2020 Nissan Rogue SL INTELLIGENT AWD
2020 Nissan Rogue SL INTELLIGENT AWD (VIN 5N1AT2MVXLC710552). Photos, auction details and vehicle specs. Primary damage: Front End. Odometer: 64,769 mi (Actual).
Vehicle overview
This page shows the available auction record for 2020 Nissan Rogue SL INTELLIGENT AWD identified by VIN 5N1AT2MVXLC710552. Auction source: IAAI • Sale date: Mon Jan 20, 2025, 09:30AM (CST). Title status reported in the record: SALVAGE TITLE (Iowa). Reported damage: primary: Front End. Recorded odometer entry: 64,769 mi (Actual). Photo set: 16 images (as provided by the listing source).
This 2020 Nissan Rogue SL INTELLIGENT AWD was listed via IAAI on Mon Jan 20, 2025, 09:30AM (CST).
Title status: SALVAGE TITLE (Iowa). Primary damage reported: Front End.
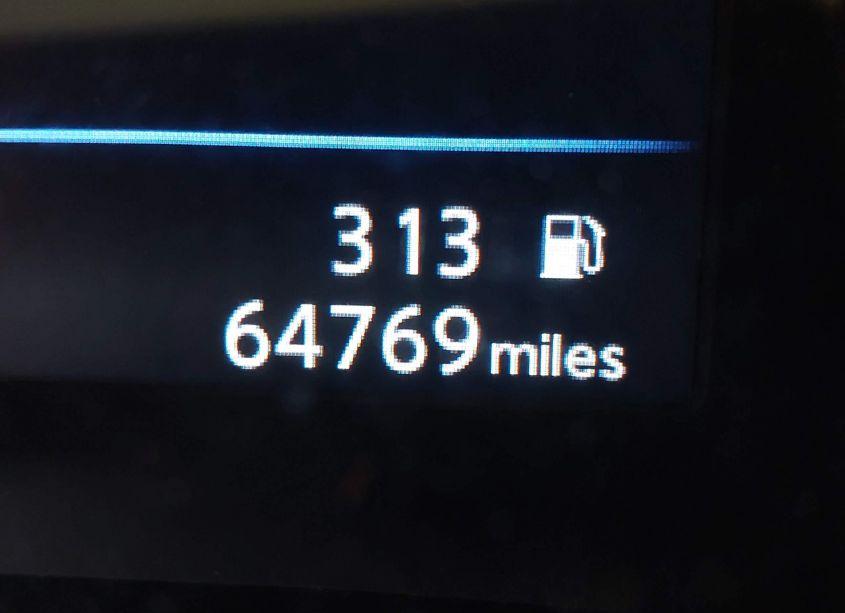
Odometer reading: 64,769 mi (Actual).
Engine: 2.5L I-4 DOHC, VVT, 170HP. Transmission: Automatic Transmission. Fuel: Gasoline. Drive: All Wheel Drive.
How to read this page
How to use this VIN page: review photos first, then compare the auction history and spec tables. Fields like damage, title, mileage, and sale date come from the underlying listing data and may be missing on some records.
If you are researching purchase, export, or rebuild decisions, treat this page as a research snapshot and validate everything with official paperwork, auction documents, and inspections. Wheelwise does not generate these attributes — we display what the source record contains.
Common reasons some values are blank: the original listing did not provide a field, the value was unreadable, or the record was imported without that attribute.

Photos and condition notes
The photo gallery contains 16 listing images for VIN 5N1AT2MVXLC710552. Use these photos to visually confirm body style, trim badges, wheels, interior options, and visible damage areas.
Damage fields are reported as categories (“primary” / “secondary”). They help you filter listings quickly, but they do not replace a detailed inspection.
When comparing this vehicle to similar listings, focus on year, drivetrain, mileage entry, title status, and auction date — these attributes most often explain price differences.
Auction History
Vehicle Specs
| Auction | IAAI |
|---|---|
| Auction date | Mon Jan 20, 2025, 09:30AM (CST) |
| Title | SALVAGE TITLE (Iowa) |
|---|---|
| Primary damage | Front End |
| Key present | Present |
| Start code | Run & Drive |
| Drive line | All Wheel Drive |
|---|---|
| Engine | 2.5L I-4 DOHC, VVT, 170HP |
| Cylinders | 4 Cylinders |
| Transmission | Automatic Transmission |
| Fuel type | Gasoline |
| VIN | 5N1AT2MVXLC710552 |
|---|---|
| Make | Nissan |
| Model | Rogue |
| Year | 2020 |
| Trim / Package | SL INTELLIGENT AWD |
Key takeaways
- VIN: 5N1AT2MVXLC710552.
- Title status in this record: SALVAGE TITLE (Iowa).
- Auction: IAAI • Date: Mon Jan 20, 2025, 09:30AM (CST).
- Primary damage: Front End.
- Odometer entry: 64,769 mi (Actual).
- Powertrain: engine 2.5L I-4 DOHC, VVT, 170HP, transmission Automatic Transmission.
- Photos available: 16.
- Always confirm VIN, title, and condition with official documents before purchase or export.
FAQ
What does the final bid mean?
What does a salvage title mean?
Where do the photos come from?
Can I use this page to verify the vehicle identity?
Quick Facts
- AuctionIAAI
- Auction dateMon Jan 20, 2025, 09:30AM (CST)
- TitleSALVAGE TITLE (Iowa)
- Primary damageFront End
- Odometer64,769 mi (Actual)
- TransmissionAutomatic Transmission
- FuelGasoline
- DriveAll Wheel Drive
- Engine2.5L I-4 DOHC, VVT, 170HP
- Cylinders4 Cylinders
Vehicle Information
| Auction Date | Mon Jan 20, 2025, 09:30AM (CST) |
|---|---|
| Auction Name | IAAI |
| Selling Branch | N/A |
| Stock Number | N/A |
| Vehicle | 2020 Nissan Rogue SL INTELLIGENT AWD |
| VIN | 5N1AT2MVXLC710552 |
| Title | SALVAGE TITLE (Iowa) |
| Primary Damage | Front End |
| Secondary Damage | N/A |
| Odometer | 64,769 mi (Actual) |
| Key Present | Present |
| Start Code | Run & Drive |
| Drive Line Type | All Wheel Drive |
| Cylinders | 4 Cylinders |
| Engine | 2.5L I-4 DOHC, VVT, 170HP |
| Transmission | Automatic Transmission |
| Fuel Type | Gasoline |
| Restraint System | Front impact airbag driver;Front side impact airbag driver;Overhead airbags;Front impact airbag passenger;Front side impact airbag passenger |