2019 Jeep Wrangler UNLIMITED SPORT S 4X4
2019 Jeep Wrangler UNLIMITED SPORT S 4X4 (VIN 1C4HJXDG4KW661949). Photos, auction details and vehicle specs. Primary damage: Front End. Odometer: 64,591 mi (Actual).
Vehicle overview
This page shows the available auction record for 2019 Jeep Wrangler UNLIMITED SPORT S 4X4 identified by VIN 1C4HJXDG4KW661949. Auction source: IAAI • Sale date: Wed Mar 19, 8:30am (CDT). Title status reported in the record: SALVAGE (North Carolina). Reported damage: primary: Front End. Recorded odometer entry: 64,591 mi (Actual). Photo set: 16 images (as provided by the listing source).
This 2019 Jeep Wrangler UNLIMITED SPORT S 4X4 was listed via IAAI on Wed Mar 19, 8:30am (CDT).
Title status: SALVAGE (North Carolina). Primary damage reported: Front End.
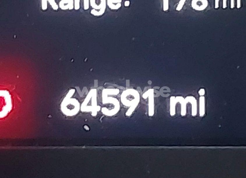
Odometer reading: 64,591 mi (Actual).
Engine: 3.6L V-6 DOHC, VVT, 285HP. Transmission: Automatic Transmission. Fuel: Gasoline. Drive: 4X4 Drive.
How to read this page
How to use this VIN page: review photos first, then compare the auction history and spec tables. Fields like damage, title, mileage, and sale date come from the underlying listing data and may be missing on some records.
If you are researching purchase, export, or rebuild decisions, treat this page as a research snapshot and validate everything with official paperwork, auction documents, and inspections. Wheelwise does not generate these attributes — we display what the source record contains.
Common reasons some values are blank: the original listing did not provide a field, the value was unreadable, or the record was imported without that attribute.

Photos and condition notes
The photo gallery contains 16 listing images for VIN 1C4HJXDG4KW661949. Use these photos to visually confirm body style, trim badges, wheels, interior options, and visible damage areas.
Damage fields are reported as categories (“primary” / “secondary”). They help you filter listings quickly, but they do not replace a detailed inspection.
When comparing this vehicle to similar listings, focus on year, drivetrain, mileage entry, title status, and auction date — these attributes most often explain price differences.
Auction History
Vehicle Specs
| Auction | IAAI |
|---|---|
| Auction date | Wed Mar 19, 8:30am (CDT) |
| Title | SALVAGE (North Carolina) |
|---|---|
| Primary damage | Front End |
| Key present | Present |
| Start code | Run & Drive |
| Drive line | 4X4 Drive |
|---|---|
| Engine | 3.6L V-6 DOHC, VVT, 285HP |
| Cylinders | 6 Cylinders |
| Transmission | Automatic Transmission |
| Fuel type | Gasoline |
| VIN | 1C4HJXDG4KW661949 |
|---|---|
| Make | Jeep |
| Model | Wrangler |
| Year | 2019 |
| Trim / Package | UNLIMITED SPORT S 4X4 |
Key takeaways
- VIN: 1C4HJXDG4KW661949.
- Title status in this record: SALVAGE (North Carolina).
- Auction: IAAI • Date: Wed Mar 19, 8:30am (CDT).
- Primary damage: Front End.
- Odometer entry: 64,591 mi (Actual).
- Powertrain: engine 3.6L V-6 DOHC, VVT, 285HP, transmission Automatic Transmission.
- Photos available: 16.
- Always confirm VIN, title, and condition with official documents before purchase or export.
FAQ
What does the final bid mean?
What does a salvage title mean?
Where do the photos come from?
Can I use this page to verify the vehicle identity?
Quick Facts
- AuctionIAAI
- Auction dateWed Mar 19, 8:30am (CDT)
- TitleSALVAGE (North Carolina)
- Primary damageFront End
- Odometer64,591 mi (Actual)
- TransmissionAutomatic Transmission
- FuelGasoline
- Drive4X4 Drive
- Engine3.6L V-6 DOHC, VVT, 285HP
- Cylinders6 Cylinders
Vehicle Information
| Auction Date | Wed Mar 19, 8:30am (CDT) |
|---|---|
| Auction Name | IAAI |
| Selling Branch | N/A |
| Stock Number | N/A |
| Vehicle | 2019 Jeep Wrangler UNLIMITED SPORT S 4X4 |
| VIN | 1C4HJXDG4KW661949 |
| Title | SALVAGE (North Carolina) |
| Primary Damage | Front End |
| Secondary Damage | N/A |
| Odometer | 64,591 mi (Actual) |
| Key Present | Present |
| Start Code | Run & Drive |
| Drive Line Type | 4X4 Drive |
| Cylinders | 6 Cylinders |
| Engine | 3.6L V-6 DOHC, VVT, 285HP |
| Transmission | Automatic Transmission |
| Fuel Type | Gasoline |
| Restraint System | Front impact airbag driver;Front side impact airbag driver;Front impact airbag passenger;Front side impact airbag passenger |