2016 Nissan Rogue S
2016 Nissan Rogue S (VIN 5N1AT2MTXGC847723). Photos, auction details and vehicle specs. Primary damage: Right Front. Odometer: 154,663 mi (Actual).
Vehicle overview
This page shows the available auction record for 2016 Nissan Rogue S identified by VIN 5N1AT2MTXGC847723. Auction source: IAAI • Sale date: Wed Jan 15, 2025, 08:30AM (CST). Title status reported in the record: SALVAGE (North Carolina). Reported damage: primary: Right Front, secondary: Front End. Recorded odometer entry: 154,663 mi (Actual). Photo set: 17 images (as provided by the listing source).
This 2016 Nissan Rogue S was listed via IAAI on Wed Jan 15, 2025, 08:30AM (CST).
Title status: SALVAGE (North Carolina). Primary damage reported: Right Front. Secondary damage: Front End.
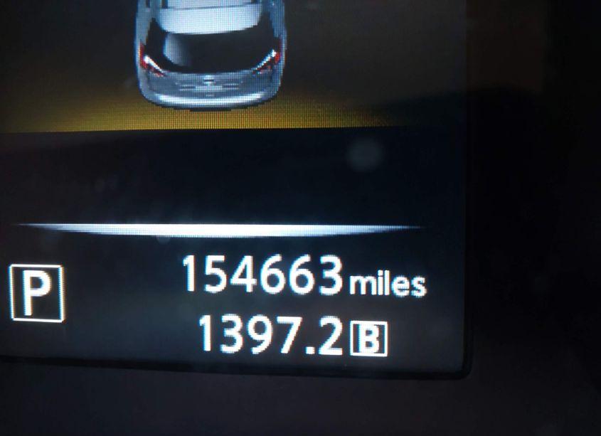
Odometer reading: 154,663 mi (Actual).
Engine: 2.5L I-4 DOHC, VVT, 170HP. Transmission: Automatic Transmission. Fuel: Gasoline. Drive: Front Wheel Drive.
How to read this page
How to use this VIN page: review photos first, then compare the auction history and spec tables. Fields like damage, title, mileage, and sale date come from the underlying listing data and may be missing on some records.
If you are researching purchase, export, or rebuild decisions, treat this page as a research snapshot and validate everything with official paperwork, auction documents, and inspections. Wheelwise does not generate these attributes — we display what the source record contains.
Common reasons some values are blank: the original listing did not provide a field, the value was unreadable, or the record was imported without that attribute.

Photos and condition notes
The photo gallery contains 17 listing images for VIN 5N1AT2MTXGC847723. Use these photos to visually confirm body style, trim badges, wheels, interior options, and visible damage areas.
Damage fields are reported as categories (“primary” / “secondary”). They help you filter listings quickly, but they do not replace a detailed inspection.
When comparing this vehicle to similar listings, focus on year, drivetrain, mileage entry, title status, and auction date — these attributes most often explain price differences.
Auction History
Vehicle Specs
| Auction | IAAI |
|---|---|
| Auction date | Wed Jan 15, 2025, 08:30AM (CST) |
| Title | SALVAGE (North Carolina) |
|---|---|
| Primary damage | Right Front |
| Secondary damage | Front End |
| Key present | Present |
| Start code | Run & Drive |
| Drive line | Front Wheel Drive |
|---|---|
| Engine | 2.5L I-4 DOHC, VVT, 170HP |
| Cylinders | 4 Cylinders |
| Transmission | Automatic Transmission |
| Fuel type | Gasoline |
| VIN | 5N1AT2MTXGC847723 |
|---|---|
| Make | Nissan |
| Model | Rogue |
| Year | 2016 |
| Trim / Package | S |
Key takeaways
- VIN: 5N1AT2MTXGC847723.
- Title status in this record: SALVAGE (North Carolina).
- Auction: IAAI • Date: Wed Jan 15, 2025, 08:30AM (CST).
- Primary damage: Right Front.
- Secondary damage: Front End.
- Odometer entry: 154,663 mi (Actual).
- Powertrain: engine 2.5L I-4 DOHC, VVT, 170HP, transmission Automatic Transmission.
- Photos available: 17.
- Always confirm VIN, title, and condition with official documents before purchase or export.
FAQ
What does the final bid mean?
What does a salvage title mean?
Where do the photos come from?
Can I use this page to verify the vehicle identity?
Quick Facts
- AuctionIAAI
- Auction dateWed Jan 15, 2025, 08:30AM (CST)
- TitleSALVAGE (North Carolina)
- Primary damageRight Front
- Secondary damageFront End
- Odometer154,663 mi (Actual)
- TransmissionAutomatic Transmission
- FuelGasoline
- DriveFront Wheel Drive
- Engine2.5L I-4 DOHC, VVT, 170HP
- Cylinders4 Cylinders
Vehicle Information
| Auction Date | Wed Jan 15, 2025, 08:30AM (CST) |
|---|---|
| Auction Name | IAAI |
| Selling Branch | N/A |
| Stock Number | N/A |
| Vehicle | 2016 Nissan Rogue S |
| VIN | 5N1AT2MTXGC847723 |
| Title | SALVAGE (North Carolina) |
| Primary Damage | Right Front |
| Secondary Damage | Front End |
| Odometer | 154,663 mi (Actual) |
| Key Present | Present |
| Start Code | Run & Drive |
| Drive Line Type | Front Wheel Drive |
| Cylinders | 4 Cylinders |
| Engine | 2.5L I-4 DOHC, VVT, 170HP |
| Transmission | Automatic Transmission |
| Fuel Type | Gasoline |
| Restraint System | Front impact airbag driver;Front side impact airbag driver;Overhead airbags;Front impact airbag passenger;Front side impact airbag passenger |