2014 Nissan Rogue SL
2014 Nissan Rogue SL (VIN 5N1AT2MV3EC763533). Photos, auction details and vehicle specs. Primary damage: Front End. Odometer: 133,538 mi (Actual).
Vehicle overview
This page shows the available auction record for 2014 Nissan Rogue SL identified by VIN 5N1AT2MV3EC763533. Auction source: IAAI • Sale date: Wed Jan 15, 2025, 08:30AM (CST). Title status reported in the record: MV-907A (New York). Reported damage: primary: Front End. Recorded odometer entry: 133,538 mi (Actual). Photo set: 19 images (as provided by the listing source).
This 2014 Nissan Rogue SL was listed via IAAI on Wed Jan 15, 2025, 08:30AM (CST).
Title status: MV-907A (New York). Primary damage reported: Front End.
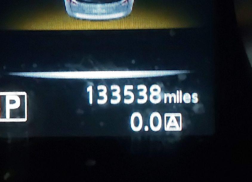
Odometer reading: 133,538 mi (Actual).
Engine: 2.5L I-4 DOHC, VVT, 170HP. Transmission: Automatic Transmission. Fuel: Gasoline. Drive: All Wheel Drive.
How to read this page
How to use this VIN page: review photos first, then compare the auction history and spec tables. Fields like damage, title, mileage, and sale date come from the underlying listing data and may be missing on some records.
If you are researching purchase, export, or rebuild decisions, treat this page as a research snapshot and validate everything with official paperwork, auction documents, and inspections. Wheelwise does not generate these attributes — we display what the source record contains.
Common reasons some values are blank: the original listing did not provide a field, the value was unreadable, or the record was imported without that attribute.

Photos and condition notes
The photo gallery contains 19 listing images for VIN 5N1AT2MV3EC763533. Use these photos to visually confirm body style, trim badges, wheels, interior options, and visible damage areas.
Damage fields are reported as categories (“primary” / “secondary”). They help you filter listings quickly, but they do not replace a detailed inspection.
When comparing this vehicle to similar listings, focus on year, drivetrain, mileage entry, title status, and auction date — these attributes most often explain price differences.
Auction History
Vehicle Specs
| Auction | IAAI |
|---|---|
| Auction date | Wed Jan 15, 2025, 08:30AM (CST) |
| Title | MV-907A (New York) |
|---|---|
| Primary damage | Front End |
| Key present | Present |
| Start code | Run & Drive |
| Drive line | All Wheel Drive |
|---|---|
| Engine | 2.5L I-4 DOHC, VVT, 170HP |
| Cylinders | 4 Cylinders |
| Transmission | Automatic Transmission |
| Fuel type | Gasoline |
| VIN | 5N1AT2MV3EC763533 |
|---|---|
| Make | Nissan |
| Model | Rogue |
| Year | 2014 |
| Trim / Package | SL |
Key takeaways
- VIN: 5N1AT2MV3EC763533.
- Title status in this record: MV-907A (New York).
- Auction: IAAI • Date: Wed Jan 15, 2025, 08:30AM (CST).
- Primary damage: Front End.
- Odometer entry: 133,538 mi (Actual).
- Powertrain: engine 2.5L I-4 DOHC, VVT, 170HP, transmission Automatic Transmission.
- Photos available: 19.
- Always confirm VIN, title, and condition with official documents before purchase or export.
FAQ
What does the final bid mean?
Where do the photos come from?
Can I use this page to verify the vehicle identity?
Quick Facts
- AuctionIAAI
- Auction dateWed Jan 15, 2025, 08:30AM (CST)
- TitleMV-907A (New York)
- Primary damageFront End
- Odometer133,538 mi (Actual)
- TransmissionAutomatic Transmission
- FuelGasoline
- DriveAll Wheel Drive
- Engine2.5L I-4 DOHC, VVT, 170HP
- Cylinders4 Cylinders
Vehicle Information
| Auction Date | Wed Jan 15, 2025, 08:30AM (CST) |
|---|---|
| Auction Name | IAAI |
| Selling Branch | N/A |
| Stock Number | N/A |
| Vehicle | 2014 Nissan Rogue SL |
| VIN | 5N1AT2MV3EC763533 |
| Title | MV-907A (New York) |
| Primary Damage | Front End |
| Secondary Damage | N/A |
| Odometer | 133,538 mi (Actual) |
| Key Present | Present |
| Start Code | Run & Drive |
| Drive Line Type | All Wheel Drive |
| Cylinders | 4 Cylinders |
| Engine | 2.5L I-4 DOHC, VVT, 170HP |
| Transmission | Automatic Transmission |
| Fuel Type | Gasoline |
| Restraint System | Front impact airbag driver;Front side impact airbag driver;Overhead airbags;Front impact airbag passenger;Front side impact airbag passenger |