2019 Nissan Rogue SV
2019 Nissan Rogue SV (VIN JN8AT2MV8KW397796). Photos, auction details and vehicle specs. Primary damage: Right Front. Odometer: 53,594 mi (Actual). Final bid: If Bid for $4,300.
Vehicle overview
This page shows the available auction record for 2019 Nissan Rogue SV identified by VIN JN8AT2MV8KW397796. Auction source: IAAI • Sale date: Fri Feb 21, 2025, 12:30PM (CST). Title status reported in the record: BILL OF SALE (Alaska). Reported damage: primary: Right Front. Recorded odometer entry: 53,594 mi (Actual). Recorded final bid in history: If Bid for $4,300. Photo set: 16 images (as provided by the listing source).
This 2019 Nissan Rogue SV was listed via IAAI on Fri Feb 21, 2025, 12:30PM (CST). Recorded final bid: If Bid for $4,300.
Title status: BILL OF SALE (Alaska). Primary damage reported: Right Front.
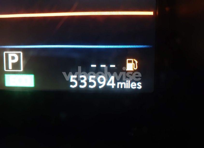
Odometer reading: 53,594 mi (Actual).
Engine: 2.5L I-4 DOHC, VVT, 170HP. Transmission: Automatic Transmission. Fuel: Gasoline. Drive: All Wheel Drive.
How to read this page
How to use this VIN page: review photos first, then compare the auction history and spec tables. Fields like damage, title, mileage, and sale date come from the underlying listing data and may be missing on some records.
If you are researching purchase, export, or rebuild decisions, treat this page as a research snapshot and validate everything with official paperwork, auction documents, and inspections. Wheelwise does not generate these attributes — we display what the source record contains.
Common reasons some values are blank: the original listing did not provide a field, the value was unreadable, or the record was imported without that attribute.

Photos and condition notes
The photo gallery contains 16 listing images for VIN JN8AT2MV8KW397796. Use these photos to visually confirm body style, trim badges, wheels, interior options, and visible damage areas.
Damage fields are reported as categories (“primary” / “secondary”). They help you filter listings quickly, but they do not replace a detailed inspection.
When comparing this vehicle to similar listings, focus on year, drivetrain, mileage entry, title status, and auction date — these attributes most often explain price differences.
Another sales of this vehicle

Auction History
| Auction Name | Date | Final Bid |
|---|---|---|
| IAAI | 2025-02-28 | If Bid for $4,300 |
Vehicle Specs
| Auction | IAAI |
|---|---|
| Auction date | Fri Feb 21, 2025, 12:30PM (CST) |
| Final bid | If Bid for $4,300 |
| Title | BILL OF SALE (Alaska) |
|---|---|
| Primary damage | Right Front |
| Key present | Present |
| Start code | Run & Drive |
| Drive line | All Wheel Drive |
|---|---|
| Engine | 2.5L I-4 DOHC, VVT, 170HP |
| Cylinders | 4 Cylinders |
| Transmission | Automatic Transmission |
| Fuel type | Gasoline |
| VIN | JN8AT2MV8KW397796 |
|---|---|
| Make | Nissan |
| Model | Rogue |
| Year | 2019 |
| Trim / Package | SV |
Key takeaways
- VIN: JN8AT2MV8KW397796.
- Title status in this record: BILL OF SALE (Alaska).
- Auction: IAAI • Date: Fri Feb 21, 2025, 12:30PM (CST).
- Recorded final bid: If Bid for $4,300.
- Primary damage: Right Front.
- Odometer entry: 53,594 mi (Actual).
- Powertrain: engine 2.5L I-4 DOHC, VVT, 170HP, transmission Automatic Transmission.
- Photos available: 16.
- Always confirm VIN, title, and condition with official documents before purchase or export.
FAQ
What does the final bid mean?
Where do the photos come from?
Can I use this page to verify the vehicle identity?
Quick Facts
- AuctionIAAI
- Auction dateFri Feb 21, 2025, 12:30PM (CST)
- TitleBILL OF SALE (Alaska)
- Primary damageRight Front
- Odometer53,594 mi (Actual)
- Final bidIf Bid for $4,300
- TransmissionAutomatic Transmission
- FuelGasoline
- DriveAll Wheel Drive
- Engine2.5L I-4 DOHC, VVT, 170HP
- Cylinders4 Cylinders
Vehicle Information
| Auction Date | Fri Feb 21, 2025, 12:30PM (CST) |
|---|---|
| Auction Name | IAAI |
| Selling Branch | N/A |
| Stock Number | N/A |
| Vehicle | 2019 Nissan Rogue SV |
| VIN | JN8AT2MV8KW397796 |
| Title | BILL OF SALE (Alaska) |
| Primary Damage | Right Front |
| Secondary Damage | N/A |
| Odometer | 53,594 mi (Actual) |
| Key Present | Present |
| Start Code | Run & Drive |
| Drive Line Type | All Wheel Drive |
| Cylinders | 4 Cylinders |
| Engine | 2.5L I-4 DOHC, VVT, 170HP |
| Transmission | Automatic Transmission |
| Fuel Type | Gasoline |
| Restraint System | Front impact airbag driver;Front side impact airbag driver;Overhead airbags;Front impact airbag passenger;Front side impact airbag passenger |