2015 Gmc Terrain SLT-1
2015 Gmc Terrain SLT-1 (VIN 2GKFLXE36F6287233). Photos, auction details and vehicle specs. Primary damage: Front End. Odometer: 113,959 mi (Actual). Final bid: Buy Now: $1,400.
Vehicle overview
This page shows the available auction record for 2015 Gmc Terrain SLT-1 identified by VIN 2GKFLXE36F6287233. Auction source: IAAI • Sale date: Tue Mar 18, 8:30am (CDT). Title status reported in the record: MV-907A (New York). Reported damage: primary: Front End. Recorded odometer entry: 113,959 mi (Actual). Recorded final bid in history: Buy Now: $1,400. Photo set: 16 images (as provided by the listing source).
This 2015 Gmc Terrain SLT-1 was listed via IAAI on Tue Mar 18, 8:30am (CDT). Recorded final bid: Buy Now: $1,400.
Title status: MV-907A (New York). Primary damage reported: Front End.
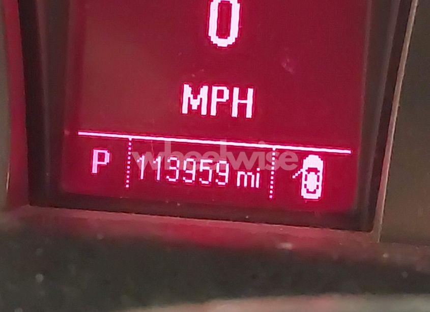
Odometer reading: 113,959 mi (Actual).
Engine: 3.6L V-6 DI, DOHC, VVT, 301HP. Transmission: Automatic Transmission. Fuel: Gasoline. Drive: All Wheel Drive.
How to read this page
How to use this VIN page: review photos first, then compare the auction history and spec tables. Fields like damage, title, mileage, and sale date come from the underlying listing data and may be missing on some records.
If you are researching purchase, export, or rebuild decisions, treat this page as a research snapshot and validate everything with official paperwork, auction documents, and inspections. Wheelwise does not generate these attributes — we display what the source record contains.
Common reasons some values are blank: the original listing did not provide a field, the value was unreadable, or the record was imported without that attribute.

Photos and condition notes
The photo gallery contains 16 listing images for VIN 2GKFLXE36F6287233. Use these photos to visually confirm body style, trim badges, wheels, interior options, and visible damage areas.
Damage fields are reported as categories (“primary” / “secondary”). They help you filter listings quickly, but they do not replace a detailed inspection.
When comparing this vehicle to similar listings, focus on year, drivetrain, mileage entry, title status, and auction date — these attributes most often explain price differences.
Another sales of this vehicle

Auction History
| Auction Name | Date | Final Bid |
|---|---|---|
| IAAI | Tue Mar 18, 8:30am (CDT) | Buy Now: $1,400 |
Vehicle Specs
| Auction | IAAI |
|---|---|
| Auction date | Tue Mar 18, 8:30am (CDT) |
| Final bid | Buy Now: $1,400 |
| Title | MV-907A (New York) |
|---|---|
| Primary damage | Front End |
| Key present | Present |
| Start code | Run & Drive |
| Drive line | All Wheel Drive |
|---|---|
| Engine | 3.6L V-6 DI, DOHC, VVT, 301HP |
| Cylinders | 6 Cylinders |
| Transmission | Automatic Transmission |
| Fuel type | Gasoline |
| VIN | 2GKFLXE36F6287233 |
|---|---|
| Make | Gmc |
| Model | Terrain |
| Year | 2015 |
| Trim / Package | SLT-1 |
Key takeaways
- VIN: 2GKFLXE36F6287233.
- Title status in this record: MV-907A (New York).
- Auction: IAAI • Date: Tue Mar 18, 8:30am (CDT).
- Recorded final bid: Buy Now: $1,400.
- Primary damage: Front End.
- Odometer entry: 113,959 mi (Actual).
- Powertrain: engine 3.6L V-6 DI, DOHC, VVT, 301HP, transmission Automatic Transmission.
- Photos available: 16.
- Always confirm VIN, title, and condition with official documents before purchase or export.
FAQ
What does the final bid mean?
Where do the photos come from?
Can I use this page to verify the vehicle identity?
Quick Facts
- AuctionIAAI
- Auction dateTue Mar 18, 8:30am (CDT)
- TitleMV-907A (New York)
- Primary damageFront End
- Odometer113,959 mi (Actual)
- Final bidBuy Now: $1,400
- TransmissionAutomatic Transmission
- FuelGasoline
- DriveAll Wheel Drive
- Engine3.6L V-6 DI, DOHC, VVT, 301HP
- Cylinders6 Cylinders
Vehicle Information
| Auction Date | Tue Mar 18, 8:30am (CDT) |
|---|---|
| Auction Name | IAAI |
| Selling Branch | N/A |
| Stock Number | N/A |
| Vehicle | 2015 Gmc Terrain SLT-1 |
| VIN | 2GKFLXE36F6287233 |
| Title | MV-907A (New York) |
| Primary Damage | Front End |
| Secondary Damage | N/A |
| Odometer | 113,959 mi (Actual) |
| Key Present | Present |
| Start Code | Run & Drive |
| Drive Line Type | All Wheel Drive |
| Cylinders | 6 Cylinders |
| Engine | 3.6L V-6 DI, DOHC, VVT, 301HP |
| Transmission | Automatic Transmission |
| Fuel Type | Gasoline |
| Restraint System | Front impact airbag driver;Front side impact airbag driver;Overhead airbags;Front impact airbag passenger;Front side impact airbag passenger |