2013 Subaru Outback 2.5I LIMITED
2013 Subaru Outback 2.5I LIMITED (VIN 4S4BRCKCXD3287824). Photos, auction details and vehicle specs. Primary damage: Left & Right Side. Odometer: 179,574 mi (Actual). Final bid: If Bid for $775.
Vehicle overview
This page shows the available auction record for 2013 Subaru Outback 2.5I LIMITED identified by VIN 4S4BRCKCXD3287824. Auction source: IAAI • Sale date: Tue Jan 21, 2025, 09:30AM (CST). Title status reported in the record: REGULAR (South Dakota). Reported damage: primary: Left & Right Side, secondary: Undercarriage. Recorded odometer entry: 179,574 mi (Actual). Recorded final bid in history: If Bid for $775. Photo set: 17 images (as provided by the listing source).
This 2013 Subaru Outback 2.5I LIMITED was listed via IAAI on Tue Jan 21, 2025, 09:30AM (CST). Recorded final bid: If Bid for $775.
Title status: REGULAR (South Dakota). Primary damage reported: Left & Right Side. Secondary damage: Undercarriage.
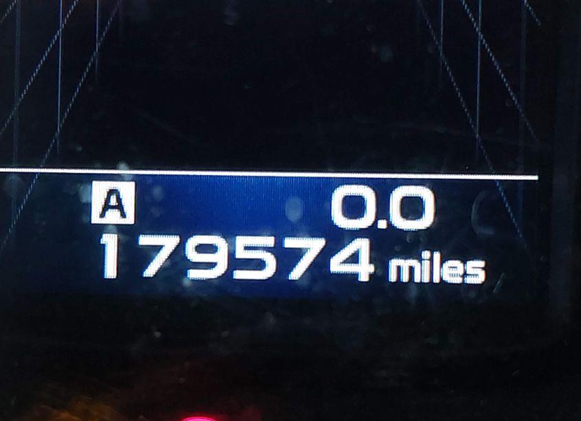
Odometer reading: 179,574 mi (Actual).
Engine: 2.5L H-4 DOHC, VVT, 173HP. Transmission: Automatic Transmission. Fuel: Gasoline. Drive: All Wheel Drive.
How to read this page
How to use this VIN page: review photos first, then compare the auction history and spec tables. Fields like damage, title, mileage, and sale date come from the underlying listing data and may be missing on some records.
If you are researching purchase, export, or rebuild decisions, treat this page as a research snapshot and validate everything with official paperwork, auction documents, and inspections. Wheelwise does not generate these attributes — we display what the source record contains.
Common reasons some values are blank: the original listing did not provide a field, the value was unreadable, or the record was imported without that attribute.

Photos and condition notes
The photo gallery contains 17 listing images for VIN 4S4BRCKCXD3287824. Use these photos to visually confirm body style, trim badges, wheels, interior options, and visible damage areas.
Damage fields are reported as categories (“primary” / “secondary”). They help you filter listings quickly, but they do not replace a detailed inspection.
When comparing this vehicle to similar listings, focus on year, drivetrain, mileage entry, title status, and auction date — these attributes most often explain price differences.
Another sales of this vehicle

Auction History
| Auction Name | Date | Final Bid |
|---|---|---|
| IAAI | 2025-01-21 | If Bid for $775 |
Vehicle Specs
| Auction | IAAI |
|---|---|
| Auction date | Tue Jan 21, 2025, 09:30AM (CST) |
| Final bid | If Bid for $775 |
| Title | REGULAR (South Dakota) |
|---|---|
| Primary damage | Left & Right Side |
| Secondary damage | Undercarriage |
| Key present | Present |
| Start code | Starts |
| Drive line | All Wheel Drive |
|---|---|
| Engine | 2.5L H-4 DOHC, VVT, 173HP |
| Cylinders | 4 Cylinders |
| Transmission | Automatic Transmission |
| Fuel type | Gasoline |
| VIN | 4S4BRCKCXD3287824 |
|---|---|
| Make | Subaru |
| Model | Outback |
| Year | 2013 |
| Trim / Package | 2.5I LIMITED |
Key takeaways
- VIN: 4S4BRCKCXD3287824.
- Title status in this record: REGULAR (South Dakota).
- Auction: IAAI • Date: Tue Jan 21, 2025, 09:30AM (CST).
- Recorded final bid: If Bid for $775.
- Primary damage: Left & Right Side.
- Secondary damage: Undercarriage.
- Odometer entry: 179,574 mi (Actual).
- Powertrain: engine 2.5L H-4 DOHC, VVT, 173HP, transmission Automatic Transmission.
- Photos available: 17.
- Always confirm VIN, title, and condition with official documents before purchase or export.
FAQ
What does the final bid mean?
Where do the photos come from?
Can I use this page to verify the vehicle identity?
Quick Facts
- AuctionIAAI
- Auction dateTue Jan 21, 2025, 09:30AM (CST)
- TitleREGULAR (South Dakota)
- Primary damageLeft & Right Side
- Secondary damageUndercarriage
- Odometer179,574 mi (Actual)
- Final bidIf Bid for $775
- TransmissionAutomatic Transmission
- FuelGasoline
- DriveAll Wheel Drive
- Engine2.5L H-4 DOHC, VVT, 173HP
- Cylinders4 Cylinders
Vehicle Information
| Auction Date | Tue Jan 21, 2025, 09:30AM (CST) |
|---|---|
| Auction Name | IAAI |
| Selling Branch | N/A |
| Stock Number | N/A |
| Vehicle | 2013 Subaru Outback 2.5I LIMITED |
| VIN | 4S4BRCKCXD3287824 |
| Title | REGULAR (South Dakota) |
| Primary Damage | Left & Right Side |
| Secondary Damage | Undercarriage |
| Odometer | 179,574 mi (Actual) |
| Key Present | Present |
| Start Code | Starts |
| Drive Line Type | All Wheel Drive |
| Cylinders | 4 Cylinders |
| Engine | 2.5L H-4 DOHC, VVT, 173HP |
| Transmission | Automatic Transmission |
| Fuel Type | Gasoline |
| Restraint System | Front impact airbag driver;Front side impact airbag driver;Overhead airbags;Front impact airbag passenger;Front side impact airbag passenger;Pelvic airbag |