2023 Toyota Sienna LE
2023 Toyota Sienna LE (VIN 5TDKSKFC3PS081986). Photos, auction details and vehicle specs. Primary damage: Rear. Odometer: 36,142 mi (Actual).
Vehicle overview
This page shows the available auction record for 2023 Toyota Sienna LE identified by VIN 5TDKSKFC3PS081986. Auction source: IAAI • Sale date: Thu Jan 09, 2025, 09:30AM (CST). Title status reported in the record: SALVAGE (Nebraska). Reported damage: primary: Rear. Recorded odometer entry: 36,142 mi (Actual). Photo set: 17 images (as provided by the listing source).
This 2023 Toyota Sienna LE was listed via IAAI on Thu Jan 09, 2025, 09:30AM (CST).
Title status: SALVAGE (Nebraska). Primary damage reported: Rear.
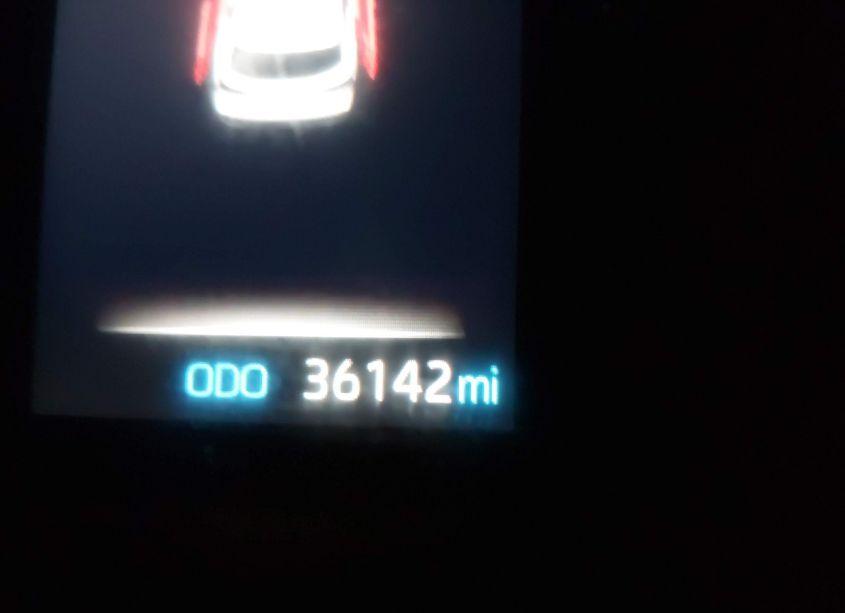
Odometer reading: 36,142 mi (Actual).
Engine: 2.5L I-4 DI, DOHC, VVT, 189HP. Transmission: Automatic Transmission. Fuel: Other. Drive: All Wheel Drive.
How to read this page
How to use this VIN page: review photos first, then compare the auction history and spec tables. Fields like damage, title, mileage, and sale date come from the underlying listing data and may be missing on some records.
If you are researching purchase, export, or rebuild decisions, treat this page as a research snapshot and validate everything with official paperwork, auction documents, and inspections. Wheelwise does not generate these attributes — we display what the source record contains.
Common reasons some values are blank: the original listing did not provide a field, the value was unreadable, or the record was imported without that attribute.

Photos and condition notes
The photo gallery contains 17 listing images for VIN 5TDKSKFC3PS081986. Use these photos to visually confirm body style, trim badges, wheels, interior options, and visible damage areas.
Damage fields are reported as categories (“primary” / “secondary”). They help you filter listings quickly, but they do not replace a detailed inspection.
When comparing this vehicle to similar listings, focus on year, drivetrain, mileage entry, title status, and auction date — these attributes most often explain price differences.
Auction History
Vehicle Specs
| Auction | IAAI |
|---|---|
| Auction date | Thu Jan 09, 2025, 09:30AM (CST) |
| Title | SALVAGE (Nebraska) |
|---|---|
| Primary damage | Rear |
| Key present | Present |
| Start code | Run & Drive |
| Drive line | All Wheel Drive |
|---|---|
| Engine | 2.5L I-4 DI, DOHC, VVT, 189HP |
| Cylinders | 4 Cylinders |
| Transmission | Automatic Transmission |
| Fuel type | Other |
| VIN | 5TDKSKFC3PS081986 |
|---|---|
| Make | Toyota |
| Model | Sienna |
| Year | 2023 |
| Trim / Package | LE |
Key takeaways
- VIN: 5TDKSKFC3PS081986.
- Title status in this record: SALVAGE (Nebraska).
- Auction: IAAI • Date: Thu Jan 09, 2025, 09:30AM (CST).
- Primary damage: Rear.
- Odometer entry: 36,142 mi (Actual).
- Powertrain: engine 2.5L I-4 DI, DOHC, VVT, 189HP, transmission Automatic Transmission.
- Photos available: 17.
- Always confirm VIN, title, and condition with official documents before purchase or export.
FAQ
What does the final bid mean?
What does a salvage title mean?
Where do the photos come from?
Can I use this page to verify the vehicle identity?
Quick Facts
- AuctionIAAI
- Auction dateThu Jan 09, 2025, 09:30AM (CST)
- TitleSALVAGE (Nebraska)
- Primary damageRear
- Odometer36,142 mi (Actual)
- TransmissionAutomatic Transmission
- FuelOther
- DriveAll Wheel Drive
- Engine2.5L I-4 DI, DOHC, VVT, 189HP
- Cylinders4 Cylinders
Vehicle Information
| Auction Date | Thu Jan 09, 2025, 09:30AM (CST) |
|---|---|
| Auction Name | IAAI |
| Selling Branch | N/A |
| Stock Number | N/A |
| Vehicle | 2023 Toyota Sienna LE |
| VIN | 5TDKSKFC3PS081986 |
| Title | SALVAGE (Nebraska) |
| Primary Damage | Rear |
| Secondary Damage | N/A |
| Odometer | 36,142 mi (Actual) |
| Key Present | Present |
| Start Code | Run & Drive |
| Drive Line Type | All Wheel Drive |
| Cylinders | 4 Cylinders |
| Engine | 2.5L I-4 DI, DOHC, VVT, 189HP |
| Transmission | Automatic Transmission |
| Fuel Type | Other |
| Restraint System | Front impact airbag driver;Front side impact airbag driver;Overhead airbags;Front impact airbag passenger;Front side impact airbag passenger;Knee airbag;Rear side impact airbag;Cushion airbag |