 DI, VVT, 355HP |
| Cylinders | 8 Cylinders |
| Transmission | Automatic Transmission |
| Fuel type | Gasoline |
| VIN | 3GTU2VEC6FG335960 |
|---|---|
| Make | Gmc |
| Model | Sierra |
| Year | 2015 |
| Trim / Package | 1500 SLT |
Key takeaways
- VIN: 3GTU2VEC6FG335960.
- Title status in this record: SALVAGE (Mississippi).
- Auction: IAAI • Date: Wed Feb 05, 2025, 09:30AM (CST).
- Primary damage: Left & Right Side.
- Odometer entry: 156,984 mi (Actual).
- Powertrain: engine 5.3L V-8 DI, VVT, 355HP, transmission Automatic Transmission.
- Photos available: 17.
- Always confirm VIN, title, and condition with official documents before purchase or export.
FAQ
What does the final bid mean?
What does a salvage title mean?
Where do the photos come from?
Can I use this page to verify the vehicle identity?
Quick Facts
- AuctionIAAI
- Auction dateWed Feb 05, 2025, 09:30AM (CST)
- TitleSALVAGE (Mississippi)
- Primary damageLeft & Right Side
- Odometer156,984 mi (Actual)
- TransmissionAutomatic Transmission
- FuelGasoline
- Drive4X4 Drive
- Engine5.3L V-8 DI, VVT, 355HP
- Cylinders8 Cylinders
Vehicle Information
| Auction Date | Wed Feb 05, 2025, 09:30AM (CST) |
|---|---|
| Auction Name | IAAI |
| Selling Branch | N/A |
| Stock Number | N/A |
| Vehicle | 2015 Gmc Sierra 1500 SLT |
| VIN | 3GTU2VEC6FG335960 |
| Title | SALVAGE (Mississippi) |
| Primary Damage | Left & Right Side |
| Secondary Damage | N/A |
| Odometer | 156,984 mi (Actual) |
| Key Present | Present |
| Start Code | Run & Drive |
| Drive Line Type | 4X4 Drive |
| Cylinders | 8 Cylinders |
| Engine | 5.3L V-8 DI, VVT, 355HP |
| Transmission | Automatic Transmission |
| Fuel Type | Gasoline |
| Restraint System | Front impact airbag driver;Front side impact airbag driver;Overhead airbags;Front impact airbag passenger;Front side impact airbag passenger |