2017 Toyota Tacoma TRD SPORT
2017 Toyota Tacoma TRD SPORT (VIN 5TFSZ5AN0HX099699). Photos, auction details and vehicle specs. Primary damage: Front End. Odometer: 70,583 mi (Actual).
Vehicle overview
This page shows the available auction record for 2017 Toyota Tacoma TRD SPORT identified by VIN 5TFSZ5AN0HX099699. Auction source: IAAI • Sale date: Thu Jan 09, 2025, 08:30AM (CST). Title status reported in the record: SALVAGE CERTIFICATE (West Virginia). Reported damage: primary: Front End, secondary: Rear. Recorded odometer entry: 70,583 mi (Actual). Photo set: 20 images (as provided by the listing source).
This 2017 Toyota Tacoma TRD SPORT was listed via IAAI on Thu Jan 09, 2025, 08:30AM (CST).
Title status: SALVAGE CERTIFICATE (West Virginia). Primary damage reported: Front End. Secondary damage: Rear.
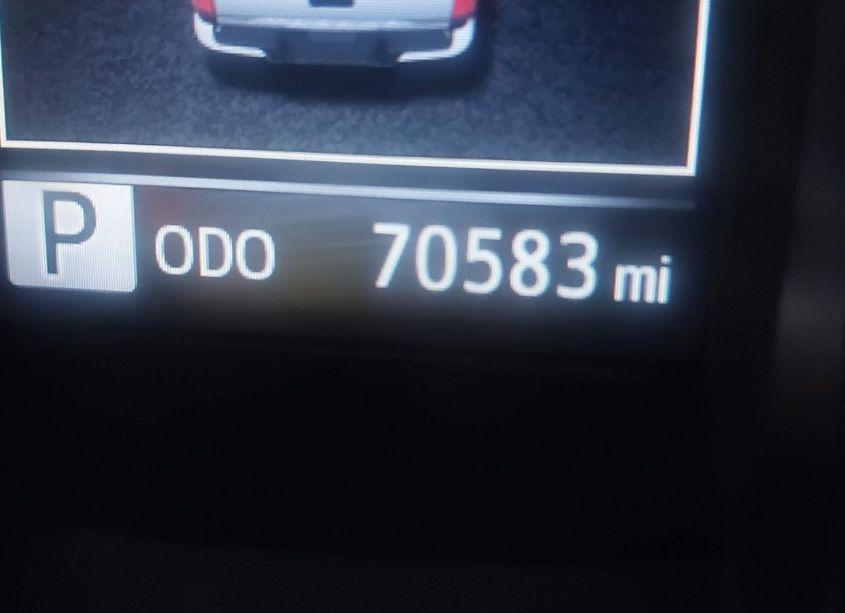
Odometer reading: 70,583 mi (Actual).
Engine: 3.5L V-6 DI, DOHC, VVT, 278HP. Transmission: Automatic Transmission. Fuel: Gasoline. Drive: 4X4 Drive.
How to read this page
How to use this VIN page: review photos first, then compare the auction history and spec tables. Fields like damage, title, mileage, and sale date come from the underlying listing data and may be missing on some records.
If you are researching purchase, export, or rebuild decisions, treat this page as a research snapshot and validate everything with official paperwork, auction documents, and inspections. Wheelwise does not generate these attributes — we display what the source record contains.
Common reasons some values are blank: the original listing did not provide a field, the value was unreadable, or the record was imported without that attribute.

Photos and condition notes
The photo gallery contains 20 listing images for VIN 5TFSZ5AN0HX099699. Use these photos to visually confirm body style, trim badges, wheels, interior options, and visible damage areas.
Damage fields are reported as categories (“primary” / “secondary”). They help you filter listings quickly, but they do not replace a detailed inspection.
When comparing this vehicle to similar listings, focus on year, drivetrain, mileage entry, title status, and auction date — these attributes most often explain price differences.
Auction History
Vehicle Specs
| Auction | IAAI |
|---|---|
| Auction date | Thu Jan 09, 2025, 08:30AM (CST) |
| Title | SALVAGE CERTIFICATE (West Virginia) |
|---|---|
| Primary damage | Front End |
| Secondary damage | Rear |
| Key present | Present |
| Start code | Run & Drive |
| Drive line | 4X4 Drive |
|---|---|
| Engine | 3.5L V-6 DI, DOHC, VVT, 278HP |
| Cylinders | 6 Cylinders |
| Transmission | Automatic Transmission |
| Fuel type | Gasoline |
| VIN | 5TFSZ5AN0HX099699 |
|---|---|
| Make | Toyota |
| Model | Tacoma |
| Year | 2017 |
| Trim / Package | TRD SPORT |
Key takeaways
- VIN: 5TFSZ5AN0HX099699.
- Title status in this record: SALVAGE CERTIFICATE (West Virginia).
- Auction: IAAI • Date: Thu Jan 09, 2025, 08:30AM (CST).
- Primary damage: Front End.
- Secondary damage: Rear.
- Odometer entry: 70,583 mi (Actual).
- Powertrain: engine 3.5L V-6 DI, DOHC, VVT, 278HP, transmission Automatic Transmission.
- Photos available: 20.
- Always confirm VIN, title, and condition with official documents before purchase or export.
FAQ
What does the final bid mean?
What does a salvage title mean?
Where do the photos come from?
Can I use this page to verify the vehicle identity?
Quick Facts
- AuctionIAAI
- Auction dateThu Jan 09, 2025, 08:30AM (CST)
- TitleSALVAGE CERTIFICATE (West Virginia)
- Primary damageFront End
- Secondary damageRear
- Odometer70,583 mi (Actual)
- TransmissionAutomatic Transmission
- FuelGasoline
- Drive4X4 Drive
- Engine3.5L V-6 DI, DOHC, VVT, 278HP
- Cylinders6 Cylinders
Vehicle Information
| Auction Date | Thu Jan 09, 2025, 08:30AM (CST) |
|---|---|
| Auction Name | IAAI |
| Selling Branch | N/A |
| Stock Number | N/A |
| Vehicle | 2017 Toyota Tacoma TRD SPORT |
| VIN | 5TFSZ5AN0HX099699 |
| Title | SALVAGE CERTIFICATE (West Virginia) |
| Primary Damage | Front End |
| Secondary Damage | Rear |
| Odometer | 70,583 mi (Actual) |
| Key Present | Present |
| Start Code | Run & Drive |
| Drive Line Type | 4X4 Drive |
| Cylinders | 6 Cylinders |
| Engine | 3.5L V-6 DI, DOHC, VVT, 278HP |
| Transmission | Automatic Transmission |
| Fuel Type | Gasoline |
| Restraint System | Front impact airbag driver;Front side impact airbag driver;Overhead airbags;Front impact airbag passenger;Front side impact airbag passenger;Knee airbag |