2017 Nissan Rogue SPORT SL
2017 Nissan Rogue SPORT SL (VIN JN1BJ1CP3HW004334). Photos, auction details and vehicle specs. Primary damage: Right Side. Odometer: 44,609 mi (Actual).
Vehicle overview
This page shows the available auction record for 2017 Nissan Rogue SPORT SL identified by VIN JN1BJ1CP3HW004334. Auction source: IAAI • Sale date: Wed Jun 25, 8:30am (CDT). Title status reported in the record: REBUILDABLE (Florida). Reported damage: primary: Right Side. Recorded odometer entry: 44,609 mi (Actual). Photo set: 16 images (as provided by the listing source).
This 2017 Nissan Rogue SPORT SL was listed via IAAI on Wed Jun 25, 8:30am (CDT).
Title status: REBUILDABLE (Florida). Primary damage reported: Right Side.
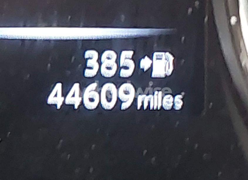
Odometer reading: 44,609 mi (Actual).
Engine: 2.0L I-4 DI, DOHC, VVT, 141HP. Transmission: Automatic Transmission. Fuel: Gasoline. Drive: Front Wheel Drive.
How to read this page
How to use this VIN page: review photos first, then compare the auction history and spec tables. Fields like damage, title, mileage, and sale date come from the underlying listing data and may be missing on some records.
If you are researching purchase, export, or rebuild decisions, treat this page as a research snapshot and validate everything with official paperwork, auction documents, and inspections. Wheelwise does not generate these attributes — we display what the source record contains.
Common reasons some values are blank: the original listing did not provide a field, the value was unreadable, or the record was imported without that attribute.

Photos and condition notes
The photo gallery contains 16 listing images for VIN JN1BJ1CP3HW004334. Use these photos to visually confirm body style, trim badges, wheels, interior options, and visible damage areas.
Damage fields are reported as categories (“primary” / “secondary”). They help you filter listings quickly, but they do not replace a detailed inspection.
When comparing this vehicle to similar listings, focus on year, drivetrain, mileage entry, title status, and auction date — these attributes most often explain price differences.
Auction History
Vehicle Specs
| Auction | IAAI |
|---|---|
| Auction date | Wed Jun 25, 8:30am (CDT) |
| Title | REBUILDABLE (Florida) |
|---|---|
| Primary damage | Right Side |
| Key present | Present |
| Start code | Run & Drive |
| Drive line | Front Wheel Drive |
|---|---|
| Engine | 2.0L I-4 DI, DOHC, VVT, 141HP |
| Cylinders | 4 Cylinders |
| Transmission | Automatic Transmission |
| Fuel type | Gasoline |
| VIN | JN1BJ1CP3HW004334 |
|---|---|
| Make | Nissan |
| Model | Rogue |
| Year | 2017 |
| Trim / Package | SPORT SL |
Key takeaways
- VIN: JN1BJ1CP3HW004334.
- Title status in this record: REBUILDABLE (Florida).
- Auction: IAAI • Date: Wed Jun 25, 8:30am (CDT).
- Primary damage: Right Side.
- Odometer entry: 44,609 mi (Actual).
- Powertrain: engine 2.0L I-4 DI, DOHC, VVT, 141HP, transmission Automatic Transmission.
- Photos available: 16.
- Always confirm VIN, title, and condition with official documents before purchase or export.
FAQ
What does the final bid mean?
Where do the photos come from?
Can I use this page to verify the vehicle identity?
Quick Facts
- AuctionIAAI
- Auction dateWed Jun 25, 8:30am (CDT)
- TitleREBUILDABLE (Florida)
- Primary damageRight Side
- Odometer44,609 mi (Actual)
- TransmissionAutomatic Transmission
- FuelGasoline
- DriveFront Wheel Drive
- Engine2.0L I-4 DI, DOHC, VVT, 141HP
- Cylinders4 Cylinders
Vehicle Information
| Auction Date | Wed Jun 25, 8:30am (CDT) |
|---|---|
| Auction Name | IAAI |
| Selling Branch | N/A |
| Stock Number | N/A |
| Vehicle | 2017 Nissan Rogue SPORT SL |
| VIN | JN1BJ1CP3HW004334 |
| Title | REBUILDABLE (Florida) |
| Primary Damage | Right Side |
| Secondary Damage | N/A |
| Odometer | 44,609 mi (Actual) |
| Key Present | Present |
| Start Code | Run & Drive |
| Drive Line Type | Front Wheel Drive |
| Cylinders | 4 Cylinders |
| Engine | 2.0L I-4 DI, DOHC, VVT, 141HP |
| Transmission | Automatic Transmission |
| Fuel Type | Gasoline |
| Restraint System | Front impact airbag driver;Front side impact airbag driver;Overhead airbags;Front impact airbag passenger;Front side impact airbag passenger |