2019 Gmc Yukon DENALI
2019 Gmc Yukon DENALI (VIN 1GKS2CKJXKR302229). Photos, auction details and vehicle specs. Primary damage: Left Front. Odometer: 79,094 mi (Actual).
Vehicle overview
This page shows the available auction record for 2019 Gmc Yukon DENALI identified by VIN 1GKS2CKJXKR302229. Auction source: IAAI • Sale date: Tue May 27, 9:30am (CDT). Title status reported in the record: SALVAGE TITLE (Texas). Reported damage: primary: Left Front. Recorded odometer entry: 79,094 mi (Actual). Photo set: 19 images (as provided by the listing source).
This 2019 Gmc Yukon DENALI was listed via IAAI on Tue May 27, 9:30am (CDT).
Title status: SALVAGE TITLE (Texas). Primary damage reported: Left Front.
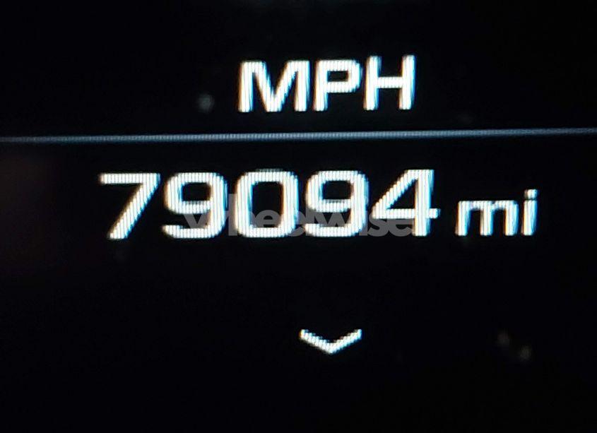
Odometer reading: 79,094 mi (Actual).
Engine: 6.2L V-8 DI, VVT, 420HP. Transmission: Automatic Transmission. Fuel: Gasoline. Drive: 4X4 Drive.
How to read this page
How to use this VIN page: review photos first, then compare the auction history and spec tables. Fields like damage, title, mileage, and sale date come from the underlying listing data and may be missing on some records.
If you are researching purchase, export, or rebuild decisions, treat this page as a research snapshot and validate everything with official paperwork, auction documents, and inspections. Wheelwise does not generate these attributes — we display what the source record contains.
Common reasons some values are blank: the original listing did not provide a field, the value was unreadable, or the record was imported without that attribute.

Photos and condition notes
The photo gallery contains 19 listing images for VIN 1GKS2CKJXKR302229. Use these photos to visually confirm body style, trim badges, wheels, interior options, and visible damage areas.
Damage fields are reported as categories (“primary” / “secondary”). They help you filter listings quickly, but they do not replace a detailed inspection.
When comparing this vehicle to similar listings, focus on year, drivetrain, mileage entry, title status, and auction date — these attributes most often explain price differences.
Auction History
Vehicle Specs
| Auction | IAAI |
|---|---|
| Auction date | Tue May 27, 9:30am (CDT) |
| Title | SALVAGE TITLE (Texas) |
|---|---|
| Primary damage | Left Front |
| Key present | Present |
| Start code | Run & Drive |
| Drive line | 4X4 Drive |
|---|---|
| Engine | 6.2L V-8 DI, VVT, 420HP |
| Cylinders | 8 Cylinders |
| Transmission | Automatic Transmission |
| Fuel type | Gasoline |
| VIN | 1GKS2CKJXKR302229 |
|---|---|
| Make | Gmc |
| Model | Yukon |
| Year | 2019 |
| Trim / Package | DENALI |
Key takeaways
- VIN: 1GKS2CKJXKR302229.
- Title status in this record: SALVAGE TITLE (Texas).
- Auction: IAAI • Date: Tue May 27, 9:30am (CDT).
- Primary damage: Left Front.
- Odometer entry: 79,094 mi (Actual).
- Powertrain: engine 6.2L V-8 DI, VVT, 420HP, transmission Automatic Transmission.
- Photos available: 19.
- Always confirm VIN, title, and condition with official documents before purchase or export.
FAQ
What does the final bid mean?
What does a salvage title mean?
Where do the photos come from?
Can I use this page to verify the vehicle identity?
Quick Facts
- AuctionIAAI
- Auction dateTue May 27, 9:30am (CDT)
- TitleSALVAGE TITLE (Texas)
- Primary damageLeft Front
- Odometer79,094 mi (Actual)
- TransmissionAutomatic Transmission
- FuelGasoline
- Drive4X4 Drive
- Engine6.2L V-8 DI, VVT, 420HP
- Cylinders8 Cylinders
Vehicle Information
| Auction Date | Tue May 27, 9:30am (CDT) |
|---|---|
| Auction Name | IAAI |
| Selling Branch | N/A |
| Stock Number | N/A |
| Vehicle | 2019 Gmc Yukon DENALI |
| VIN | 1GKS2CKJXKR302229 |
| Title | SALVAGE TITLE (Texas) |
| Primary Damage | Left Front |
| Secondary Damage | N/A |
| Odometer | 79,094 mi (Actual) |
| Key Present | Present |
| Start Code | Run & Drive |
| Drive Line Type | 4X4 Drive |
| Cylinders | 8 Cylinders |
| Engine | 6.2L V-8 DI, VVT, 420HP |
| Transmission | Automatic Transmission |
| Fuel Type | Gasoline |
| Restraint System | Front impact airbag driver;Front side impact airbag driver;Overhead airbags;Front impact airbag passenger;Front side impact airbag passenger;Center airbag front |