2019 Ram 1500 CLASSIC BIG HORN 4X4 5'7 BOX
2019 Ram 1500 CLASSIC BIG HORN 4X4 5'7 BOX (VIN 1C6RR7LT8KS570340). Photos, auction details and vehicle specs. Primary damage: Left Front. Odometer: 130,647 mi (Not Required/Exempt).
Vehicle overview
This page shows the available auction record for 2019 Ram 1500 CLASSIC BIG HORN 4X4 5'7 BOX identified by VIN 1C6RR7LT8KS570340. Auction source: IAAI • Sale date: Thu Jan 02, 2025, 08:30AM (CST). Title status reported in the record: SCRAP (Michigan). Reported damage: primary: Left Front, secondary: Front End. Recorded odometer entry: 130,647 mi (Not Required/Exempt). Photo set: 16 images (as provided by the listing source).
This 2019 Ram 1500 CLASSIC BIG HORN 4X4 5'7 BOX was listed via IAAI on Thu Jan 02, 2025, 08:30AM (CST).
Title status: SCRAP (Michigan). Primary damage reported: Left Front. Secondary damage: Front End.
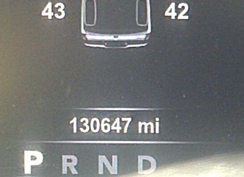
Odometer reading: 130,647 mi (Not Required/Exempt).
Engine: 5.7L V-8 VVT, 395HP. Transmission: Automatic Transmission. Fuel: Gasoline. Drive: 4X4 Drive.
How to read this page
How to use this VIN page: review photos first, then compare the auction history and spec tables. Fields like damage, title, mileage, and sale date come from the underlying listing data and may be missing on some records.
If you are researching purchase, export, or rebuild decisions, treat this page as a research snapshot and validate everything with official paperwork, auction documents, and inspections. Wheelwise does not generate these attributes — we display what the source record contains.
Common reasons some values are blank: the original listing did not provide a field, the value was unreadable, or the record was imported without that attribute.

Photos and condition notes
The photo gallery contains 16 listing images for VIN 1C6RR7LT8KS570340. Use these photos to visually confirm body style, trim badges, wheels, interior options, and visible damage areas.
Damage fields are reported as categories (“primary” / “secondary”). They help you filter listings quickly, but they do not replace a detailed inspection.
When comparing this vehicle to similar listings, focus on year, drivetrain, mileage entry, title status, and auction date — these attributes most often explain price differences.
Auction History
Vehicle Specs
| Auction | IAAI |
|---|---|
| Auction date | Thu Jan 02, 2025, 08:30AM (CST) |
| Title | SCRAP (Michigan) |
|---|---|
| Primary damage | Left Front |
| Secondary damage | Front End |
| Key present | Present |
| Start code | Run & Drive |
| Drive line | 4X4 Drive |
|---|---|
| Engine | 5.7L V-8 VVT, 395HP |
| Cylinders | 8 Cylinders |
| Transmission | Automatic Transmission |
| Fuel type | Gasoline |
| VIN | 1C6RR7LT8KS570340 |
|---|---|
| Make | Ram |
| Model | 1500 |
| Year | 2019 |
| Trim / Package | CLASSIC BIG HORN 4X4 5'7 BOX |
Key takeaways
- VIN: 1C6RR7LT8KS570340.
- Title status in this record: SCRAP (Michigan).
- Auction: IAAI • Date: Thu Jan 02, 2025, 08:30AM (CST).
- Primary damage: Left Front.
- Secondary damage: Front End.
- Odometer entry: 130,647 mi (Not Required/Exempt).
- Powertrain: engine 5.7L V-8 VVT, 395HP, transmission Automatic Transmission.
- Photos available: 16.
- Always confirm VIN, title, and condition with official documents before purchase or export.
FAQ
What does the final bid mean?
Where do the photos come from?
Can I use this page to verify the vehicle identity?
Quick Facts
- AuctionIAAI
- Auction dateThu Jan 02, 2025, 08:30AM (CST)
- TitleSCRAP (Michigan)
- Primary damageLeft Front
- Secondary damageFront End
- Odometer130,647 mi (Not Required/Exempt)
- TransmissionAutomatic Transmission
- FuelGasoline
- Drive4X4 Drive
- Engine5.7L V-8 VVT, 395HP
- Cylinders8 Cylinders
Vehicle Information
| Auction Date | Thu Jan 02, 2025, 08:30AM (CST) |
|---|---|
| Auction Name | IAAI |
| Selling Branch | N/A |
| Stock Number | N/A |
| Vehicle | 2019 Ram 1500 CLASSIC BIG HORN 4X4 5'7 BOX |
| VIN | 1C6RR7LT8KS570340 |
| Title | SCRAP (Michigan) |
| Primary Damage | Left Front |
| Secondary Damage | Front End |
| Odometer | 130,647 mi (Not Required/Exempt) |
| Key Present | Present |
| Start Code | Run & Drive |
| Drive Line Type | 4X4 Drive |
| Cylinders | 8 Cylinders |
| Engine | 5.7L V-8 VVT, 395HP |
| Transmission | Automatic Transmission |
| Fuel Type | Gasoline |
| Restraint System | Front impact airbag driver;Front side impact airbag driver;Overhead airbags;Front impact airbag passenger;Front side impact airbag passenger |