2017 Hyundai Santa FE SPORT 2.0T
2017 Hyundai Santa FE SPORT 2.0T (VIN 5NMZU4LA1HH046665). Photos, auction details and vehicle specs. Primary damage: Left Side. Odometer: 123,654 mi (Actual).
Vehicle overview
This page shows the available auction record for 2017 Hyundai Santa FE SPORT 2.0T identified by VIN 5NMZU4LA1HH046665. Auction source: IAAI • Sale date: Mon Jan 13, 2025, 08:30AM (CST). Title status reported in the record: SALVAGE (Ohio). Reported damage: primary: Left Side. Recorded odometer entry: 123,654 mi (Actual). Photo set: 17 images (as provided by the listing source).
This 2017 Hyundai Santa FE SPORT 2.0T was listed via IAAI on Mon Jan 13, 2025, 08:30AM (CST).
Title status: SALVAGE (Ohio). Primary damage reported: Left Side.
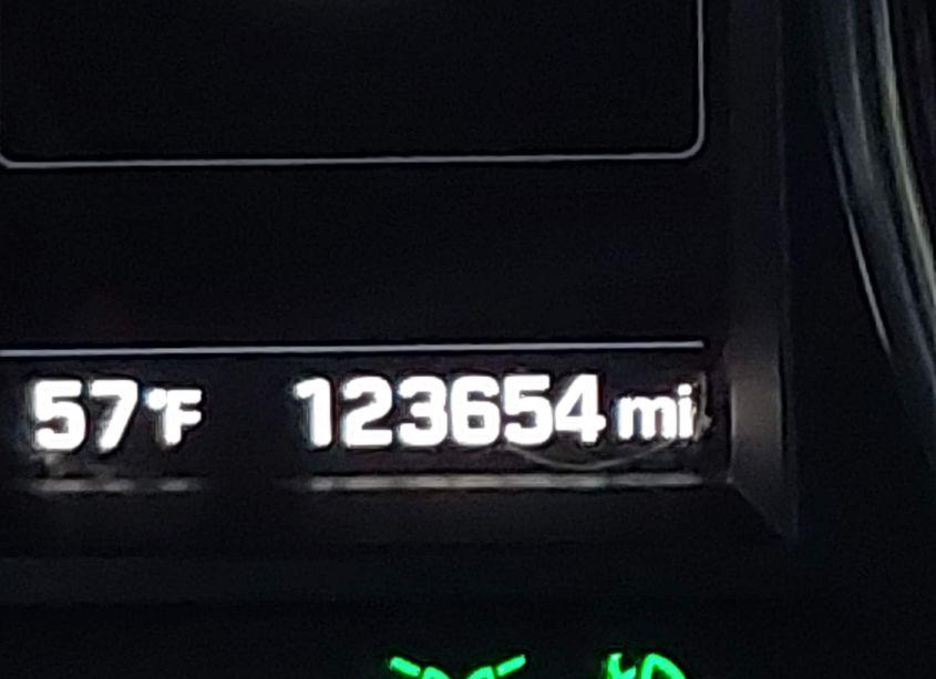
Odometer reading: 123,654 mi (Actual).
Engine: 2.0L I-4 DI, DOHC, VVT, TURBO, 240HP. Transmission: Automatic Transmission. Fuel: Gasoline. Drive: Front Wheel Drive.
How to read this page
How to use this VIN page: review photos first, then compare the auction history and spec tables. Fields like damage, title, mileage, and sale date come from the underlying listing data and may be missing on some records.
If you are researching purchase, export, or rebuild decisions, treat this page as a research snapshot and validate everything with official paperwork, auction documents, and inspections. Wheelwise does not generate these attributes — we display what the source record contains.
Common reasons some values are blank: the original listing did not provide a field, the value was unreadable, or the record was imported without that attribute.

Photos and condition notes
The photo gallery contains 17 listing images for VIN 5NMZU4LA1HH046665. Use these photos to visually confirm body style, trim badges, wheels, interior options, and visible damage areas.
Damage fields are reported as categories (“primary” / “secondary”). They help you filter listings quickly, but they do not replace a detailed inspection.
When comparing this vehicle to similar listings, focus on year, drivetrain, mileage entry, title status, and auction date — these attributes most often explain price differences.
Auction History
Vehicle Specs
| Auction | IAAI |
|---|---|
| Auction date | Mon Jan 13, 2025, 08:30AM (CST) |
| Title | SALVAGE (Ohio) |
|---|---|
| Primary damage | Left Side |
| Key present | Present |
| Start code | Run & Drive |
| Drive line | Front Wheel Drive |
|---|---|
| Engine | 2.0L I-4 DI, DOHC, VVT, TURBO, 240HP |
| Cylinders | 4 Cylinders |
| Transmission | Automatic Transmission |
| Fuel type | Gasoline |
| VIN | 5NMZU4LA1HH046665 |
|---|---|
| Make | Hyundai |
| Model | Santa |
| Year | 2017 |
| Trim / Package | FE SPORT 2.0T |
Key takeaways
- VIN: 5NMZU4LA1HH046665.
- Title status in this record: SALVAGE (Ohio).
- Auction: IAAI • Date: Mon Jan 13, 2025, 08:30AM (CST).
- Primary damage: Left Side.
- Odometer entry: 123,654 mi (Actual).
- Powertrain: engine 2.0L I-4 DI, DOHC, VVT, TURBO, 240HP, transmission Automatic Transmission.
- Photos available: 17.
- Always confirm VIN, title, and condition with official documents before purchase or export.
FAQ
What does the final bid mean?
What does a salvage title mean?
Where do the photos come from?
Can I use this page to verify the vehicle identity?
Quick Facts
- AuctionIAAI
- Auction dateMon Jan 13, 2025, 08:30AM (CST)
- TitleSALVAGE (Ohio)
- Primary damageLeft Side
- Odometer123,654 mi (Actual)
- TransmissionAutomatic Transmission
- FuelGasoline
- DriveFront Wheel Drive
- Engine2.0L I-4 DI, DOHC, VVT, TURBO, 240HP
- Cylinders4 Cylinders
Vehicle Information
| Auction Date | Mon Jan 13, 2025, 08:30AM (CST) |
|---|---|
| Auction Name | IAAI |
| Selling Branch | N/A |
| Stock Number | N/A |
| Vehicle | 2017 Hyundai Santa FE SPORT 2.0T |
| VIN | 5NMZU4LA1HH046665 |
| Title | SALVAGE (Ohio) |
| Primary Damage | Left Side |
| Secondary Damage | N/A |
| Odometer | 123,654 mi (Actual) |
| Key Present | Present |
| Start Code | Run & Drive |
| Drive Line Type | Front Wheel Drive |
| Cylinders | 4 Cylinders |
| Engine | 2.0L I-4 DI, DOHC, VVT, TURBO, 240HP |
| Transmission | Automatic Transmission |
| Fuel Type | Gasoline |
| Restraint System | Front impact airbag driver;Front side impact airbag driver;Overhead airbags;Front impact airbag passenger;Front side impact airbag passenger;Knee airbag |