2018 Honda Pilot EX
2018 Honda Pilot EX (VIN 5FNYF6H3XJB036638). Photos, auction details and vehicle specs. Primary damage: Front & Rear. Odometer: 105,239 mi (Actual).
Vehicle overview
This page shows the available auction record for 2018 Honda Pilot EX identified by VIN 5FNYF6H3XJB036638. Auction source: IAAI • Sale date: Wed Jan 15, 2025, 11:30AM (CST). Title status reported in the record: BILL OF SALE (Washington). Reported damage: primary: Front & Rear, secondary: Left Side. Recorded odometer entry: 105,239 mi (Actual). Photo set: 17 images (as provided by the listing source).
This 2018 Honda Pilot EX was listed via IAAI on Wed Jan 15, 2025, 11:30AM (CST).
Title status: BILL OF SALE (Washington). Primary damage reported: Front & Rear. Secondary damage: Left Side.
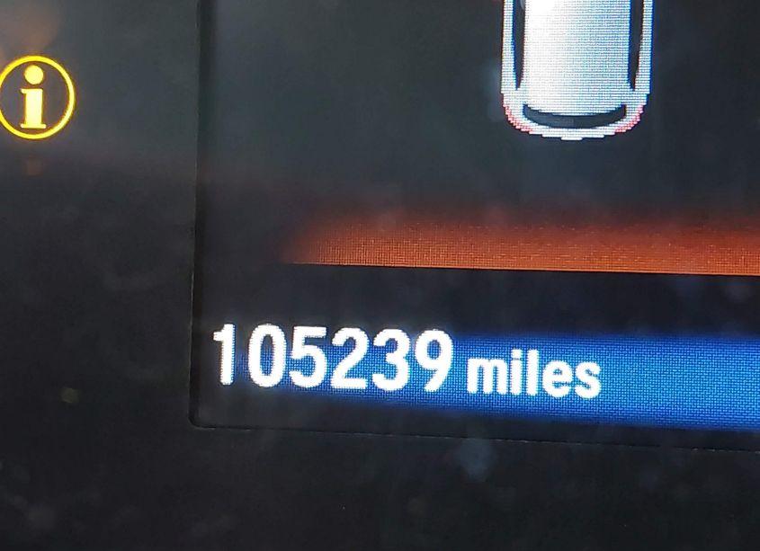
Odometer reading: 105,239 mi (Actual).
Engine: 3.5L V-6 DI, VVT, 280HP. Transmission: Automatic Transmission. Fuel: Gasoline. Drive: All Wheel Drive.
How to read this page
How to use this VIN page: review photos first, then compare the auction history and spec tables. Fields like damage, title, mileage, and sale date come from the underlying listing data and may be missing on some records.
If you are researching purchase, export, or rebuild decisions, treat this page as a research snapshot and validate everything with official paperwork, auction documents, and inspections. Wheelwise does not generate these attributes — we display what the source record contains.
Common reasons some values are blank: the original listing did not provide a field, the value was unreadable, or the record was imported without that attribute.

Photos and condition notes
The photo gallery contains 17 listing images for VIN 5FNYF6H3XJB036638. Use these photos to visually confirm body style, trim badges, wheels, interior options, and visible damage areas.
Damage fields are reported as categories (“primary” / “secondary”). They help you filter listings quickly, but they do not replace a detailed inspection.
When comparing this vehicle to similar listings, focus on year, drivetrain, mileage entry, title status, and auction date — these attributes most often explain price differences.
Auction History
Vehicle Specs
| Auction | IAAI |
|---|---|
| Auction date | Wed Jan 15, 2025, 11:30AM (CST) |
| Title | BILL OF SALE (Washington) |
|---|---|
| Primary damage | Front & Rear |
| Secondary damage | Left Side |
| Key present | Present |
| Start code | Run & Drive |
| Drive line | All Wheel Drive |
|---|---|
| Engine | 3.5L V-6 DI, VVT, 280HP |
| Cylinders | 6 Cylinders |
| Transmission | Automatic Transmission |
| Fuel type | Gasoline |
| VIN | 5FNYF6H3XJB036638 |
|---|---|
| Make | Honda |
| Model | Pilot |
| Year | 2018 |
| Trim / Package | EX |
Key takeaways
- VIN: 5FNYF6H3XJB036638.
- Title status in this record: BILL OF SALE (Washington).
- Auction: IAAI • Date: Wed Jan 15, 2025, 11:30AM (CST).
- Primary damage: Front & Rear.
- Secondary damage: Left Side.
- Odometer entry: 105,239 mi (Actual).
- Powertrain: engine 3.5L V-6 DI, VVT, 280HP, transmission Automatic Transmission.
- Photos available: 17.
- Always confirm VIN, title, and condition with official documents before purchase or export.
FAQ
What does the final bid mean?
Where do the photos come from?
Can I use this page to verify the vehicle identity?
Quick Facts
- AuctionIAAI
- Auction dateWed Jan 15, 2025, 11:30AM (CST)
- TitleBILL OF SALE (Washington)
- Primary damageFront & Rear
- Secondary damageLeft Side
- Odometer105,239 mi (Actual)
- TransmissionAutomatic Transmission
- FuelGasoline
- DriveAll Wheel Drive
- Engine3.5L V-6 DI, VVT, 280HP
- Cylinders6 Cylinders
Vehicle Information
| Auction Date | Wed Jan 15, 2025, 11:30AM (CST) |
|---|---|
| Auction Name | IAAI |
| Selling Branch | N/A |
| Stock Number | N/A |
| Vehicle | 2018 Honda Pilot EX |
| VIN | 5FNYF6H3XJB036638 |
| Title | BILL OF SALE (Washington) |
| Primary Damage | Front & Rear |
| Secondary Damage | Left Side |
| Odometer | 105,239 mi (Actual) |
| Key Present | Present |
| Start Code | Run & Drive |
| Drive Line Type | All Wheel Drive |
| Cylinders | 6 Cylinders |
| Engine | 3.5L V-6 DI, VVT, 280HP |
| Transmission | Automatic Transmission |
| Fuel Type | Gasoline |
| Restraint System | Front impact airbag driver;Front side impact airbag driver;Overhead airbags;Front impact airbag passenger;Front side impact airbag passenger |