2024 Honda Accord EX
2024 Honda Accord EX (VIN 1HGCY1F33RA000192). Photos, auction details and vehicle specs. Primary damage: Right Side. Odometer: 20,479 mi (Not Actual).
Vehicle overview
This page shows the available auction record for 2024 Honda Accord EX identified by VIN 1HGCY1F33RA000192. Auction source: IAAI • Sale date: Thu Feb 27, 2025, 08:30AM (CST). Title status reported in the record: REBUILDABLE (Florida). Reported damage: primary: Right Side, secondary: Left Side. Recorded odometer entry: 20,479 mi (Not Actual). Photo set: 16 images (as provided by the listing source).
This 2024 Honda Accord EX was listed via IAAI on Thu Feb 27, 2025, 08:30AM (CST).
Title status: REBUILDABLE (Florida). Primary damage reported: Right Side. Secondary damage: Left Side.
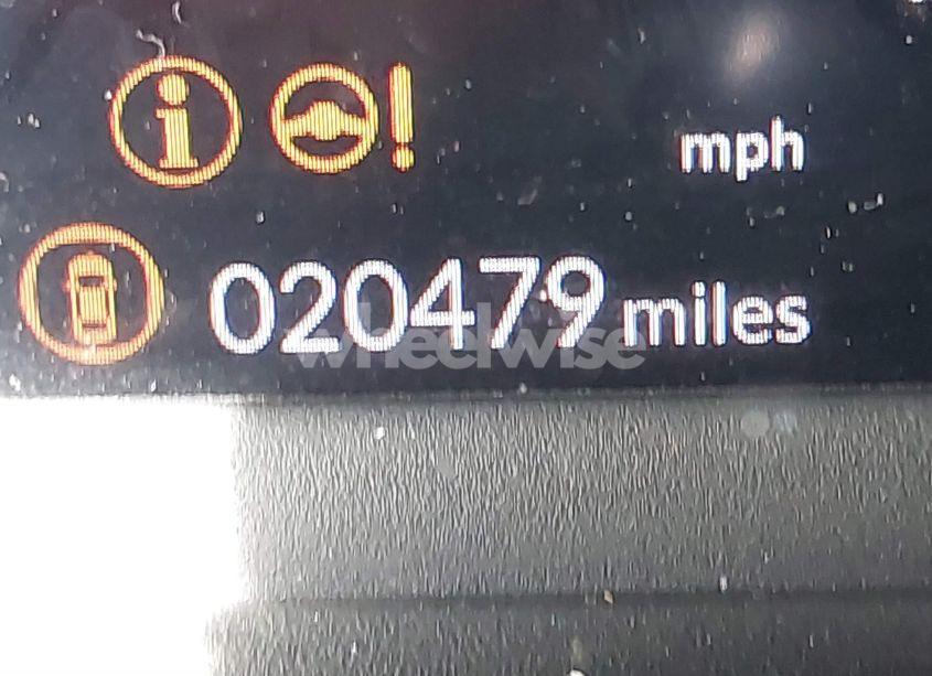
Odometer reading: 20,479 mi (Not Actual).
Engine: 1.5L I-4 DI, DOHC, VVT, TURBO, 192HP. Transmission: Automatic Transmission. Fuel: Gasoline. Drive: Front Wheel Drive.
How to read this page
How to use this VIN page: review photos first, then compare the auction history and spec tables. Fields like damage, title, mileage, and sale date come from the underlying listing data and may be missing on some records.
If you are researching purchase, export, or rebuild decisions, treat this page as a research snapshot and validate everything with official paperwork, auction documents, and inspections. Wheelwise does not generate these attributes — we display what the source record contains.
Common reasons some values are blank: the original listing did not provide a field, the value was unreadable, or the record was imported without that attribute.

Photos and condition notes
The photo gallery contains 16 listing images for VIN 1HGCY1F33RA000192. Use these photos to visually confirm body style, trim badges, wheels, interior options, and visible damage areas.
Damage fields are reported as categories (“primary” / “secondary”). They help you filter listings quickly, but they do not replace a detailed inspection.
When comparing this vehicle to similar listings, focus on year, drivetrain, mileage entry, title status, and auction date — these attributes most often explain price differences.
Auction History
Vehicle Specs
| Auction | IAAI |
|---|---|
| Auction date | Thu Feb 27, 2025, 08:30AM (CST) |
| Title | REBUILDABLE (Florida) |
|---|---|
| Primary damage | Right Side |
| Secondary damage | Left Side |
| Key present | Present |
| Start code | Run & Drive |
| Drive line | Front Wheel Drive |
|---|---|
| Engine | 1.5L I-4 DI, DOHC, VVT, TURBO, 192HP |
| Cylinders | 4 Cylinders |
| Transmission | Automatic Transmission |
| Fuel type | Gasoline |
| VIN | 1HGCY1F33RA000192 |
|---|---|
| Make | Honda |
| Model | Accord |
| Year | 2024 |
| Trim / Package | EX |
Key takeaways
- VIN: 1HGCY1F33RA000192.
- Title status in this record: REBUILDABLE (Florida).
- Auction: IAAI • Date: Thu Feb 27, 2025, 08:30AM (CST).
- Primary damage: Right Side.
- Secondary damage: Left Side.
- Odometer entry: 20,479 mi (Not Actual).
- Powertrain: engine 1.5L I-4 DI, DOHC, VVT, TURBO, 192HP, transmission Automatic Transmission.
- Photos available: 16.
- Always confirm VIN, title, and condition with official documents before purchase or export.
FAQ
What does the final bid mean?
Why does the odometer say “NOT ACTUAL”?
Where do the photos come from?
Can I use this page to verify the vehicle identity?
Quick Facts
- AuctionIAAI
- Auction dateThu Feb 27, 2025, 08:30AM (CST)
- TitleREBUILDABLE (Florida)
- Primary damageRight Side
- Secondary damageLeft Side
- Odometer20,479 mi (Not Actual)
- TransmissionAutomatic Transmission
- FuelGasoline
- DriveFront Wheel Drive
- Engine1.5L I-4 DI, DOHC, VVT, TURBO, 192HP
- Cylinders4 Cylinders
Vehicle Information
| Auction Date | Thu Feb 27, 2025, 08:30AM (CST) |
|---|---|
| Auction Name | IAAI |
| Selling Branch | N/A |
| Stock Number | N/A |
| Vehicle | 2024 Honda Accord EX |
| VIN | 1HGCY1F33RA000192 |
| Title | REBUILDABLE (Florida) |
| Primary Damage | Right Side |
| Secondary Damage | Left Side |
| Odometer | 20,479 mi (Not Actual) |
| Key Present | Present |
| Start Code | Run & Drive |
| Drive Line Type | Front Wheel Drive |
| Cylinders | 4 Cylinders |
| Engine | 1.5L I-4 DI, DOHC, VVT, TURBO, 192HP |
| Transmission | Automatic Transmission |
| Fuel Type | Gasoline |
| Restraint System | Front impact airbag driver;Front side impact airbag driver;Overhead airbags;Front impact airbag passenger;Front side impact airbag passenger;Knee airbag;Rear side impact airbag |