2015 Gmc Yukon XL 1500 DENALI
2015 Gmc Yukon XL 1500 DENALI (VIN 1GKS1JKJ0FR184611). Photos, auction details and vehicle specs. Primary damage: Front End. Odometer: 146,232 mi (Actual).
Vehicle overview
This page shows the available auction record for 2015 Gmc Yukon XL 1500 DENALI identified by VIN 1GKS1JKJ0FR184611. Auction source: IAAI • Sale date: Wed Jan 15, 2025, 09:30AM (CST). Title status reported in the record: SALVAGE TITLE (Texas). Reported damage: primary: Front End. Recorded odometer entry: 146,232 mi (Actual). Photo set: 16 images (as provided by the listing source).
This 2015 Gmc Yukon XL 1500 DENALI was listed via IAAI on Wed Jan 15, 2025, 09:30AM (CST).
Title status: SALVAGE TITLE (Texas). Primary damage reported: Front End.
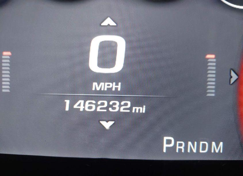
Odometer reading: 146,232 mi (Actual).
Engine: 6.2L V-8 DI, VVT, 420HP. Transmission: Automatic Transmission. Fuel: Gasoline.
How to read this page
How to use this VIN page: review photos first, then compare the auction history and spec tables. Fields like damage, title, mileage, and sale date come from the underlying listing data and may be missing on some records.
If you are researching purchase, export, or rebuild decisions, treat this page as a research snapshot and validate everything with official paperwork, auction documents, and inspections. Wheelwise does not generate these attributes — we display what the source record contains.
Common reasons some values are blank: the original listing did not provide a field, the value was unreadable, or the record was imported without that attribute.

Photos and condition notes
The photo gallery contains 16 listing images for VIN 1GKS1JKJ0FR184611. Use these photos to visually confirm body style, trim badges, wheels, interior options, and visible damage areas.
Damage fields are reported as categories (“primary” / “secondary”). They help you filter listings quickly, but they do not replace a detailed inspection.
When comparing this vehicle to similar listings, focus on year, drivetrain, mileage entry, title status, and auction date — these attributes most often explain price differences.
Auction History
Vehicle Specs
| Auction | IAAI |
|---|---|
| Auction date | Wed Jan 15, 2025, 09:30AM (CST) |
| Title | SALVAGE TITLE (Texas) |
|---|---|
| Primary damage | Front End |
| Key present | Present |
| Start code | Run & Drive |
| Engine | 6.2L V-8 DI, VVT, 420HP |
|---|---|
| Cylinders | 8 Cylinders |
| Transmission | Automatic Transmission |
| Fuel type | Gasoline |
| VIN | 1GKS1JKJ0FR184611 |
|---|---|
| Make | Gmc |
| Model | Yukon |
| Year | 2015 |
| Trim / Package | XL 1500 DENALI |
Key takeaways
- VIN: 1GKS1JKJ0FR184611.
- Title status in this record: SALVAGE TITLE (Texas).
- Auction: IAAI • Date: Wed Jan 15, 2025, 09:30AM (CST).
- Primary damage: Front End.
- Odometer entry: 146,232 mi (Actual).
- Powertrain: engine 6.2L V-8 DI, VVT, 420HP, transmission Automatic Transmission.
- Photos available: 16.
- Always confirm VIN, title, and condition with official documents before purchase or export.
FAQ
What does the final bid mean?
What does a salvage title mean?
Where do the photos come from?
Can I use this page to verify the vehicle identity?
Quick Facts
- AuctionIAAI
- Auction dateWed Jan 15, 2025, 09:30AM (CST)
- TitleSALVAGE TITLE (Texas)
- Primary damageFront End
- Odometer146,232 mi (Actual)
- TransmissionAutomatic Transmission
- FuelGasoline
- Engine6.2L V-8 DI, VVT, 420HP
- Cylinders8 Cylinders
Vehicle Information
| Auction Date | Wed Jan 15, 2025, 09:30AM (CST) |
|---|---|
| Auction Name | IAAI |
| Selling Branch | N/A |
| Stock Number | N/A |
| Vehicle | 2015 Gmc Yukon XL 1500 DENALI |
| VIN | 1GKS1JKJ0FR184611 |
| Title | SALVAGE TITLE (Texas) |
| Primary Damage | Front End |
| Secondary Damage | N/A |
| Odometer | 146,232 mi (Actual) |
| Key Present | Present |
| Start Code | Run & Drive |
| Drive Line Type | N/A |
| Cylinders | 8 Cylinders |
| Engine | 6.2L V-8 DI, VVT, 420HP |
| Transmission | Automatic Transmission |
| Fuel Type | Gasoline |
| Restraint System | Front impact airbag driver;Front side impact airbag driver;Overhead airbags;Front impact airbag passenger;Front side impact airbag passenger;Center airbag front |