2016 Nissan Rogue S/SL/SV
2016 Nissan Rogue S/SL/SV (VIN 5N1AT2MV5GC794706). Photos, auction details and vehicle specs. Primary damage: Left Front. Odometer: 65,550 mi (Actual).
Vehicle overview
This page shows the available auction record for 2016 Nissan Rogue S/SL/SV identified by VIN 5N1AT2MV5GC794706. Auction source: IAAI • Sale date: Fri Mar 14, 12:30pm (CDT). Title status reported in the record: BILL OF SALE (Alaska). Reported damage: primary: Left Front. Recorded odometer entry: 65,550 mi (Actual). Photo set: 17 images (as provided by the listing source).
This 2016 Nissan Rogue S/SL/SV was listed via IAAI on Fri Mar 14, 12:30pm (CDT).
Title status: BILL OF SALE (Alaska). Primary damage reported: Left Front.
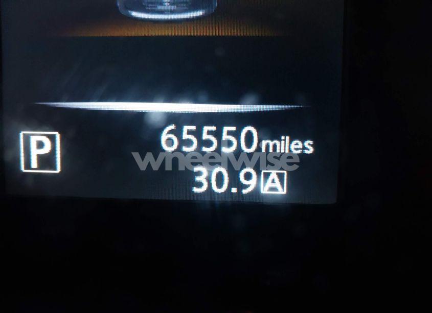
Odometer reading: 65,550 mi (Actual).
Engine: 2.5L I-4 DOHC, VVT, 170HP. Transmission: Automatic Transmission. Fuel: Gasoline. Drive: All Wheel Drive.
How to read this page
How to use this VIN page: review photos first, then compare the auction history and spec tables. Fields like damage, title, mileage, and sale date come from the underlying listing data and may be missing on some records.
If you are researching purchase, export, or rebuild decisions, treat this page as a research snapshot and validate everything with official paperwork, auction documents, and inspections. Wheelwise does not generate these attributes — we display what the source record contains.
Common reasons some values are blank: the original listing did not provide a field, the value was unreadable, or the record was imported without that attribute.

Photos and condition notes
The photo gallery contains 17 listing images for VIN 5N1AT2MV5GC794706. Use these photos to visually confirm body style, trim badges, wheels, interior options, and visible damage areas.
Damage fields are reported as categories (“primary” / “secondary”). They help you filter listings quickly, but they do not replace a detailed inspection.
When comparing this vehicle to similar listings, focus on year, drivetrain, mileage entry, title status, and auction date — these attributes most often explain price differences.
Auction History
Vehicle Specs
| Auction | IAAI |
|---|---|
| Auction date | Fri Mar 14, 12:30pm (CDT) |
| Title | BILL OF SALE (Alaska) |
|---|---|
| Primary damage | Left Front |
| Key present | Present |
| Start code | Stationary |
| Drive line | All Wheel Drive |
|---|---|
| Engine | 2.5L I-4 DOHC, VVT, 170HP |
| Cylinders | 4 Cylinders |
| Transmission | Automatic Transmission |
| Fuel type | Gasoline |
| VIN | 5N1AT2MV5GC794706 |
|---|---|
| Make | Nissan |
| Model | Rogue |
| Year | 2016 |
| Trim / Package | S/SL/SV |
Key takeaways
- VIN: 5N1AT2MV5GC794706.
- Title status in this record: BILL OF SALE (Alaska).
- Auction: IAAI • Date: Fri Mar 14, 12:30pm (CDT).
- Primary damage: Left Front.
- Odometer entry: 65,550 mi (Actual).
- Powertrain: engine 2.5L I-4 DOHC, VVT, 170HP, transmission Automatic Transmission.
- Photos available: 17.
- Always confirm VIN, title, and condition with official documents before purchase or export.
FAQ
What does the final bid mean?
Where do the photos come from?
Can I use this page to verify the vehicle identity?
Quick Facts
- AuctionIAAI
- Auction dateFri Mar 14, 12:30pm (CDT)
- TitleBILL OF SALE (Alaska)
- Primary damageLeft Front
- Odometer65,550 mi (Actual)
- TransmissionAutomatic Transmission
- FuelGasoline
- DriveAll Wheel Drive
- Engine2.5L I-4 DOHC, VVT, 170HP
- Cylinders4 Cylinders
Vehicle Information
| Auction Date | Fri Mar 14, 12:30pm (CDT) |
|---|---|
| Auction Name | IAAI |
| Selling Branch | N/A |
| Stock Number | N/A |
| Vehicle | 2016 Nissan Rogue S/SL/SV |
| VIN | 5N1AT2MV5GC794706 |
| Title | BILL OF SALE (Alaska) |
| Primary Damage | Left Front |
| Secondary Damage | N/A |
| Odometer | 65,550 mi (Actual) |
| Key Present | Present |
| Start Code | Stationary |
| Drive Line Type | All Wheel Drive |
| Cylinders | 4 Cylinders |
| Engine | 2.5L I-4 DOHC, VVT, 170HP |
| Transmission | Automatic Transmission |
| Fuel Type | Gasoline |
| Restraint System | Front impact airbag driver;Front side impact airbag driver;Overhead airbags;Front impact airbag passenger;Front side impact airbag passenger |